Kom Biezenmortel 2018, 1e herziening (Winkelsestraat 21)
| Status: | vastgesteld |
| Identificatie: | NL.IMRO.0855.BSP2021002-e001 |
| Plantype: | bestemmingsplan |
Toelichting
Hoofdstuk 1 Plan en plangebied
1.1 Aanleiding tot planontwikkeling
Er is een verzoek om herziening van het bestemmingsplan ingediend voor de realisatie van een nieuwe vrijstaande woning op het perceel aan de Winkelsestraat in Biezenmortel. Het te bebouwen perceel is onbebouwd en bestaat hoofdzakelijk uit grasland. Een deel van het perceel werd voorheen gebruikt voor het hobbymatig houden van een paard.
Op grond van het bestemmingsplan "Kom Biezenmortel 2018" van de voormalige gemeente Haaren is de bouw van de nieuwe woning niet mogelijk. Daarom dient het bestemmingsplan te worden herzien. Het doel van dit nieuwe bestemmingsplan is het tot stand brengen van een regeling om op het perceel aan de Winkelsestraat 21 in Biezenmortel één nieuwe vrijstaande woningen te kunnen realiseren.
Met deze toelichting wordt een basis gegeven voor de bestemmingsplanherziening waarmee medewerking kan worden verleend aan het initiatief. De toelichting geeft aan waarom de beoogde ontwikkeling past binnen de visie op het gebied. Er wordt nader ingegaan op de wijze waarop het initiatief aansluit op de plaatselijke situatie en het beleid dat de gemeente voorstaat. Tevens worden de (stedenbouwkundige) richtlijnen en randvoorwaarden welke aan de basis van de planontwikkeling hebben gestaan in de toelichting verwoord. De toelichting geeft ook de resultaten van de uitgevoerde onderzoeken weer.
1.2 Het plangebied
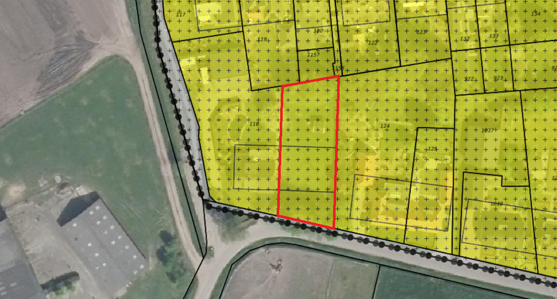
Het plangebied ligt in de gemeente Tilburg, aan de Winkelsestraat in de dorpskern Biezenmortel. Het perceel is gelegen tussen bestaande woningen op nummer 21 en 23. Het plangebied is onderdeel van het perceel met kadastraal nummer 118 (sectie G, Haaren) en heeft een oppervlakte van circa 850m2. Onderstaande luchtfoto's geven zicht op het dorp Haaren en de ligging van de locatie.
![i_NL.IMRO.0855.BSP2021002-e001_402000.png [image]](i_NL.IMRO.0855.BSP2021002-e001_402000.png)
Luchtfoto 1: Noordoostelijke ligging plangebied ten opzichte van Tilburg, bron:GoogleMaps
![i_NL.IMRO.0855.BSP2021002-e001_402001.png [image]](i_NL.IMRO.0855.BSP2021002-e001_402001.png)
Luchtfoto 2 ligging van de locatie in rood aangeduid, bron: www.kadastralekaart.com
1.3 Voorgaande plannen
Het vigerende bestemmingsplan is het bestemmingsplan "Kom Biezenmortel 2018", vastgesteld op 28 maart 2019. De bestemming van het perceel is "Wonen". Binnen de bestemming "Wonen" is het bouwen van woningen toegestaan binnen het bouwvlak maar gemaximaliseerd tot het bestaande aantal woningen. De bouw van een nieuwe, tweede woning is derhalve niet mogelijk.
![i_NL.IMRO.0855.BSP2021002-e001_402002.png [image]](i_NL.IMRO.0855.BSP2021002-e001_402002.png)
Uitsnede bestemmingsplankaart "Kom Biezenmortel 2018", bron: ruimtelijkeplannen.nl
1.4 Ruimtelijke en functionele structuur
Het plangebied is gelegen in een bestaande woonstraat aan de zuidwestelijke rand van de dorpskern Biezenmortel. Het plangebied is gelegen tussen Winkelsestraat 21 en 23. Het betreft een onbebouwd perceel dat voornamelijk uit grasland bestaat. Het oostelijk deel van het perceel naast de woning op nummer 21 werd voorheen voor het hobbymatig houden van een paard gebruikt.
