direct naar inhoud van Toelichting
Plan: Dennenoord Zuidlaren
Status: vastgesteld
Plantype: bestemmingsplan
IMRO-idn: NL.IMRO.1730.BPDennenoord-0401

Toelichting

Hoofdstuk 1 Inleiding

1.1 Aanleiding en doel van het bestemmingsplan

In het kader van het actualiseren van alle bestemmingsplannen van de gemeente Tynaarlo heeft de gemeente een nieuw bestemmingsplan gemaakt voor het gebied Dennenoord in Zuidlaren.

Doel van de actualisatieopgave is enerzijds om een actueel planologisch kader te creëren voor het gehele grondgebied van de gemeente, zodat regels zoveel mogelijk gelijkgesteld worden. Anderzijds is het nieuwe bestemmingsplan opgesteld om te voldoen aan de eisen uit de Wet ruimtelijke ordening (Wro) die voorschrijft dat bestemmingsplannen niet ouder dan 10 jaar mogen zijn.

In dit bestemmingsplan worden de bestaande functies conform het huidige, legale gebruik bestemd. Hiermee worden de bestaande rechten gerespecteerd voor zover dat niet stuit op strijdigheid met huidige wet- en regelgeving. Een belangrijk deel van het plangebied is aangewezen als beschermd dorpsgezicht. Het voorliggende bestemmingsplan is dan ook mede bedoeld als beschermd plan ex artikel 35 van de Monumentenwet 1988.

1.2 Ligging plangebied

Het plangebied ligt ten zuidwesten van de kern Zuidlaren en ten noordoosten van de provinciale weg N34. De globale begrenzing in het westen is de Schipborgerweg, het noorden de Ludinge en Stationsweg, in het oosten de Schapendrift. De zuidelijke grens is het einde van het bestaande bosgebied.

afbeelding "i_NL.IMRO.1730.BPDennenoord-0401_0001.png"

Figuur 1: begrenzing plangebied bestemmingsplan Dennenoord (bron: googlemaps)

1.3 Vigerend bestemmingsplan

Het plangebied is opgenomen in het vigerende bestemmingsplan Dennenoord. In dit bestemmingsplan hebben de gronden de volgende bestemmingen:

  • maatschappelijke voorzieningen;
  • bos;
  • grasland;
  • gemengd gebied;
  • wegverkeer;

Het vigerende bestemmingsplan is vastgesteld op 18 juli 2000 en goedgekeurd door het college van Gedeputeerde Staten van Drenthe op 6 februari 2001. Op 15 mei 2002 heeft de Afdeling bestuursrechtspraak Raad van State uitspraak gedaan over dit bestemmingsplan en het in stand gelaten.

afbeelding "i_NL.IMRO.1730.BPDennenoord-0401_0002.png"

Figuur 2: verbeelding vigerend bestemmingsplan.

1.4 Leeswijzer

In hoofdstuk 2 wordt het relevante beleidskader beschreven zoals dat van toepassing is op het plangebied. Hoofdstuk 3 beschrijft het plangebied en in hoofdstuk 4 worden de omgevingsaspecten beschreven. Hoofdstuk 5 gaat in op de juridische planopzet die gekozen is, waarna de toelichting van het bestemmingsplan wordt afgesloten met de economische en maatschappelijke haalbaarheid in hoofdstuk 6 en 7.

Hoofdstuk 2 Beleidskader

2.1 Rijksbeleid

2.1.1 Structuurvisie Infrastructuur en Ruimte (SVIR)

De Structuurvisie Infrastructuur en Ruimte geeft een totaalbeeld van het ruimtelijk en mobiliteitsbeleid op rijksniveau en is de 'kapstok' voor bestaand en nieuw rijksbeleid met ruimtelijke consequenties. De SVIR vervangt de Nota Ruimte, de Structuurvisie Randstad 2040, de Nota Mobiliteit, de MobiliteitsAanpak en de Structuurvisie voor de Snelwegomgeving. Tevens vervangt het de ruimtelijke doelen en uitspraken in de volgende documenten: PKB Tweede structuurschema Militaire terreinen, de agenda landschap, de agenda Vitaal Platteland en Pieken in de Delta.

In de SVIR schetst het kabinet hoe Nederland er in 2040 uit moet zien: concurrerend, bereikbaar, leefbaar en veilig. Het ruimtelijke- en mobiliteitsbeleid wordt meer aan provincies en gemeenten overgelaten. Hieronder valt bijvoorbeeld het landschapsbeleid. De Rijksoverheid richt zich op nationale belangen, zoals een goed vestigingsklimaat, een degelijk wegennet en waterveiligheid. Tot 2028 heeft het kabinet in de SVIR drie Rijksdoelen geformuleerd:

  • de concurrentiekracht vergroten door de ruimtelijk-economische structuur van Nederland te versterken. Dit betekent bijvoorbeeld een aantrekkelijk (internationaal) vestigingsklimaat;
  • de bereikbaarheid verbeteren;
  • zorgen voor een leefbare en veilige omgeving met unieke natuurlijke en cultuurhistorische waarden.

De provincies en gemeenten krijgen in het nieuwe ruimtelijke- en mobiliteitsbeleid meer bevoegdheden. Bijvoorbeeld op het gebied van landschappen, verstedelijking en het behoud van groene ruimte. Provincies en gemeenten zijn volgens het kabinet beter op de hoogte van de situatie in de regio en de vraag van bewoners, bedrijven en organisaties. Daardoor kunnen zij beter afwegen wat er in een gebied moet gebeuren. Het opstellen van dit bestemmingsplan past in die lijn.

2.1.2 Besluit algemene regels ruimtelijke ordening (Barro)

Het Besluit algemene regels ruimtelijke ordening (Barro) regelt de doorwerking van nationale belangen op ruimtelijk gebied in gemeentelijke bestemmingsplannen door het stellen van de juridische kaders. Het Barro is ook wel bekend als de AMvB Ruimte. Het besluit is per 17 december 2011 in werking getreden, met uitzondering van de artikelen 2.3.6, 2.6.9, 3.2 en 3.5 en titel 2.13.

In het huidige Barro zijn opgenomen:

  • Het Project Mainportontwikkeling Rotterdam;
  • Militaire terreinen en -objecten;
  • De Wadden;
  • De kust (inclusief primaire kering);
  • De grote rivieren;
  • De Werelderfgoederen.

In de wijziging van het Barro dat op 1 oktober 2012 in werking is getreden, worden de volgende onderwerpen toegevoegd:

  • Reserveringen uitbreidingen weg en spoor;
  • Veiligheid vaarwegen;
  • Het netwerk voor elektriciteitsvoorziening;
  • De buitendijkse uitbreidingsruimte in het IJsselmeer;
  • Bescherming van de (overige) primaire waterkeringen;
  • Reservering voor rivierverruiming Maas;
  • De Ecologische Hoofdstructuur (EHS).

Dit bestemmingsplan maakt geen ontwikkelingen mogelijk waarop het Barro specifiek van invloed is. Een klein gedeelte van het plangebied is aangewezen als EHS. Hier worden geen nieuwe bouwmogelijkheden geboden die de EHS mogelijk kunnen aantasten. Het Barro staat de uitvoerbaarheid van dit bestemmingsplan dan ook niet in de weg.

Conclusie Rijksbeleid:

Het beschreven rijksbeleid geeft geen directe uitgangspunten voor dit bestemmingsplan. Het rijksbeleid staat de uitvoering van dit bestemmingsplan niet in de weg.

2.2 Provinciaal beleid

2.2.1 Omgevingsvisie Drenthe

Provinciale staten van Drenthe hebben op 2 juni 2010 de Omgevingsvisie Drenthe vastgesteld. De Omgevingsvisie is hét strategische kader voor de ruimtelijk-economische ontwikkeling van Drenthe voor de periode tot 2020. De visie formuleert de belangen, ambities, rollen, verantwoordelijkheden en sturing van de provincie in het ruimtelijke domein. De Omgevingsvisie Drenthe vervangt het tweede Provinciaal omgevingsplan (POPII) en is een integratie van vier wettelijk voorgeschreven planvormen; de provinciale ruimtelijke structuurvisie, het provinciaal milieubeleidsplan, het regionaal waterplan en het provinciaal verkeers- en vervoersplan. Nieuwe ontwikkelingen dienen in principe passend te zijn binnen dit beleidskader van de provincie.

De missie van de provincie is: 'Het koesteren van de Drentse kernkwaliteiten en het ontwikkelen van een bruisend Drenthe, passend bij deze kernkwaliteiten'. De kernkwaliteiten die de provincie bepaald heeft voor Drenthe zijn:

  • rust, ruimte, natuur en landschap;
  • oorspronkelijkheid (authenticiteit, Drents eigen);
  • naoberschap (leefbaarheid);
  • menselijke maat;
  • veiligheid;
  • kleinschaligheid (Drentse schaal).

De provincie wil in het landelijk gebied voldoende ontwikkelingsmogelijkheden bieden voor landbouw, recreatie en toerisme en bedrijvigheid. Drenthe moet aantrekkelijk blijven voor recreanten en toeristen. Van provinciaal belang is daarom het verbeteren en ver-nieuwen van het bestaande aanbod van verblijfs- en dagrecreatie en van de toeristisch-recreatieve infrastructuur. Zowel de landbouw- als de toeristisch/recreatieve sector spelen een belangrijke rol bij het behouden en ontwikkelen van de kernkwaliteiten.

2.2.2 Omgevingsverordening

De provincie Drenthe heeft begin 2012 de 'Zevende wijzigingstranche van de Provinciale Omgevingsverordening Drenthe' ter inzage gelegd. In deze verordening worden door de provincie bindend zaken voorgeschreven aan gemeenten in de provincie. Ook ten aanzien van de inhoud van bestemmingsplannen zijn hierin voorwaarden opgenomen ter bescherming van provinciale belangen.