![i_NL.IMRO.0855.BSP2021002-e001_402003.png [image]](i_NL.IMRO.0855.BSP2021002-e001_402003.png)
Foto vanaf voorkant van het perceel met zicht op bestaande woning Winkelsestraat 21 (links in beeld) en onbebouwd perceel
1.5 Stedenbouwkundige inpassing en beeldkwaliteit
Dit bestemmingsplan voorziet in een regeling op basis waarvan de bouw van een nieuwe woning mogelijk wordt. Een concreet bouwplan voor de nieuwe woning is nog niet beschikbaar.
![i_NL.IMRO.0855.BSP2021002-e001_402004.png [image]](i_NL.IMRO.0855.BSP2021002-e001_402004.png)
Illustratie van het plangebied met in rood de vorm van het (bestaande) bouwvlak
Hoofdstuk 2 Ruimtelijk beleidskader
2.1 Rijk
2.1.1 Structuurvisie Infrastructuur en Ruimte (SVIR)
In de Structuurvisie Infrastructuur en Ruimte (SVIR) staan de plannen voor ruimte en mobiliteit. Zo beschrijft het kabinet in de Structuurvisie in welke infrastructuurprojecten het de komende jaren wil investeren.
Provincies en gemeentes krijgen meer bevoegdheden bij ruimtelijke ordening. De Rijksoverheid richt zich op nationale belangen, zoals verbetering van de bereikbaarheid. Op 13 maart 2012 is de SVIR in werking getreden.
In de SVIR schetst het kabinet hoe Nederland er in 2040 uit moet zien: concurrerend, bereikbaar, leefbaar en veilig. Het ruimtelijke en mobiliteitsbeleid wordt meer aan provincies en gemeenten overgelaten. Hieronder valt bijvoorbeeld het landschapsbeleid. De Rijksoverheid richt zich op nationale belangen, zoals een goed vestigingsklimaat, een degelijk wegennet en waterveiligheid. Tot 2028 heeft het kabinet in de SVIR 3 Rijksdoelen geformuleerd:
de concurrentiekracht vergroten door de ruimtelijk-economische structuur van Nederland te versterken. Dit betekent bijvoorbeeld een aantrekkelijk (internationaal) vestigingsklimaat;
de bereikbaarheid verbeteren;
zorgen voor een leefbare en veilige omgeving met unieke natuurlijke en cultuurhistorische waarden.
De structuurvisie Infrastructuur en Ruimte is tot nu toe gedeeltelijk vertaald in het Besluit algemene regels ruimtelijke ordening (Barro). Het Barro omvat alle ruimtelijke rijksbelangen die juridisch doorwerken op het niveau van bestemmingsplannen. Het gaat om kaders voor onder meer het bundelen van verstedelijking, de bufferzones, nationale landschappen, het Natuur Netwerk Nederland, de kust, grote rivieren, militaire terreinen, mainportontwikkeling van Rotterdam en de Waddenzee.
2.1.2 Besluit algemene regels ruimtelijke ordening (Barro)
Ter bescherming van de nationale belangen is door het Rijk het Besluit algemene regels ruimtelijke ordening (Barro) opgesteld. De regels van het Barro moeten in acht worden genomen bij het opstellen van provinciale ruimtelijke verordeningen en bestemmingsplannen.
In het Barro zijn regels opgenomen voor de volgende nationale belangen:
Rijksvaarwegen;
Mainportontwikkeling Rotterdam;
Kustfundament;
Grote rivieren;
Waddenzee en waddengebied;
Defensie;
Hoofdwegen en landelijke spoorwegen;
Elektriciteitsvoorziening;
Buisleidingen van nationaal belang voor vervoer van gevaarlijke stoffen;
Natuur Netwerk Nederland;
Primaire waterkeringen buiten het kustfundament;
IJsselmeergebied (uitbreidingsruimte);
Erfgoederen van uitzonderlijke universele waarde.
Geen van de nationale belangen heeft betrekking op het project.
2.1.3 (Ladder voor) Duurzame verstedelijking
De 'ladder voor duurzame verstedelijking' is in de Structuurvisie Infrastructuur en Ruimte (SVIR) geïntroduceerd en vastgelegd als procesvereiste in het Besluit ruimtelijke ordening (Bro). Het Bro bepaalt dat voor onder meer bestemmingsplannen die nieuwe woningen mogelijk maken, de treden van deze ladder doorlopen moeten worden. Doel van de ladder voor duurzame verstedelijking is een goede ruimtelijke ordening in de vorm van een optimale benutting van de ruimte in stedelijke gebieden. Artikel 3.1.6, lid 2 van het Bro gaat in op duurzame verstedelijking en luidt als volgt:
Lid 2. De toelichting bij een bestemmingsplan dat een nieuwe stedelijke ontwikkeling mogelijk maakt, bevat een beschrijving van de behoefte aan die ontwikkeling, en, indien het bestemmingsplan die ontwikkeling mogelijk maakt buiten het bestaand stedelijk gebied, een motivering waarom niet binnen het bestaand stedelijk gebied in die behoefte kan worden voorzien.
Ingevolge artikel 1.1.1, eerste lid, aanhef onder i, van het Bro wordt in het Bro de de daarop berustende bepalingen onder stedelijke ontwikkeling verstaan: "ruimtelijke ontwikkeling van een bedrijventerrein of zeehaven, of van kantoren, detailhandel, woningbouwlocaties of andere stedelijke voorzieningen."
Dit bestemmingsplan maakt het mogelijk één nieuwe woning te realiseren. Volgens jurisprudentie is de planologische toevoeging van één woning niet te beschouwen als een "stedelijke ontwikkeling" zoals op grond van artikel 1.1.1, eerste lid, aanhef onder i, van het Bro wordt verstaan. Toetsing aan de ladder zoals dat in artikel 3.1.6, tweede lid 2, Bro is bepaald is daarom niet aan de orde.
Dit neemt niet weg dat de behoefte aan de nieuwe ontwikkeling in het kader van de uitvoerbaarheid van dit bestemmingsplan wel moet worden onderbouwd. De onderbouwing voor de behoefte en de regionale afstemming is opgenomen in paragraaf 2.3 van deze toelichting.
2.2 Provincie
2.2.1 Brabantse omgevingsvisie
Vooruitlopend op de Omgevingswet heeft de provincie Noord-Brabant reeds haar Omgevingsvisie opgesteld. De Omgevingswet heeft onder ander als doel om de overzichtelijkheid en gebruiksgemak van het Omgevingsrecht te verbeteren. Ook beoogt de wet meer bestuurlijke afwegingsruimte en een meer samenhangende benadering van de fysieke leefomgeving in beleid, besluitvorming en regelgeving. In de Brabantse Omgevingsvisie staat de fysieke wereld centraal. Deze fysieke wereld manifesteert zich in vier elementen: water, aarde, lucht en vuur (energie). De basis is dat deze elementen in balans zijn en blijven bij ruimtelijke transities. Draagvlak en draagkracht zijn hierbij belangrijke aspecten. De Brabantse Omgevingsvisie bestaat uit zeven hoofdstukken.
In hoofdstuk 5 staat beschreven wat de kernwaarden zijn voor het handelen van de provincie. Hierin wordt onder andere verwoord dat de provincie gaat voor meerwaarde-creatie. Dit betekent dat uitdrukkelijk gekeken wordt naar de effecten van ontwikkelingen op sociale inclusiviteit, veiligheid, gezondheid en omgevingskwaliteit.
De beoogde ontwikkeling betreft een goede bijdrage aan de verbetering van de ruimtelijke kwaliteit doordat de woning op een passende wijze stedenbouwkundig is ingepast (zie paragraaf 3.1). Bovendien wordt het bestaand stedelijk gebied beter benut waardoor de ruimteclaim op natuur en landschap voor woningbouw kleiner wordt. De beoogde ontwikkeling past daarom binnen de kernwaarden voor het handelen van de provincie.
2.2.2 Structuurvisie ruimtelijke ordening
Op 1 januari 2011 is de Structuurvisie ruimtelijke ordening Noord-Brabant in werking getreden. Provinciale Staten hebben deze op 1 oktober 2010 vastgesteld. De Structuurvisie RO kent een partiële herziening 2014. Deze partiële herziening is op 19 maart 2014 in werking getreden. Hierin wordt geconstateerd dat dé grote uitdaging voor Noord-Brabant is om het (hoog)stedelijk gebied verder te ontwikkelen tot een krachtig netwerk en tegelijkertijd de groene en blauwe waarden van Noord-Brabant te versterken. De nabijheid van stad en land en de karakteristieke afwisseling tussen stad en land zijn daarbij belangrijke kwaliteiten die bijdragen aan een aantrekkelijk leef- en vestigingsklimaat in Noord-Brabant.