In deze herziening is onder andere de Ecologische hoofdstructuur (EHS) binnen de provincie gedeeltelijk opnieuw begrensd. In dit plangebied ligt een klein gedeelte van die ecologische hoofdstructuur (zie figuur 3). Het betreffende gebied is voorzien van de bestemming 'Bos' die aantasting van de natuurlijke / ecologische waarden tegengaat en ontwikkeling van natuurwaarden nastreeft.

afbeelding "i_NL.IMRO.1730.BPDennenoord-0401_0003.png"

Figuur 3: Ecologische hoofdstructuur (EHS) (bron: www.drenthe.nl)

Aangezien het hier om een volledig conserverend bestemmingsplan gaat, dat geen nieuwe ontwikkelingen mogelijk maakt, is het plan in overeenstemming met de provinciale verordening.

Conclusie provinciaal beleid

Het provinciaal beleid staat de uitvoering van dit bestemmingsplan niet in de weg.

2.3 Beleid Waterschap Hunze en Aa's

Het Waterschap Hunze en Aa's heeft specifiek beleid dat van invloed kan zijn op het plangebied. Het Waterschap Hunze en Aa's heeft ten aanzien van het aspect water belangrijke doelstellingen. Zo dienen watersystemen duurzaam beheerd te worden. Daarnaast zorgt het waterschap voor een balans, waarbij de watersystemen aan de ene kant bescherming bieden aan de leefomgeving en tegelijkertijd zelf ook beschermd worden voor negatieve invloeden vanuit die omgeving. Inrichting, beheer en onderhoud van de watersystemen zijn gebaseerd op een evenwichtige toepassing van ecologische en technische concepten, respectievelijk van natuurlijk en menselijk vernuft.

Onderstaand worden een aantal algemene beleidsuitgangspunten beschreven. In paragraaf 4.9 staan de resultaten van de watertoets die is uitgevoerd voor dit project.

2.3.1 Startovereenkomst Waterbeleid 21e eeuw

In de aard en omvang van de waterproblematiek doen zich structurele veranderingen voor die nopen tot een nieuwe aanpak in het waterbeleid. Het doel van deze startovereenkomst is te bevorderen dat de met het oog daarop noodzakelijke gemeenschappelijke aanpak van Rijk, provincies, gemeenten en waterschappen tot stand komt waarbij ieder van de betrokken bestuursorganen bijdraagt vanuit zijn specifieke verantwoordelijkheden en bevoegdheden.

In deze startovereenkomst wordt het nieuwe waterbeleid ten aanzien van veiligheid en het voorkomen van wateroverlast, zoals vastgelegd in het kabinetsstandpunt 'Anders omgaan met water, waterbeleid in de 21e eeuw' uitgewerkt. Dit vindt uiteraard plaats binnen het kader van ander bestaand Rijksbeleid. Uitwerking van veiligheid en het voorkomen van wateroverlast vindt waar nodig en mogelijk plaats in een integrale werkwijze waarbij de aanpak van watertekorten, tegengaan van verdroging en verdere verbetering van de waterkwaliteit worden betrokken. Ook zijn er goede mogelijkheden om de uitvoering te combineren met plannen op andere beleidsterreinen, zoals de reconstructie van het landelijk gebied, de aanleg van de ecologische hoofdstructuur, winning van oppervlaktedelfstoffen, landinrichting en overige gebiedsgerichte projecten, woningbouw en de aanleg van bedrijventerreinen. Door klimaatverandering (zeespiegelstijging en nattere winters en drogere zomers) en bodemdaling vergt dat een continue inspanning van alle betrokkenen. Bij de aanpak wordt gewerkt met projecten die uitgaan van de problemen op middellange termijn (5 tot 20 jaar) waarbij telkens een doorkijk plaatsvindt naar de lange termijn (20 tot 50 jaar). Deze lange termijnscenario's worden gebruikt om het “geen spijt” gehalte van de middellange-termijnbesluiten te beoordelen.

2.3.2 Beheerplan 2010 - 2015

Waterschap Hunze en Aa's heeft voor de periode 2010 t/m 2015 een nieuw beheerplan vastgesteld. Dit plan maakt inzichtelijk waar Hunze en Aa's de komende jaren op inzet. Er staat in welke opgaven er op het gebied van veiligheid, voldoende en schoon water spelen, welke maatregelen Hunze en Aa's neemt en wat de kosten daarvan zijn. Hiermee speelt het waterschap in op de klimaatverandering en Europese normen voor schoon en gezond water. Verder wordt het huidige beleid en beheer voor diverse thema's globaal toegelicht en wordt er teruggekeken op de vorige planperiode (2003-2009).

Iedere gemeente heeft samen met het waterschap een waterplan opgesteld (zie paragraaf 2.4.3. In de waterplannen is een maatregelenpakket opgenomen voor het waterbeheer in stedelijk gebied. De maatregelen richten zich op waterkwantiteit, waterkwaliteit en communicatie en worden door de gemeente en het waterschap gezamenlijk uitgevoerd.

Conclusie beleid waterschap Hunze en Aa's

Vanwege het conserverende karakter van het bestemmingsplan vinden er geen veranderingen plaats aan de waterhuishouding. Het aspect water vormt daarmee geen beperking voor dit bestemmingsplan.

2.4 Gemeentelijk beleid

2.4.1 Structuurplan gemeente Tynaarlo (2006)

De gemeente Tynaarlo heeft haar ruimtelijk beleid weergegeven in een structuurplan. Dit structuurplan is onder de werking van de Wet ruimtelijke ordening een structuurvisie geworden.

Voor het verantwoord maken van keuzes is in dit structuurplan de zogenaamde lagenbenadering van ruimtelijke ontwikkeling gevolgd. Bij deze methodiek (waarvan overigens verschillende varianten in omloop zijn) wordt de leefomgeving voorgesteld als een samenstel van ‘lagen’. Er wordt van drie hoofdlagen uitgegaan:

  • 1. de (natuurlijke) ondergrond;
  • 2. het infrastructurele netwerk;
  • 3. de occupatielaag (het grondgebruik door de mens).

Elk van deze drie is opgebouwd uit een aantal sublagen. De ondergrond is bijvoorbeeld de resultante van lagen als de geologie, het bodempatroon, het (natuurlijke) waterstelsel en de planten- en dierenwereld. Binnen het infrastructurele netwerk zijn afzonderlijke lagen te onderscheiden voor de wegen, spoorlijnen, waterwegen, luchtvaart en onder- en bovengrondse leidingen. De occupatielaag, tenslotte, is opgebouwd uit de verdeling van woon-, werk-, recreatie-, landbouwgebieden en andere vormen van menselijk grondgebruik. Het landschap in het gebied in kwestie is de resultante van alle lagen samen, waarbij het begrip landschap zowel slaat op de groen-blauwe als de bebouwde ruimte (stads- en dorpslandschap).

De crux van de lagenbenadering als planningsmethodiek is dat de onderliggende lagen een sturende rol vervullen voor de bovenliggende. Dit betekent dat bij het maken van occupatiekeuzes, zoals de locatie van nieuwe woon- en werkgebieden, de ondergrond met al z’n sublagen de belangrijkste ordenende en sturende factor vormt. Daarnaast speelt ook het optimaal gebruikmaken van het bestaande verkeersnetwerk expliciet een rol in het planningsconcept. Een belangrijk kenmerk van de drie hoofdlagen is een verschil in dynamiek. De ondergrond (of ‘groen-blauwe’ onderlegger) is het domein van de laag-dynamische functies, waarin (autonome) ontwikkelingen in een traag tempo verlopen. Geforceerde ingrepen in hoog tempo in deze laag hebben veelal ook negatieve effecten. Het verkeersnetwerk ontwikkelt zich in een hoger tempo, maar is bij een doordachte planning toch voor een langere tijd bedoeld dan het occupatiepatroon met de hoog-dynamische functies, waarin veelvuldig veranderingen optreden.

De lagenbenadering bij ruimtelijke planning impliceert in essentie het kiezen voor een duurzame ontwikkeling, ofwel voor een ontwikkeling “die tegemoet komt aan de behoeften van het heden zonder de behoeftevoorziening van toekomstige generaties in gevaar te brengen’’ (Brundtlandrapport van de Verenigde Naties, 1987). Een belangrijk uitgangspunt hierbij is respect voor de natuurlijke draagkracht van de aarde, die immers het ’aquarium’ vormt waarvan ons (over)leven afhankelijk is. Als de groen-blauwe onderlegger onvoldoende wordt gerespecteerd, zadelen we onze nakomelingen op met milieuprobl emen die misschien onomkeerbaar zijn of hen in ieder geval voor zware opgaven stellen. Hetzelfde geldt voor het slecht benutten van het bestaande verkeersnetwerk. Juist omdat de gemeente hoge waarde hecht aan een duurzame ontwikkeling, is in dit structuurplan gekozen voor de methodiek van de lagenbenadering.

In het structuurplan wordt kort dit plangebied aan de orde gebracht. Er wordt over Zuidlaren geschreven dat:

De meest opvallende ingreep voltrok zich aan de westzijde van het dorp, langs de Zuides. Naast het optrekken van bebouwing langs de Stationsstraat, is ten zuiden van de Stationsweg in 1895 gestart met de bouw van het psychiatrisch ziekenhuis Dennenoord, te midden van veel bosaanplant in Engelse landschapsstijl. Dennenoord werd aangelegd volgens het paviljoenstelsel. Kenmerkend is de spreiding van diverse verpleegtehuizen over het circa 100 hectare grote terrein. Tegenwoordig is dit gebied beschermd dorpsgezicht.

Voor het overige komt het plangebied niet specifiek aan bod. Omdat het bestemmingsplan conserverend van karakter is en geen nieuwe ontwikkelingen mogelijk maakt staat de structuurvisie van de gemeente de uitvoering van dit bestemmingsplan niet in de weg.

afbeelding "i_NL.IMRO.1730.BPDennenoord-0401_0004.png"

Figuur 4: fragment structuurplankaart Tynaarlo (rode cirkel geeft globale ligging plangebied).

2.4.2 Landschapsontwikkelingsplan (2009)

In het structuurplan uit 2006 is de integrale visie op de ruimtelijke inrichting van de gemeente Tynaarlo neergelegd. Het Landschapsontwikkelingsplan (LOP) is een thematische uitwerking van dit structuurplan, waarin de ambities ten aanzien van het landschap aangescherpt wordt en wordt gekomen tot een uitvoeringsplan. Het LOP heeft de status van structuurvisie. Dit betekent dat nieuw ruimtelijk beleid hieraan getoetst wordt. Dennenoord ligt in het gebied dat is gekarakteriseerd als 'Hondsrug' en als 'jonge ontginningen heidebossen'.

Karakteristiek van het landschap

Het deelgebied van de Hondsrug wordt begrensd door de flank van het Hunzedal in het oosten en het dal van de Drentsche Aa in het westen. De in noord-zuidelijke richting georiënteerde Hondsrug heeft grotendeels een zeer groene uitstraling. Er is binnen dit deelgebied een tweedeling te onderscheiden. Het westen is het meest bosrijk. Het centrale deel van de Hondsrug wordt gekenmerkt door een aaneenschakeling van dorp- en escomplexen. Hier is meer sprake van afwisseling tussen open en dichte ruimtes.

De oostflank sluit aan op het open landschap van het Hunzedal. De Drentsche Aa vormt de grens van de westelijke flank. Op de hoge gronden, in aansluiting op het beekdal, liggen ecologisch waardevolle gebieden zoals De Vijftig Bunder, het Noordlaarderbosch en Wilde Veen. Ook bevinden zich in dit gebied een zandwinplas, campings, huisjesterreinen/ bungalowparken en tuincentra. De samenhang binnen de natuurgebieden onderling en binnen de beboste flank van de Hondsrug als geheel staat daarmee onder druk. De Hondsrug tekent zich in vergelijking met de andere ruggen het duidelijkst af ten opzichte van de omliggende beekdalen. Dat komt niet alleen door de stevige bebossing (en bebouwing van Zuidlaren), maar ook door de hogere ligging. De dorpenweg N386 voert dwars over de Hondsrug. De overgangen van de beekdalen naar de rug zijn door het hoogteverschil en het landschappelijke contrast markant en echt te ervaren als 'entrees van het dorp', een grote kwaliteit.

Zuidlaren is een groot dorp met vele gezichten. De oude kern van Zuidlaren is een goed voorbeeld van een groot esdorp met vele brinken. Vooral in de jaren 60 en 70 heeft het dorp een grote groei doorgemaakt. Een relatief recente ontwikkeling is de omvorming van het Kazerneterrein, dat grenst aan de overgang naar het Hunzedal, tot woonwijk. Hierbij is veel aandacht besteed aan interne kwaliteit en de oriëntatie op de omgeving. De hoofdrichtingen in het landschap ter plaatse, een kenmerkende 'ladderstructuur' is opgepakt. De Zuideresch is gaaf en open en wordt omgeven door de woonbebouwing van Zuidlaren en het (naaldbos)rijke terrein van het instituut Dennenoord. De randen van de verschillende functies rond de es zijn zorgvuldig vormgegeven met respect voor het zicht op en de beleving vanuit de open ruimte. De relatie van het dorp met de omgeving is aan de zuidzijde over het algemeen goed ontwikkeld. Alleen een aantal kleinere nieuwe woonbuurten aan de zuidzijde van Zuidlaren ligt vrij koud in het landschap, óók aan de zijde van de es. Op de Zuideresch waren vroeger vennetjes aanwezig die gedempt zijn.

Ambitie

De Hondsrug kent een sterk eigen gezicht en zeer onderscheidende kwaliteiten ten opzichte van de andere deelgebieden binnen de gemeente Tynaarlo. Het LOP is er op gericht deze gemeente- en provinciegrensoverschrijdende kwaliteiten te koesteren voor de toekomst. Er zijn in dit deelgebied geen planmatige grootschalige transformaties, bijvoorbeeld nieuwe woonwijken, te verwachten, die (voor) investering in het landschap nodig maken. Er heeft zich in de loop van de tijd wel een aantal geleidelijke ontwikkelingen (recreatie, dorpsuitbreiding) voltrokken, die met elkaar afbreuk doen aan de kwaliteit van het landschap van de dorpsomgeving. Hier is verbetering gewenst. Het gaat onder andere om verbetering van de landschappelijke relatie tussen de Hondsrug en het Hunzedal en om versterking van de relatie tussen het dorp en de essen.

afbeelding "i_NL.IMRO.1730.BPDennenoord-0401_0005.png"

Figuur 5: De Hondsrug (bron LOP)

Inrichtingsprincipes

In de loop van de Middeleeuwen ontwikkelde zich de zogenaamde “escultuur” als landbouwsysteem. Dat resulteerde in het esdorpenlandschap, dat tot het begin van deze eeuw bepalend was voor het Drents zandgebied. De dorpen en hun onmiddellijke omgeving zijn steeds een ensemble met een aantal kenmerkende elementen. De akkers lagen op de hoger gelegen goed ontwaterde gronden en waren in een groot complex verenigd, de es. Deze akkers waren continue in gebruik. Om de bodemvruchtbaarheid op peil te houden werd er ieder voorjaar organische mest opgebracht, waardoor de eerdgronden ontstonden. De es zelf heeft een open karakter, dat versterkt wordt door een duidelijke ruimtelijke begrenzing, namelijk de esrand. Eswallen, bestaande uit een singel van eiken, die van oudsher het doel van veekering hadden, vormen samen met de strubbenbosjes of andere bosjes de esrand.

Doelstelling van het LOP waar ook bij de inrichting van het plangebied Dennenoord rekening mee gehouden dient te worden zijn:

  • behoud openheid van de es;
  • duidelijke ruimtelijke esrand bestaande uit eswal en eikenhakhoutbosjes (nieuwe ontwikkelingen in de esrand dienen hierin ingepast te worden);
  • dorpswegen beplant met eikenlanen tot aan de laatste boerderij, horende bij het dorp;
  • dorpsbrink beplant met eiken;
  • landschappelijke overgang dorp – landschap bijv. d.m.v. bomenweide, singel, dorpsbosje;
  • landschappelijke overgang dorp- es bijv. d.m.v. bomenweide, hagen;
  • ontwikkelen van rondje om de es waarin cultuurhistorisch waardevolle elementen in de omgeving van het dorp d.m.v. een wandelpad aan elkaar en het dorp verknoopt worden.

De jonge ontginningen (heidebossen) zijn veelal ontstaan als werkverschaffing in de jaren '30. De ambitie is om van deze gebieden een veelzijdiger mozaïek te maken, waarin de ecologische betekenis en de recreatieve potenties optimaal benut worden door het creëren van gradiënten, het omvormen van de monotone naaldbossen naar meer natuurlijkere bossen en het verbinden van natuurgebieden met elkaar. Nieuwe ontwikkelingen kunnen in het gebied plaatsvinden mits zorgvuldig ingepast in een bestaand of nieuw boscomplex, waarbij zij bijdragen aan de eerder genoemde ambitie. Cultuurhistorische elementen worden verbijzonderd en krijgen een ruimtelijke samenhang.

Doelstelling van het LOP waar ook bij de inrichting van het plangebied rekening mee gehouden dient te worden zijn:

  • ontwikkelen van een veelzijdig mozaïek;
  • versterken van ecologische ambities en benutten van de potenties door middel van creëren van gradiënten, het omvormen van de monotone naaldbossen;
  • verbinding van natuurgebieden door nieuwe koppelstukken;
  • nieuwe ontwikkelingen worden zorgvuldig ingepast door middel van bosxcomplexen en zorgen voor toegankelijkheid van landschap;
  • verbijzonderen en verbindingen van cultuurhistorische elementen.

2.4.3 Waterplan gemeente Tynaarlo

Gemeenten worden in toenemende mate geconfronteerd met taken en verantwoordelijkheden op het gebied van water. In de eerste plaats betreffen dit de wettelijke taken. Als gevolg van de Wet Gemeentelijke Watertaken worden deze opnieuw ingedeeld. Naast de huidige taken met betrekking tot riolering (gemeentelijke verantwoordelijkheid tot de kavelgrens), onderhoud van water in bebouwd gebied en baggerwerkzaamheden, komt de zorgplicht voor hemel- en grondwater. In de toekomst zal het onderhouden en baggeren van water in bebouwd gebied wellicht worden overgedragen naar het waterschap. De watertaken voor de gemeente bestaan dan uit de zorgplicht ten aanzien van afval-, hemel- en grondwater. Maar naast deze wettelijke taken speelt de gemeente steeds meer ook een beleidsmatige rol. Bij de inrichting van nieuwe uitbreidingsplannen zal het aspect water nadrukkelijk aan de orde moeten worden gesteld. Afwenteling van verantwoordelijkheden naar andere organisaties moet bij de (her)inrichting van gebieden worden voorkomen In het Waterplan staat beschreven dat de gemeente samen met private partijen aandacht schenkt aan het waterbelang. Hiervoor is onder andere de watertoets uitgevoerd die beschreven is in paragraaf 4.9. Hierin zijn de gevolgen voor het aspect water beschreven.

In mei 2008 is het waterplan van de gemeente Tynaarlo opgesteld. In dit plan formuleert de gemeente Tynaarlo onder meer haar integraal beleid op het gebied van water en bijbehorende ambities. Het plangebied valt onder het thema Wonen en Werken. Het waterplan maakt onderscheid in verschillende thema's, waar voor elk thema ambities zijn opgesteld. De ambities voor het thema wonen en werken luiden:

  • stedelijk water(systeem) duurzaam inrichten;
  • schoon hemelwater afkoppelen;
  • waterkansenkaart gebruiken ten behoeve van waterhuishoudkundige randvoorwaarden;
  • niet afwentelen door toepassen van de tritsen vasthouden, bergen en afvoeren en schoonhouden, scheiden en zuiveren;
  • de gezamenlijke opstellers van het waterplan communiceren samen over water richting de burgers;
  • het zuinig omgaan met drinkwater wordt gestimuleerd.