De ruimtelijke visie van de provincie bestaat op hoofdlijnen uit een robuust en veerkrachtig natuur- en watersysteem. Met aandacht voor hoogwaterbescherming, droogte, biodiversiteit. Een multifunctioneel landelijk gebied, waar de functies landbouw, recreatie en natuur in relatie tot elkaar ruimte krijgen. Met aandacht voor cultuurhistorische waarden en de leefbaarheid van kleine kernen. En een gevarieerd en aantrekkelijk stedelijk gebied, met sterke steden, groene geledingszones en uitloopgebieden (intensieve recreatie, stadslandbouw). Met aandacht voor sterke regionale economische clusters, (inter-)nationale bereikbaarheid en knooppuntontwikkeling (zowel in de centra als aan de randen van de steden).
De provincie vindt het belangrijk dat er in Noord-Brabant verschil blijft tussen de steden en de kernen in het landelijk gebied. De provincie wil dat er verschillende kwaliteiten worden ontwikkeld voor wonen en werken rond de steden en in het landelijk gebied. In het landelijk gebied bieden vitale kernen landelijke en meer kleinschalige woon- en werkmilieus. Ontwikkelingen voor wonen, werken en voorzieningen zijn gericht op de eigen behoefte.
De structuurvisie is opgebouwd uit twee delen en een uitwerking. In het eerste deel, Deel A, is de kern van de visie van de provincie op de ruimtelijke ontwikkeling van Noord-Brabant opgenomen. Deel B van de structuurvisie 'Ruimtelijke structuren' beschrijft de wijze waarop de provincie de visie uit werkt in vier robuuste ruimtelijke structuren: de "Groenblauwe structuur", "Landelijk gebied", "Stedelijke structuur" en "Infrastructuur". In de structuren staat hoe de provincie aankijkt tegen de ontwikkeling van functies.
![i_NL.IMRO.0855.BSP2021002-e001_402005.png [image]](i_NL.IMRO.0855.BSP2021002-e001_402005.png)
Uitsnede "Structurenkaart" Structuurvisie Ruimtelijke Ordening 2010. Bron: Ruimtelijkeplannen.nl
Het plangebied ligt in het gebied "Kernen in het landelijk gebied" en voor een klein deel in "Gemengd landelijk gebied". De Structuurvisie zegt daarover het volgende:
Kernen in het landelijke gebied
In de kernen in het landelijk gebied met de bijbehorende zoekgebieden voor verstedelijking wordt de lokale behoefte voor verstedelijking opgevangen (wonen, werken en voorzieningen). De kernen die de afgelopen decennia weinig zijn veranderd hebben hun historische karakter en oorspronkelijke relatie met het landschap behouden. In deze plattelandskernen hebben weinig en soms zelfs geen planmatige ontwikkelingen in de vorm van woonwijken of werklocaties plaatsgevonden. Vanwege het behouden van de eigen identiteit en contrasten vindt de provincie het belangrijk dat er bij de ontwikkeling van deze kernen aandacht is voor het verweven van functies binnen de dorpse structuur.
Gemengd landelijk gebied
In de gemengde plattelandseconomie is naast ruimte voor de land- en tuinbouw ook ruimte voor de ontwikkeling van niet-agrarische functies, zoals toerisme, recreatie, kleinschalige bedrijvigheid, zorgfuncties et cetera. Dit kan door verbreding van agrarische activiteiten maar ook als zelfstandige functie, met name op vrijkomende locaties. Rondom steden, dorpen en natuur is er in de meeste gevallen feitelijk sprake van een gemengde plattelandseconomie. In de gebieden rondom steden en dorpen is daarbij meer ruimte voor de ontwikkeling van functies die zich richten op de inwoners van die kernen.
Het realiseren van een nieuwe woning past binnen de beleidsregels die zijn opgenomen in de Structuurvisie ruimtelijke ordening. De beoogde ontwikkeling sluit aan bij de overige bestaande woningen en percelen in het gebied die in samenhang aansluiten bij de omliggende bebouwing waardoor de karakteristiek van het gebied intact blijft en er sprake is van het in standhouden van de ruimtelijke kwaliteit in het gebied.
Regels met betrekking tot nieuwe ontwikkelingen heeft de provincie vastgelegd in de Interim omgevingsverodening van de provincie Noord-Brabant.