Tenslotte zet de gemeente Tynaarlo in op duurzaamheid. Het op 25 maart 2008 vastgestelde beleidsplan Duurzaam Bouwen heeft als doel om richting te kunnen geven aan het duurzaam gebruiken en inrichten van de woon-, werk- en leefomgeving. In het beleidsplan zijn de ambities voor de middellange termijn vastgelegd. Voor het daarin opgenomen ambitieniveau is het streven gericht op wettelijk niveau met een plus. Het gaat daarbij ook om het creëren van een gezonde, comfortabele en veilige omgeving. Voor het bepalen van ambities is aansluiting gezocht bij het Milieubeleidsplan.

Voor het bevorderen van Duurzaam Bouwen is de gemeente kaderstellend. De gemeente laat de markt zoveel ruimte als mogelijk om zelf te bepalen op welke manier duurzaamheid in onder meer gebouwen en omgeving wordt gerealiseerd. Dit en de veelal kleinschalige ontwikkelingen is voor de gemeente aanleiding alleen actief in de voorlichtende sfeer te zijn. Hierbij wordt met name aandacht besteed aan energiebesparing en het gebruik van duurzame energie.

2.4.4 Gemeentelijke visie op externe veiligheid

Met de Visie externe veiligheid geeft de gemeente Tynaarlo haar visie op de beheersing van veiligheidsrisico's binnen de gemeente. Het gaat dan om risico's als gevolg van opslag, gebruik en vervoer van gevaarlijke stoffen. Daarmee geeft de gemeente ook het ambitieniveau aan. Op basis van deze visie wordt een nadere invulling gegeven aan de beleidsvrijheid op het gebied van externe veiligheid. Zo wordt aangegeven hoe de gemeente omgaat met (de verantwoording van) het groepsrisico (GR) en de richtwaarde bij het plaatsgebonden risico (PR) bij beperkt kwetsbare objecten.

De bestaande risicovolle inrichtingen voldoen aan de gestelde veiligheidseisen conform de wet- en regelgeving en worden gehandhaafd. Omdat veilig wonen een belangrijk uitgangspunt is en de gemeente hier veel waarde aan hecht, biedt ze geen ruimte meer voor nieuwe risicovolle inrichtingen.

De aan te houden afstanden zijn in de wetgeving benoemd als risicocontouren waarbij de plaatsgebonden risicocontour 10-6 een belangrijke is. Woonwijken, scholen, bejaardenhuizen et cetera worden gezien als kwetsbare objecten en mogen niet in deze risicocontour van een inrichting komen te liggen. Beperkt kwetsbare objecten, zoals kantoren, bedrijfswoningen, sporthal of restaurant, kunnen bij uitzondering binnen de risicocontour komen te liggen. Echter, het belang van een veilige leefomgeving heeft de gemeente aangegrepen om beperkt kwetsbare objecten binnen de plaatsgebonden risicocontour 10-6 niet toe te staan.

Naast de genoemde risicocontour moet volgens de wetgeving ook worden gekeken naar de bevolkingsdichtheid in een bepaalde straal rondom een dergelijke risicovolle inrichting. Dit wordt het groepsrisico genoemd. Immers des te meer mensen er wonen of verblijven, des te groter de kans op meer slachtoffers als er iets gebeurt. De wetgeving heeft een zachte norm (oriëntatiewaarde) voor het groepsrisico gesteld en laat de gemeente vrij om haar eigen beleid hierin te ontwikkelen. De gemeente heeft deze vrijheid genomen en zal de oriëntatiewaarde als toetsnorm hanteren. Dit betekent dat een toename van het aantal mensen voor wonen of verblijven wordt geaccepteerd zolang de oriëntatiewaarde niet wordt overschreden.

Verder zal een toename van het groepsrisico altijd goed worden gemotiveerd waarbij de gemaakte keuzes worden verantwoord en vastgelegd in het bijbehorende document, bijvoorbeeld het bestemmingsplan of een milieuvergunning. Voor het vervoer van gevaarlijke stoffen over de rijkswegen en provinciale wegen (A28, A7, N34 en N386) en het spoor sluit de gemeente zich aan bij de veiligheidsafstanden conform het nog in ontwikkeling zijnde rijksbeleid. De gemeente zal dan, indien nodig, in de bestemmingsplannen zones rond de wegen en het spoor opnemen waarbinnen geen gebouwen zijn toegestaan.

Samengevat luidt de ambitie voor nieuwe situaties, in de termen genoemd in de wetgeving, als volgt:

Tabel 1: gemeentelijk beleid externe veiligheid.

  Overschrijding grenswaarde PR (10-6) voor kwetsbare objecten   Overschrijding richtwaarde PR (10-6) voor beperkt kwetsbare objecten   Overschrijding oriënterende waarde GR   Toename GR  
Gemeente Tynaarlo   Niet acceptabel   Niet acceptabel   Niet acceptabel   Acceptabel onder voorwaarden  

 

Inrichtingen

Het Besluit externe veiligheid inrichtingen (Bevi) richt zich, zoals uit de naam reeds blijkt, primair op inrichtingen als bedoeld in de Wet milieubeheer. Welke inrichtingen onder de werking van het besluit vallen, blijkt uit artikel 2, lid 1. Deze inrichtingen brengen risico's met zich mee voor de in de omgeving gelegen risicogevoelige objecten. Het besluit onderscheidt twee categorieën risicogevoelige objecten, namelijk kwetsbare objecten en beperkt kwetsbare objecten. Vervolgens geeft het besluit waarden voor het risico dat toelaatbaar wordt geacht voor deze objecten. Hierbij worden twee vormen van risico onderscheiden.

In het besluit is het plaatsgebonden risico gedefinieerd als de kans per jaar dat een persoon die onafgebroken en onbeschermd op een bepaalde plaats in de omgeving van een inrichting zou verblijven, overlijdt als rechtstreeks gevolg van een ongewoon voorval met een gevaarlijke stof. Dit risico laat zich goed ruimtelijk vertalen aangezien het gaat om punten waar zich een bepaald risico voordoet. Deze punten kunnen worden verbonden tot een contour.

Voor de zogenaamde categoriale inrichtingen, inrichtingen waarbij slechts één stof of categorie van stoffen verantwoordelijk is voor het risico, kan het plaatsgebonden risico eenvoudig worden bepaald. Het gaat hierbij bijvoorbeeld om lpg, enkelvoudige opslagen, ammoniakopslag en dergelijke. Voor deze inrichtingen is op basis van een ministeriële regeling de plaatsgebonden risicocontour vertaald in een afstand. Bij de niet-categoriale inrichtingen, inrichtingen waarbij niet steeds dezelfde stoffen aanwezig zijn en waarbij stoffen wellicht worden bewerkt, kan geen standaard afstand worden bepaald. De ligging van de plaatsgebonden risicocontour zal hierbij moeten worden bepaald door een risicoanalyse.

Voor kwetsbare objecten geldt een harde normstelling in de vorm van een grenswaarde. Voor beperkt kwetsbare objecten geldt een richtwaarde. De grenswaarde dient altijd en de richtwaarde dient zoveel mogelijk in acht te worden genomen. Zowel de grens- als de richtwaarde voor het plaatsgebonden risico is bepaald op 10-6 per jaar.

Voorts kent het besluit het zogenaamde groepsrisico. Hierbij gaat het om de kans per jaar dat een groep mensen in minimaal een bepaalde omvang slachtoffer wordt van een ongeval. In het besluit wordt dit gedefinieerd als de (cumulatieve) kansen dat ten minste 10, 100 of 1.000 personen overlijden als direct gevolg van hun aanwezigheid in het invloedsgebied van de inrichting en van één ongeval in die inrichting, waarbij gevaarlijke stoffen zijn betrokken. Het groepsrisico moet worden bepaald binnen het invloedsgebied van de inrichting. Voor het groepsrisico gelden, anders dan voor het plaatsgebonden risico, geen grenswaarden, maar slechts oriënterende waarden. Het gaat om een maatschappelijke verantwoordingsplicht aan de hand van het risico. Ten aanzien hiervan moet een belangenafweging plaatsvinden. De wijze waarop met het groepsrisico moet worden omgegaan, blijkt uit een bij het besluit behorende ministeriële regeling en de beschikbare Handreiking Verantwoordingsplicht Groepsrisico (2007).

Ook hier doet zich het verschil voor tussen categoriale en niet-categoriale bedrijven. Voor categoriale bedrijven kan aan de hand van de tabellen uit de ministeriële regeling worden bepaald of het aantal personen in het invloedsgebied, in combinatie met het gevaar van de risicobron, de oriënterende waarde overschrijdt. Bij niet-categoriale bedrijven moet altijd een berekening van het groepsrisico worden uitgevoerd. In paragraaf 4.5 wordt nader ingegaan op het aspect externe veiligheid en de eventuele gevolgen hiervan voor het plangebied.

2.4.5 Milieubeleidsplan

Op 9 december 2008 is het Milieubeleidsplan van de gemeente Tynaarlo vastgesteld. Dit plan is te beschouwen als een uitwerking van het structuurplan van de gemeente Tynaarlo. De ontwikkelingen uit het eerder genoemde structuurplan zijn hierbij als uitgangspunt gehanteerd.

In het Milieubeleidsplan wordt het beleid daarom getransformeerd naar een gebiedsgerichte benadering met de nadruk op kwaliteitsontwikkeling. Aan de verschillende omgevingsfactoren worden kwaliteiten toegedicht. Het plan geeft inzicht in de uitgangspunten en milieuambities van de gemeente. Ook bevat het plan een overzicht van milieudoelen, uitgewerkt in concrete acties en projecten.