2.2.3 Interim omgevingsverordening
De Interim omgevingsverordening (vastgesteld op 25 oktober 2019 en in werking getreden per 5 november 2019) betreft een samenvoeging van verschillende regelingen op provinciaal niveau met betrekking tot de fysieke leefomgeving. Dit betekent dat de regels betrekking hebben op milieu, natuur, ruimtelijke ordening, water, bodem en wegen. De Interim omgevingsverordening is daarbij een eerste stap op weg naar een definitieve omgevingsverordening, die op grond van de Omgevingswet wordt vastgesteld en die verplicht is voor provincies. Naar verwachting treedt de Omgevingswet op 1 januari 2021 in werking.
De provincie wil met haar regels aansluiten op de werkwijze in de Omgevingsvisie en de Omgevingswet. Daarom is ervoor gekozen om de verschillende provinciale verordeningen voor de fysieke leefomgeving samen te voegen tot een Interim omgevingsverordening.
De Interim omgevingsverordening is beleidsneutraal van karakter. Dat betekent dat er geen nieuwe beleidswijzigingen zijn doorgevoerd, behalve als deze voortvloeien uit vastgesteld beleid zoals de omgevingsvisie. Er heeft voor de Interim verordening geen expliciete afweging plaatsgevonden of de inzet van de verordening voor een bepaald onderwerp gecontinueerd moeten worden. In beginsel zijn de huidige regels met het huidige beschermingsniveau gehandhaafd. In het algemeen geldt daarbij dat de inzet van de verordening in de provincie Noord-Brabant is beperkt tot die onderdelen van het beleid waarvoor het vanuit provinciale belangen nodig is om regels in te zetten of waarvoor het vanuit de wet verplicht is om regels te stellen in de verordening.
De Interim omgevingsverordening is digitaal. Dit betekent dat alle regels gekoppeld zijn aan een op een digitale kaart weergegeven werkingsgebied. D
oor op een willekeurig punt in de kaart te klikken, kan iemand zien welke regels op die plek gelden.
In hoofdstuk 3 zijn de instructieregels opgenomen die gemeenten moeten toepassen bij de uitvoering van hun bevoegdheden in het kader van de Wet ruimtelijke ordening. De instructieregels uit hoofdstuk 3 gelden niet alleen voor bestemmingsplannen, maar bijvoorbeeld ook voor beheersverordeningen en uitvoeringsbesluiten.
Instructieregels voor het plangebied
Op basis van kaart 3 voor gemeenten - stedelijke ontwikkeling en erfgoed is duidelijk dat het plangebied is gelegen in het "Landelijke kern" en dat sprake moet zijn van een duurzame stedelijke ontwikkeling. Hiervoor geldt dat de ontwikkeling moet passen in regionale afspraken en dat invulling moet worden gegeven aan de doelen op het gebied van energietransitie, klimaatadaptatie en veilige, gezonde woonomgeving.
Uitsnede kaart 3 (IVO) met in rood aangeduid: "stedelijk gebied, landelijke kern"
De beoogde ontwikkeling voorziet in de bouw van 1 woning. Een dergelijke ontwikkeling past binnen het gemeentelijk woningbouwprogramma zoals beschreven in paragraaf 4.3 en is daarmee in het regionaal ruimtelijk overleg afgezet tegen de actuele behoefte.
Met de beoogde ontwikkeling wordt het bestaand stedelijk gebied beter benut waardoor sprake is van zorgvuldig ruimtegebruik. De woonfunctie is passend binnen de omgeving die gedomineerd wordt door woningen. Hierdoor wordt er aangesloten op de bestaande lagen (ondergrond- netwerk- en bovenste laag).
Bevordering ruimtelijke kwaliteit
Voor het plangebied gelden ook de instructieregels aan gemeente die overeenkomen met de zorgplicht voor ruimtelijke kwaliteit: zorgvuldig ruimtegebruik, toepassing van de lagenbenadering en meerwaardecreatie.
In artikel 3.5 uit de omgevingsverordening is beschreven dat voor een goede omgevingskwaliteit en een veilige, gezonde leefomgeving rekening moet worden gehouden met:
Zorgvuldig ruimtegebruik
De waarden in een gebied met toepassing van de lagenbenadering
Meerwaardecreatie
Hierbij ligt het provinciaal belang vooral in het landelijk gebied. Onder zorgvuldig ruimtegebruik wordt verstaan dat de toedeling van functies in beginsel plaatsvindt in bestaand ruimtebeslag zoals het werkingsgebied Stedelijk gebied. De ontwikkeling vindt plaats in een bestaande woonwijk en daarmee het Stedelijk gebied. Er is sprake van zorgvuldig ruimtegebruik door het benutten van gronden in bestaand stedelijk gebied. De lagenbenadering omvat de effecten op de ondergrond (zoals bodem, grondwater en archeologische waarden), de netwerklaag (zoals infrastructuur, natuurnetwerk, energienetwerk, waterwegen en een goede afwikkeling van personen en goederenvervoer) en de bovenste laag (zoals cultuurhistorische en landschappelijke waarden, de omvang van de functies en de bebouwing de effecten op bestaande toekomstige functies en de effecten op volksgezondheid en milieu).