Het milieubeleidsplan maakt onderscheid in verschillende gebiedstypen met elk verschillende doelen. Deze gebiedstypen zijn:

  • bebouwde omgeving;
  • bedrijventerreinen;
  • verkeer en vervoer;
  • natuur;
  • recreatie;
  • landschap.

Op het plangebied is het gebiedstype 'bebouwde omgeving' van toepassing. In zowel de bestaande bebouwde omgeving als bij nieuwbouw is de ambitie gericht op het behoud en waar mogelijk versterken van de (milieu)omgevingskwaliteit. Ook het toekomstgericht bouwen, herinrichten en renoveren speelt een rol. Bij ontwikkelingen op het gebied van wonen dient te worden ingegaan op duurzaamheden, het treffen van duurzame maatregelen.

Hoofdstuk 3 Plangebied

De belangrijkste functie in het plangebied is de instelling Dennenoord die zich richt op ziekenzorg. In Nederland zijn enkele inrichtingen voor ziekenzorg gesticht, die op dezelfde leest zijn geschoeid als Dennenoord. In Dennenoord zijn echter het sterkst de oorspronkelijke uitgangspunten bewaard gebleven. De dorpskernachtige nucleus, die uit hoofdpaviljoen, kerk en watertoren bestaat , is volgens het aanwijzingsbesluit ex artikel 35 Monumentenwet 1998 van 21 februari 2007 uniek te noemen. In dit hoofdstuk wordt kort het plangebied beschreven.

3.1 Beschermd dorpsgezicht Dennenoord

In 1895 is gestart met de bouw van het gesloten psychiatrisch ziekenhuis Dennenoord op een terrein van ongeveer 100 hectare. Omdat de bosrijke omgeving geacht werd een heilzame werking te hebben, werd gekozen voor een paviljoenstelsel in een parkachtige aanleg. Het groene karakter sluit goed aan bij de bijzondere esdorpenstructuur van Zuidlaren. Het opvallend grote aantal brinken, ontstaan door de parallel lopende beekdalen in langgerekte vorm met essen, geeft het dorp Zuidlaren een vergelijkbaar groen en open en sinds 1969 beschermd gezicht.

afbeelding "i_NL.IMRO.1730.BPDennenoord-0401_0006.png"

Figuur 6: Situatie Dennenoord rond 1900.

Ten zuiden van de Stationsweg werden in eerste instantie het hoofdpaviljoen, de directeurswoning, de watertoren en de kerk gebouwd. Dit was het begin van een bebouwingstraditie van vrijstaande paviljoens. Deze paviljoenachtige opzet, die tot resultaat heeft dat het terrein de sfeer van een campus uitademt, was tot op vrij recente datum richtinggevend voor verdere uitbreiding van de inrichting.

afbeelding "i_NL.IMRO.1730.BPDennenoord-0401_0007.png"

Figuur 7: Groenstructuur rond 1900.

Grenzend aan de Stationsweg is de opzet meer lineair met een groepering van gebouwen aan de Hoofdlaan. De bebouwing aan de westzijde van deze laan (uit de jaren zeventig/tachtig van de 20e eeuw) telt veelal drie lagen. De meest recente bebouwing aan de westzijde is niet meer in de vorm van paviljoenen gerealiseerd, maar als geschakelde eenheden en telt slechts één bouwlaag, in sommige gevallen met een kap.

Het gebied ten noorden van de Stationsweg heeft een eigen, van de parkaanleg afwijkende ruimtelijke karakteristiek, waarin het Noordersanatorium met de ervoor gelegen tuinaanleg en het bosgebied erachter, de centrale plaats inneemt. Dit geheel, gebouwen en aanleg, is als monument beschermd.

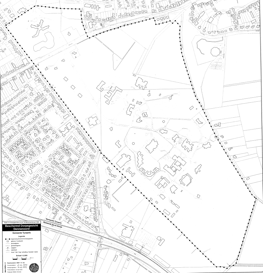
afbeelding "i_NL.IMRO.1730.BPDennenoord-0401_0008.png"

Figuur 8: grens beschermd dorpsgezicht Dennenoord.

Met het oog op de afstemming op het beschermd dorpsgezicht wordt een aantal kenmerken rechtstreeks benoemd. Dit betreft de onderdelen van de landschappelijke parkaanleg die het karakter van de campus benadrukken en de gebouwen die de kern (nucleus) van de campus vormen. De regeling in het bestemmingsplan met betrekking tot deze onderdelen is afgestemd op de instandhouding er van. Dit betreft de openbare ruimte met:

  • groenpartijen;
  • de monumentale solitaire bomen;
  • de vijverpartijen;
  • de (herten)weides;
  • het keienpad en de monumentale beukenlaan in het oosten;
  • de monumentale eikenlaan in het westen;

en de zichtassen en de hiermee verbonden focus-points zoals:

  • de beide gebouwen van het Noordersanatorium (Rijksmonument);
  • het hoofdgebouw en de watertoren;
  • de dienst-/poortwoning;
  • de kerk;
  • de directiewoning "het witte huis";
  • de slagerij/worstmakerij;
  • het paviljoen Vredestein;

De overige kenmerken vervullen een meer ondersteunende rol, waarbij ten aanzien van de bebouwing met name de spreiding goed aansluit bij het karakter van een campus. De regeling in het bestemmingsplan geeft ten aanzien van deze onderdelen de mogelijkheid van een nadere afweging op basis van het kunnen stellen van nadere eisen. Als bijlage 1 is een beschrijving opgenomen van het te beschermen dorpsgezicht Dennenoord.

3.2 Monumenten en beeldbepalende panden

Zoals eerder beschreven herbergt het gebied een aantal Rijks-, provinciale monumenten en beeldbepalende panden. De monumenten hoeven in een bestemmingsplan niet specifiek beschermd te worden omdat de Monumentenwet 1988 hiervoor van toepassing is. In dit bestemmingsplan worden de beeldbepalende panden wel beschermd door een specifieke aanduiding (specifieke bouwaanduiding - beeldbepalend) en bijbehorende regels. Van deze panden wil de gemeente dat de hoofdvorm wordt gehandhaafd. Onderstaand worden de monumenten en beeldbepalende panden in het plangebied weergegeven.

Rijksmonument:

De volgende panden zijn als Rijksmonument aangewezen:

  • Stationsweg 161
  • Stationsweg 163
  • E6 (Hoofdgebouw)
  • E42 (Watertoren)

Provinciale monumenten:

De volgende panden zijn als provinciaal monument aangewezen:

  • E37 (Kruiskerk);
  • E3 (Directiewoning 'Het Witte Huis');

Beeldbepalende panden:

De volgende panden in het plangebied zijn als beeldbepalend aangemerkt en voorzien van een specifieke bouwaanduiding op de verbeelding:

  • E61-E65 (Zuiderpaviljoen (Centrum voor Klinische Psychotherapie), Ouderenpsychiatrie).
  • E8 Dienst-/poortwoning
  • E10 (Het Uitzicht)
  • E13 (De Heuvel)
  • E16 Paviljoen Randwijk
  • E19 (Zonneheuvel)
  • E20 (Vredestein)
  • E36 (Zuidend / Video / Grafisch Centrum)
  • E24 (Interieurverzorging)
  • E21
  • E67 (Opslag Bouwbedrijf / Interieur)
  • E25 (Boomklever (onderhoudsdienst))
  • E28 (Electrotechniek/Werktuigbouwkunde)
  • E29 (Autistenwoning)
  • E30 (Woonhuis)
  • E35 (Lagerhout)
  • E45 Slagerij / worstmakerij
  • E48 (De Reehorst)

Naast een bouwaanduiding op de verbeelding worden deze panden in de regels nader beschermd.

3.3 Nadere typering te beschermen waarden

De stedenbouwkundige opzet van Dennenoord heeft belangrijke cultuurhistorische waarde als representant van de ontwikkeling van de psychiatrische ziekenzorg. De parkaanleg is, naast stedenbouwkundig ontwerpmiddel, tevens de neerslag van het psychiatrische ideeëngoed van rond de eeuwwisseling. De campusgedachte, gebaseerd op losstaande paviljoenen in een parkachtige omgeving is goed bewaard gebleven. Deze ruimtelijke kwaliteit is eveneens een kenmerk van de verpleegkundige uitgangspunten van Dennenoord. Als zodanig is Dennenoord een exemplarisch en goed herkenbaar voorbeeld van een kenmerkende cultuur- en sociaal-historische ontwikkeling in de jongere Nederlandse stedenbouw en bouwkunst.

Stedenbouwkundige en architectuurhistorische waarden

Het te beschermen gebied heeft zoals eerder beschreven het karakter van een campus bestaande uit een landschappelijke parkaanleg met daarin opgenomen lossen paviljoens. De nucleus van de campus wordt gevormd door de oudste bebouwing van het terrein. De paviljoens en overige bebouwing zijn goed herkenbare voorbeelden van architectuurhistorische ontwikkelingen in de jongere Nederlandse bouwkunst. Beide gebouwen van het Noorder Sanatorium hebben een dermate grote cultuur-, architectuurhistorische en stedenbouwkundige waarde dat deze reeds als Rijksmonument zijn aangewezen.

Historische waarden

De stedenbouwkundige opzet van Dennenoord heeft belangrijke cultuurhistorische waarde in de ontwikkeling van de psychiatrische ziekenzorg. De parkaanleg is, naast stedenbouwkundig ontwerpmiddel, tevens de neerslag van het psychiatrisch ideeëngoed van rond de eeuwwisseling.

Gaafheid

Hoewel de campusgedachte goed is behouden, is de ruimtelijkheid door recente ontwikkelingen onder druk komen te staan. De aanleg van kleinschalige woonwijken op het terrein, voortvloeiend uit de laatste ontwikkelingen in de psychiatrische ziekenzorg, is gebaseerd op het stedenbouwkundig uitgangspunt van geschakelde laagbouweenheden.

Hoofdstuk 4 Omgevingsaspecten

4.1 Archeologie

In opdracht van de gemeente Tynaarlo heeft BAAC bv een archeologisch verwachtingskaart en beleidskaart voor de gemeente opgesteld. Aanleiding is de Wet op de Archeologische Monumentenzorg. Deze wet, die op 1 september 2007 van kracht is geworden, geeft aan dat de gemeente inzicht dient te hebben in de (te verwachten) archeologische waarden binnen haar grondgebied. De archeologische verwachtingskaart en beleidskaart is verwerkt in de structuurvisie 'Archeologie'. Deze heeft op dit moment de status van ontwerp.

De structuurvisie bestaat uit drie kaarten. Op de bronnenkaart staan de bekende archeologische waarden. Op de landschaps- en verwachtingskaart is van de verschillende landschapseenheden binnen de gemeente de trefkans op archeologie weergegeven in de vorm van verwachtingszones. Voor de bekende, te verwachten archeologische waarden en de verwachtingszones is archeologiebeleid opgesteld. De archeologische beleidskaart is afgeleid uit de bronnenkaart en de archeologische verwachtingskaart. De beleidskaart vormt het instrument waarmee vergunningaanvragen kunnen worden getoetst. Indien archeologisch onderzoek noodzakelijk wordt geacht, geven de eerder genoemde kaarten informatie over de aanwezige of te verwachten archeologische resten.

afbeelding "i_NL.IMRO.1730.BPDennenoord-0401_0009.png"

Figuur 9: archeologische verwachtingskaart.

Het plangebied kent een hoge tot middelhoge verwachting als het gaat om onaangetaste archeologische restanten in de bodem. Daarom is in het archeologiebeleid vastgelegd dat voor dergelijke gebieden een archeologisch onderzoek uitgevoerd moet worden bij ingrepen met een geplande bodemverstoring met een oppervlakte van 1.000 m² en dieper dan 30 centimeter beneden maaiveld. Dit bestemmingsplan maakt gelet op het conserverende karakter dergelijke ontwikkelingen op dit moment niet mogelijk zodat specifiek onderzoek achterwege gelaten kan worden. Wel zijn de gebieden specifiek beschermd door middel van een dubbelbestemming die bepaalde ingrepen koppelt aan een omgevingsvergunning die vooraf afgegeven moet worden. In het kader van deze vergunning dient dan archeologisch onderzoek uitgevoerd te worden. Hiermee zijn de eventuele archeologische waarden in het gebied goed beschermd en vormt het aspect archeologie geen belemmering.

Er zijn, gezien de verwachtingswaarden in het plangebied, twee dubbelbestemmingen opgenomen Waarde-Archeologie en Waarde - Archeologische verwachting. De Waarde -Archeologie is het gebied met de hoogste verwachtingswaarde. Hier dient onderzoek uitgevoerd te worden voor bouwwerken groter dan 100m² en bij bodemingrepen die dieper gaan dan 30 centimeter. Dit is vastgelegd in de regels in de bouwregels. Voor de dubbelbestemming Waarde-Archeologische Verwachting geldt dat bij bouwwerken groter dan 1000m² en/of bodemingrepen dieper dan 30 centimeter een onderzoek uitgevoerd moet worden. In onderstaande tabel is een samenvatting van de regeling gemaakt ten aanzien van de regelingen met betrekking tot archeologie.

Tabel 2: Archeologische beschermingsregimes in het bestemmingsplan.

Categorie   Bouwverbod   Omgevingsvergunning   Afwijking   Legenda-eenheden  
Archeologische Rijksmonumenten   alleen aanduiding op de verbeelding   AMK-beschermd  
Waarde Archeologie   nee   ja   100m²
30 centimeter  
AMK - Historische kern
BT - historische elementen
AV-dekzandkoppen beekdal en vennetjes/laagten
AV - voorde  
Waarde Archeologische verwachting   nee   ja   1000 m²
30 centimeter drainering en sleuven  
AV - (middel)hoge verwachting  

De kolom legenda-eenheden verwijst naar de gemeentelijke beleids- en advieskaart (BAAC 2011). De gebieden die op deze kaart zijn aangewezen als 'Lage archeologische verwachting' en 'verstoord of archeologisch onderzocht en vrijgegeven' behoeven geen bescherming in het bestemmingsplan en zijn ook niet verwerkt in bovenstaande tabel.

4.2 Bodem

De tijd dat elke bodemvervuiling moest worden aangepakt ligt achter ons. Belangrijkste criterium hierbij is, of de vervuiling zodanig is, dat er sprake is van risico's voor gezondheid of milieu. In de praktijk blijken er vrijwel nooit risico's te zijn voor de gezondheid van mensen. Milieurisico's (verspreiding en ecologie) komen wel voor, maar meestal gaat het erom dat eventuele vervuilingen afstemming vereisen met bepaalde ontwikkelingen. Op dit moment is er sprake van een omslag van saneren naar beheren en behoeven alleen de zogeheten "ernstige vervuilingen" in meer of mindere mate aangepakt te worden. De maatregelen worden daarbij afgestemd op de functie.

Het nationale bodembeleid is geregeld in de Wet bodembescherming (Wbb). Het doel van de Wbb is om te voorkomen dat nieuwe gevallen van bodemverontreinigingen ontstaan. Voor bestaande bodemverontreinigingen is aangegeven in welke situaties (omvang en ernst van verontreiniging) en op welke termijn sanering moet plaatsvinden. Hierbij dient de bodemkwaliteit tenminste geschikt te worden gemaakt voor de functie die erop voorzien is, waarbij verspreiding van verontreiniging zoveel mogelijk wordt voorkomen.

Het beleid gaat uit van het principe dat de bodem geschikt dient te zijn voor de beoogde functie. De gewenste functie bepaalt als het ware de gewenste bodemkwaliteit. Hier is geen sprake van een verdachte locatie en bovendien is de nieuwe functie op zich ook niet gevoelig voor een eventuele vervuiling. Binnen het plangebied is geen sprake van verdachte locaties. Ook worden er geen nieuwe ontwikkelingen mogelijk gemaakt, zodat specifiek bodemonderzoek achterwege gelaten kan worden.

4.3 Cultuurhistorie

Per 1 januari 2012 is het Bro gewijzigd. Hierin is onder meer opgenomen dat het bestemmingsplan een beschrijving moet geven van de wijze waarop rekening is gehouden met de cultuurhistorische waarden. Wat al voor archeologie gold, geldt nu dus ook voor andere cultuurhistorische waarden, zoals bijzondere gebouwen en landschappelijke structuren. Daarmee ligt bij gemeenten de verantwoordelijkheid keuzen te maken ten aanzien van de cultuurhistorische waarden. Dit plangebied betreft vrijwel in zijn geheel een beschermd dorpsgezicht, de cultuurhistorische waarden zijn dan ook van groot belang. In hoofdstuk 3 is uitgebreid beschreven hoe de gemeente de bescherming van de cultuurhistorische waarden in het bestemmingsplan geregeld heeft. Kortheidshalve wordt hiernaar verwezen als het gaat om het aspect cultuurhistorie.

4.4 Ecologie

Algemeen

Ten aanzien van natuurwaarden zijn zowel gebiedsbescherming (Natuurbeschermingswet en Ecologische Hoofdstructuur) als soortbescherming (Flora- en faunawet) van belang.

Natuurbeschermingswet 1998

Uit een oogpunt van gebiedsbescherming is de Natuurbeschermingswet 1998, die op 1 oktober 2005 in werking is getreden, van belang. Deze wet onderscheidt drie soorten gebieden, te weten:

  • a. door de minister van LNV aangewezen gebieden, zoals bedoeld in de Vogel- en Habitatrichtlijn;
  • b. door de minister van LNV aangewezen beschermde natuurmonumenten;
  • c. door Gedeputeerde Staten aangewezen beschermde landschapsgezichten.

De wet bevat een zwaar beschermingsregime voor de onder a en b bedoelde gebieden (in de vorm van verboden voor allerlei handelingen, behoudens vergunning van Gedeputeerde Staten of de minister van LNV). De bescherming van de onder c bedoelde gebieden vindt plaats door middel van het bestemmingsplan. De speciale beschermingszones hebben een externe werking, zodat ook ingrepen die bui ten deze zones plaatsvinden verstoring kunnen veroorzaken en moeten worden getoetst op het effect van de ingreep op soorten en habitats.

Bij de voorbereiding van het bestemmingsplan moet worden onderzocht of de Natuurbeschermingswet 1998 de uitvoering van het plan niet in de weg staat. Dit is het geval wanneer de uitvoering tot ingrepen noodzaakt, waarvan moet worden aangenomen dat daarvoor geen vergunning ingevolge de Natuurbeschermingswet 1998 zal kunnen worden verkregen. Speciale beschermingszones maken onderdeel uit van een samenhangend Europees ecologisch netwerk: Natura 2000. Dit netwerk is vergelijkbaar met de Nederlandse Ecologische Hoofdstructuur, echter op Europees niveau. Het plangebied maakt geen onderdeel uit van een Natura 2000 gebied zodat dat geen belemmering vormt voor dit bestemmingsplan.

Ecologische Hoofdstructuur

De Nota Ruimte geeft het beleidskader voor de duurzame ontwikkeling en een verantwoord toekomstig grondgebruik in de vorm van onder andere de Ecologische Hoofdstructuur (EHS). De EHS is een samenhangend netwerk van bestaande en te ontwikkelen natuurgebieden. Het netwerk wordt gevormd door kerngebieden, natuurontwikkelingsgebieden en ecologische verbindingszones. De provinciale EHS ligt voor een gedeelte in het plangebied. Gronden die behoren tot de provinciale EHS hebben conform het geldende bestemmingsplan de bestemming Bos gekregen. Bestaande gebouwen zijn voorzien van een bouwvlak dat strak rondom de bestaande bebouwing is gelegd. De bestemming maakt de bouw van nieuwe gebouwen niet mogelijk en zorgt daarmee voor een goede bescherming van de provinciale EHS.

Flora en fauna

Op 1 april 2002 is de Flora- en faunawet in werking getreden. Deze wet regelt de bescherming van wilde dier- en plantensoorten. In de wet zijn de voormalige Jacht- en Vogelwet opgenomen, alsmede de soortbeschermings- paragrafen uit de Natuurbeschermingswet. Tevens is een deel van de verplichtingen op grond van de Europese Vogel- en Habitatrichtlijn opgenomen. De Flora- en faunawet verbiedt om dieren te doden of hun rust- of verblijfplaats te verstoren. Ook legt de wet de zorgplicht van de burger voor de flora en fauna vast. Er zijn vrijstellingsbepalingen, onder andere in verband met de jacht en de schadebestrijding. Afwijkingen van de verbodsbepalingen zijn mogelijk indien geen afbreuk wordt gedaan aan de gunstige staat van instandhouding van de soort.

Dit bestemmingsplan maakt geen nieuwe ontwikkelingen mogelijk waarvoor op dit moment ecologisch onderzoek uitgevoerd moet worden. Bij eventuele ontwikkelingen zal een aparte planologische procedure gevolgd moeten worden en zal in dat kader ecologisch onderzoek uitgevoerd moeten worden.

4.4.1 M.e.r.-regelgeving

Sinds 1 april 2011 is het verplicht om in bestemmingsplannen aandacht te schenken aan de vraag of er sprake is van milieugevolgen van een bestemmingsplan waarvoor een Milieueffectrapport (MER) moet worden opgesteld. Ook voor projecten die onder de drempelwaarden liggen uit het Besluit m.e.r. moet door het bevoegd gezag geoordeeld worden of er sprake is van significant negatieve effecten waarvoor een MER opgesteld moet worden. Dit bestemmingsplan is conserverend van aard waardoor er geen activiteiten mogelijk gemaakt worden uit de C- of D- lijst van het Besluit m.e.r. Het opstellen van een planMER of een m.e.r.-beoordeling in het kader van dit bestemmingsplan kan dan ook achterwege gelaten worden.

4.5 Externe veiligheid

Externe veiligheid beschrijft de risico's die ontstaan als gevolg van opslag of handelingen met gevaarlijke stoffen. Dit kan betrekking hebben op inrichtingen (bedrijven) of transportroutes. Op beide categorieën is verschillende wet- en regelgeving van toepassing. Het huidige beleid voor inrichtingen (bedrijven) is afkomstig uit het Besluit externe veiligheid inrichtingen (Bevi), welke 27 oktober 2004 van kracht is geworden. Het externe veiligheidsbeleid voor transport van gevaarlijke stoffen staat in de Circulaire Risiconormering vervoer gevaarlijke stoffen(cRvgs), welke op 4 augustus 2004 in de Staatscourant is gepubliceerd.

Binnen het beleidskader voor externe veiligheid staan twee kernbegrippen centraal: het plaatsgebonden risico en het groepsrisico. Het plaatsgebonden risico (PR) geeft de kans, op een bepaalde plaats, om te overlijden ten gevolge van een ongeval bij een risicovolle activiteit. Binnen de 10-6 /jaarcontour (welke als wettelijke harde norm fungeert) mogen geen nieuwe kwetsbare objecten geprojecteerd worden. Het groepsrisico (GR) is een maat voor de kans dat bij een ongeval een groep slachtoffers valt met een bepaalde omvang. Het GR wordt bepaald binnen het invloedsgebied van een risicovolle activiteit. De verantwoordingsplicht draait kort gezegd om de vraag in hoeverre risico's, als gevolg van een ruimtelijke ontwikkeling, worden geaccepteerd en indien noodzakelijk welke veiligheidsverhogende maatregelen daarmee gepaard gaan.

afbeelding "i_NL.IMRO.1730.BPDennenoord-0401_0010.png"

Figuur 10: overzicht plangebied op risicokaart (bron: www. risicokaart.nl).

In de directe omgeving van het plangebied zijn een tweetal bedrijven actief die vallen onder de werking van het Bevi. Het betreft het zwembad direct ten oosten van het plangebied en een LPG-reservoir ten westen ervan (zie figuur 10). De plaatsgebonden risicocontouren van beide locaties vallen echter niet over dit plangebied heen. De invloedsgebieden van beide inrichtingen vallen buiten het plangebied en zijn niet van invloed op de planvorming. Omdat het een conserverend bestemmingsplan is en dus het aantal aanwezige personen niet zal veranderen door dit bestemmingsplan verandert ook het groepsrisico niet.

4.6 Geluid

De mate waarin het geluid, veroorzaakt door het wegverkeer, door spoorwegverkeer, en/of door inrichtingen (industrielawaai) het milieu mag belasten, is geregeld in de Wet geluidhinder. De wet stelt, dat in principe de geluidbelasting op de gevel van woningen niet hoger mag zijn dan de maximaal toelaatbare waarde, dan wel een nader bepaalde waarde (hogere waarde). De kern van Zuidlaren en het Dennenoordterrein zijn aangewezen als 30 km/u gebied waardoor specifiek geluidsonderzoek voor deze gebieden niet nodig is. Het gedeelte van de Stationsweg dat binnen het plangebied is opgenomen is 50km/u. Omdat er geen nieuwe ontwikkelingen mogelijk gemaakt worden hoeft ook voor dit gedeelte geen specifiek geluidsonderzoek uitgevoerd te worden.

afbeelding "i_NL.IMRO.1730.BPDennenoord-0401_0011.png"

Figuur 11: geluidbelasting wegverkeerslawaai 2020. Groene vlak betreft een belasting van ca. 42-48 dB.

Wel is er een geluidcontour vanwege het geluid van het verkeer dat over de N34 rijdt die over een gedeelte van het plangebied ligt. Binnen deze contour staan geen geluidgevoelige objecten, deze worden ook niet mogelijk gemaakt met dit plan. Daarom kan specifiek onderzoek achterwege gelaten worden. De betreffende zone is, conform het vigerende bestemmingsplan op de verbeelding van het bestemmingsplan aangegeven.

4.7 Kabels en leidingen

In het plangebied liggen geen kabels en leidingen die een speciale bescherming nodig hebben in dit bestemmingsplan. Wel ligt ten noorden van het plangebied een gasleiding. De invloed van deze leiding is echter niet beperkend voor de mogelijkheden in dit bestemmingsplan.

4.8 Luchtkwaliteit

Per 15 november 2007 is de nieuwe regelgeving voor luchtkwaliteit in werking getreden. De Wet luchtkwaliteit vervangt het Besluit luchtkwaliteit 2005. De wet voorziet om te beginnen in de mogelijkheid dat voor kleinere projecten - de zogenaamde 'niet in betekenende mate projecten' - geen afzonderlijke maatregelen meer getroffen behoeven te worden om aan de grenswaarden te voldoen. Het begrip niet in betekenende mate (NIBM) bijdragen wordt nader uitgewerkt in de uitvoeringsregels. De Algemene Maatregel van Bestuur 'niet in betekenende mate bijdragen' (AMvB-NIBM) bepaalt wanneer de mate van luchtverontreiniging verwaarloosbaar is. De regeling geeft concrete getallen voor plannen die gaan over bijvoorbeeld de bouw van woningen en/of kantoren.

Uit onderzoek van de provincie Drenthe is gebleken dat er géén overschrijdingen van de wettelijke grenswaarden in de provincie Drenthe bestaan. In de nabije toekomst bestaat voor de provincie alleen de kans dat lokaal overschrijdingen voor fijn stof plaatsvinden. Op de lange termijn is deze kans te verwaarlozen. Dit bestemmingsplan maakt de bouw van nieuwe woningen en/of kantoren niet mogelijk. Het zal dan ook niet zorgen voor een verbetering danwel verslechtering van de luchtkwaliteit. Verdere toetsing en/of aanvullend onderzoek kan achterwege blijven omdat het bestemmingsplan onder de werking van de Algemene Maatregel van Bestuur valt.

4.9 Water

Bij elk bestemmingsplan dient nauwkeurig onderzocht te worden of er ook waterbelangen in het geding zijn. De watertoets heeft tot doel om te komen tot een goed functionerend en beheersbaar ontwerp van de waterhuishouding en de riolering voor het plangebied, dat aansluit op het vigerende beleid van het rijk, de provincie, het waterschap en de gemeente. Hiertoe worden de randvoorwaarden en uitgangspunten voor het ontwerp vroegtijdig in het ruimtelijk planproces uitgewerkt en kunnen eventuele kansen of knelpunten in dit stadium worden gesignaleerd.

Vanuit de bestaande gebouwen op het Dennenoordterrein wordt momenteel zowel schoon regenwater als vuil water (zogenaamd grijs en zwart water) in het riool gestort, om vervolgens via persleidingen op het gemengd stelsel van de Schipborgerweg te worden geloosd. Er zit in dit systeem ook nog een overstortvijver. Als het hard regent loopt het rioolwater hierin terug.

Voor dit bestemmingsplan is via www.dewatertoets.nl een digitale watertoets uitgevoerd. Daarbij is het plangebied ingetekend en getoetst door het Waterschap. Het resultaat is als bijlage 3 ingevoegd. Hieruit is naar voren gekomen, dat er een persleiding direct ten westen, net buiten het plangebied, ligt onder de Oude Zeegserweg en Schipborgerweg. Omdat het bestemmingsplan geen nieuwe ontwikkelingen mogelijk maakt is er op dit moment geen direct belang voor het Waterschap en kan verder onderzoek achterwege gelaten worden. Het bestemmingsplan zal formeel in het kader van het vooroverleg ex artikel 3.1.1 Bro nog worden voorgelegd aan het Waterschap.

Hoofdstuk 5 Juridische planopzet

5.1 Inleiding

Overeenkomstig het bepaalde in artikel 3.1 van de Wet ruimtelijke ordening worden de in het plan begrepen gronden voor bepaalde doeleinden aangewezen door middel van de op de verbeelding aangegeven bestemmingen en daarop betrekking hebbende planregels. Daarbij worden regels gegeven voor het bouwen van bouwwerken en voor het gebruik van de bouwwerken en onbebouwde gronden. In dit hoofdstuk wordt nadere uitleg gegeven over de planregels. De planregels bestaan uit vier hoofdstukken waarop in de volgende paragrafen respectievelijk wordt ingegaan:

  • 1. inleidende regels;
  • 2. bestemmingsregels;
  • 3. algemene regels;
  • 4. overgangs- en slotregels.

Voorliggend bestemmingsplan bevat een toelichting, regels en een verbeelding. De regels en de verbeelding vormen de juridisch bindende elementen van het bestemmingsplan. Het bestemmingsplan is opgezet volgens de wettelijke regelgeving en qua systematiek volgens de Standaard Vergelijkbare BestemmingsPlannen (SVBP) 2012, met inachtneming van de aanpassingen die voortvloeien uit de Wet algemene bepalingen omgevingsrecht (Wabo) die op 1 oktober 2010 in werking is getreden.

5.2 Inleidende regels

Artikel 1 Begrippen

In dit eerste artikel zijn noodzakelijke begripsbepalingen opgenomen die worden gebruikt in de planregels. Het bevat definities om misverstanden te voorkomen.

Artikel 2 Wijze van meten

Het tweede artikel regelt hoe er gemeten moet worden.

5.3 Bestemmingsregels

Artikel 3 Agrarisch

De agrarische gronden in het plangebied zijn bestemd voor de graslanden in het plangebied. Hieronder wordt tevens de dobbe begrepen. Op deze gronden mogen geen gebouwen worden gebouwd. De bouwhoogte van bouwwerken, geen gebouwen zijnde mag maximaal 3 meter bedragen. De oppervlakte mag maximaal 15m² bedragen.

Artikel 4 Bos

De bestemming Bos is toegekend aan de bosgronden in het plangebied. Het heeft als doel deze gronden en natuurwaarden te beschermen, de begraafplaats en extensief recreatief medegebruik toe te staan. Gebouwen zijn uitsluitend binnen het op de verbeelding aangegeven bouwvlakken toegestaan. De bouwhoogte van bouwwerken, geen gebouwen zijnde mag maximaal 3 meter bedragen.

Artikel 5 Gemengd

De bestemming Gemengd is toegekend aan het zuidwestelijke deel van het plangebied. Hier mogen bedrijven (categorie 1 en 2), onderwijsinstellingen, woningen en dienstverlenende bedrijven. Gebouwen mogen binnen de op de verbeelding aangegeven bouwvlakken gebouwd worden. Hierin staat ook de bouwhoogte en een bebouwingspercentage.

Binnen de bestemming zijn de beeldbepalende panden aangegeven met een specifieke bouwaanduiding. Voor deze panden zijn bouwregels opgenomen die ervoor zorgen dat deze niet zonder meer aangepast mogen worden en de bestaande situatie gehandhaafd blijft. Tevens is een sloopverbod opgenomen.

Artikel 6 Groen

De bestemming Groen is toegekend aan de groene rand van het plangebied. Hier mogen geen gebouwen gebouwd worden, enkel bouwwerken geen gebouwen zijnde.

Artikel 7 Maatschappelijk

De bestemming Maatschappelijk is toegekend aan onderwijsinstellingen, sociale, culturele en medische instellingen, waaronder onderzoek ten behoeve van onder meer het gebruik van medicijnen is begrepen. De bouwhoogte van de gebouwen mag niet meer bedragen dan 15 meter.

Binnen de bestemming zijn de beeldbepalende panden aangegeven met een specifieke bouwaanduiding. Voor deze panden zijn bouwregels opgenomen die ervoor zorgen dat deze niet zonder meer aangepast mogen worden en de bestaande situatie gehandhaafd blijft. Tevens is een sloopverbod opgenomen.

Artikel 8 Verkeer

de wegen en hoofdinstrastructuur voor het doorgaande verkeer binnen het plangebied heeft de bestemming Verkeer gekregen. De hoogte van bouwwerken voor geleiding en beveiliging en regeling van het verkeer mogen 3 meter zijn. Lichtmasten mogen 15 meter hoog worden.

Artikel 9 Waarde - Archeologie

De bestemming Waarde-Archeologie is toegekend aan gronden waar op basis van de archeologische verwachtingskaart een hoge verwachtingswaarde van toepassing is. Wanneer bouwwerken met een grotere oppervlakte dan 100 m² gerealiseerd worden en/of grondwerkzaamheden dieper dan 30 centimeter plaatsvinden dient eerst door middel van onderzoek aangetoond te worden dat er geen archeologische waarden in de grond aanwezig zijn.

Indien een omgevingsvergunning voor het uitvoeren van een werk, geen bouwwerk zijnde, of van werkzaamheden als bedoeld in de verordening inzake monumenten en archeologie van de gemeente Tynaarlo noodzakelijk is, mag het bouwen op de gronden met de dubbelbestemming Waarde - Archeologische verwachting ten dienste van de andere daar voorkomende bestemmingen uitsluitend geschieden, nadat het bevoegd gezag een omgevingsvergunning heeft verleend.

Artikel 10 Waarde - Archeologische verwachting

De bestemming Waarde-Archeologische verwachting is toegekend aan gronden waar op basis van de archeologische verwachtingskaart een hoge verwachtingswaarde van toepassing is. Wanneer bouwwerken met een grotere oppervlakte dan 1000 m² gerealiseerd worden en/of grondwerkzaamheden dieper dan 30 centimeter plaatsvinden dient eerst door middel van onderzoek aangetoond te worden dat er geen archeologische waarden in de grond aanwezig zijn.

Indien een omgevingsvergunning voor het uitvoeren van een werk, geen bouwwerk zijnde, of van werkzaamheden als bedoeld in de verordening inzake monumenten en archeologie van de gemeente Tynaarlo noodzakelijk is, mag het bouwen op de gronden met de dubbelbestemming Waarde - Archeologische verwachting ten dienste van de andere daar voorkomende bestemmingen uitsluitend geschieden, nadat het bevoegd gezag een omgevingsvergunning heeft verleend.

Artikel 11 Waarde - Beschermd dorpsgezicht

De dubbelbestemming Waarde - Beschermd dorpsgezicht is toegekend aan de gronden die behoren tot het beschermd dorpsgezicht. In de regels van deze bestemming is bepaald dat alleen gebouwen gebouwd mogen worden die het karakter van het beschermd dorpsgezicht niet aantasten.

5.4 Algemene regels

Artikel 12 Anti-dubbeltelregel

Met de regel van dit artikel wordt voorkomen dat regels ten onrechte zo worden gehanteerd dat meer dan de bedoelde bebouwing kan worden toegestaan.

Artikel 13 Algemene gebruiksregels

In de algemene gebruiksregels is aangegeven dat het gebruik van gronden en/of bouwwerken voor een seksinrichting in ieder geval strijdig is met de in het bestemmingsplan opgenomen bestemmingen.

Artikel 14 Algemene aanduidingsregels

Binnen de algemene aanduidingsregels zijn bepalingen opgenomen ten aanzien van de geluidzone van de weg . Binnen de geluidzone mogen geen geluidgevoelige gebouwen gebouwd worden.

Artikel 15 Algemene afwijkingsregels

In dit artikel is bepaald dat in geringe mate kan worden afgeweken van bouwgrenzen voor ondergeschikte delen van bebouwing tot aan de in dit artikel genoemde maten.

Artikel 16 Algemene wijzigingsregels

In dit artikel worden een aantal wijzigingsbevoegdheden beschreven waarvan het bevoegd gezag gebruik kan maken.

Artikel 17 Overige regels

In de overige regels wordt de afstemming met de Algemene Plaatselijke Verordening (APV) bepaald ten aanzien van het toestaan van evenementen.

5.5 Overgangs- en slotregels

Artikel 18 Overgangsrecht

Het overgangsrecht bevat een regeling voor bebouwing en gebruik dat al bestond bij het inwerking treden van het plan, maar dat strijdig is met de planregels van dit bestemmingsplan. Onder bepaalde voorwaarden mag deze strijdige bebouwing en/of strijdig gebruik worden voortgezet of gewijzigd. De redactie is wettelijk vastgelegd en overeenkomstig opgenomen.

Artikel 19 Slotregel

In de slotregel wordt aangegeven hoe het bestemmingsplan aangehaald kan worden. De redactie is wettelijk vastgelegd en overeenkomstig opgenomen.

Hoofdstuk 6 Economische uitvoerbaarheid

In het kader van de Wet ruimtelijke ordening geldt de verplichting om bij een bestemmingsplan het kostenverhaal te regelen. In sommige gevallen is een exploitatieplan benodigd. Een uitzondering geldt als er een anterieure overeenkomst is afgesloten, waarin het kostenverhaal is geregeld. Dit bestemmingsplan is conserverend van aard en maakt geen ontwikkelingen mogelijk, waarvoor het kostenverhaal vooraf geregeld moet worden. Daarmee is het kostenverhaal in voldoende mate gedekt. Een exploitatieplan is niet nodig.

Hoofdstuk 7 Maatschappelijke uitvoerbaarheid

Voorafgaand aan voorliggend ontwerp-bestemmingsplan is het voorontwerp-bestemmingsplan voorgelegd aan de bevoegde instanties conform artikel 3.1.1. Bro en belanghebbenden. Tijdens deze periode is een aantal reacties binnengekomen. Deze reacties zijn van commentaar voorzien in de Inspraaknotitie bestemmingsplan Dennenoord. Deze notitie, inclusief de binnengekomen brieven zijn als bijlage 4 aan dit plan toegevoegd.

Het bestemmingsplan wordt als ontwerp gedurende zes weken ter visie gelegd in het gemeentehuis en is te raadplegen via www.ruimtelijkeplannen.nl en via de gemeentelijke website. Gedurende deze periode kan eenieder gedurende de terinzagetermijn op het bestemmingsplan reageren.