In deze toelichting is beschreven hoe wordt omgegaan met de verschillende effecten op de drie lagen. Hieruit blijkt dat er geen nadelige effecten zijn op de waarden in het gebied met de beoogde ontwikkeling. Hierbij speelt nog dat een bestaand bebouwingspatroon aan de Winkelsestraat wordt aangevuld. Hierdoor moet worden geconcludeerd dat vanuit het verleden gezien het plangebied is gelegen op een plek die van oudsher geschikt werd gevonden om te bewonen. Er is sprake van een toekomstbestendige ontwikkeling. De meerwaardecreatie omvat een evenwichtige benadering van de economische, ecologische en sociale aspecten die in een gebied en bij een ontwikkeling betrokken zijn. Hierbij kan de fysieke verbetering van de landschappelijke kwaliteit deel uitmaken van de meerwaardecreatie. Doordat sprake is van een opvullen van een bebouwingslint en zo het versterken van de zuidelijke dorpsstructuur van het dorp is sprake van een verbetering van de ruimtelijke structuur en ruimtelijke kwaliteit van het gebied en het landelijk gebied.
2.3 Gemeente
2.3.1 Omgevingsvisie Tilburg 2040
Op 21 september 2015 heeft de Raad de Omgevingsvisie Tilburg 2040 vastgesteld. De Omgevingsvisie richt zich op Tilburg als vitale, duurzame stad in een moderne netwerksamenleving. De ontwikkelingen in de economie, de maatschappij en de leefomgeving gaan niet ten koste van elkaar, maar sluiten op elkaar aan en versterken elkaar. People, planet en profit zijn in balans.
People: Het is prettig wonen en werken in Tilburg, een stad met veel verschillende woonbuurten en verschillende soorten werklocaties. De woonmilieus passen bij de leefstijl van de mensen.
Planet: We gaan voor een gezonde en leefbare stad, anticiperen op de effecten van klimaatverandering, zoals hitte, droogte en hogere temperaturen. In het economisch systeem wordt herbruikbaarheid van producten en grondstoffen steeds belangrijker. Verder krijgen groen en water een steeds prominentere rol in de stad. De grote natuurgebieden om de stad zijn met elkaar verbonden. Dat versterkt het ecologisch systeem en de veerkracht van de natuur.
Profit: Om ook in de toekomst sterk genoeg te zijn, wil Tilburg de kracht van BrabantStad benutten. Tilburg is een stad die mensen kansen biedt: op aangenaam werk en op een fijne woon- en leefomgeving.
Om antwoord te geven op de vraag hoe we dit gewenste toekomstbeeld samen met burgers en partners in de stad voor elkaar kunnen krijgen volgt de Omgevingsvisie Tilburg 2040 een strategie met drie sporen:
de Brabantstrategie;
de Regiostrategie;
de Stadsstrategie.
Brabantstrategie: Tilburg kiest voor de kracht van stedelijke samenwerking
Samen met de andere Brabantse steden wil Tilburg de kracht van het stedelijk netwerk BrabantStad versterken. Om de benodigde schaalsprong naar een stedelijk netwerk te kunnen maken, moet Tilburg aantrekkelijk bereikbaar en concurrerend zijn.
Aantrekkelijk: Tilburg wil een aantrekkelijke stad zijn waar mensen graag wonen en werken, en waar het voor bedrijven interessant is om zich te vestigen. Niet alleen moet het aanbod van voorzieningen in de stad zelf aansprekend en hoogwaardig zijn, ook de groene omgeving en religieus en historisch erfgoed zijn belangrijke factoren.
Bereikbaar: goede verbindingen (weg, water, rail én digitaal) met de andere Brabantse steden zijn essentieel voor een sterk stedelijk netwerk.
Concurrerend: En duurzame concurrentiekracht kent in Tilburg twee belangrijke pijlers, namelijk kennis & creativiteit en smart industries. Concreet richt de Brabantstrategie zich op vier stedelijke knooppunten en drie stadsregionale parken.
De vier stedelijke knooppunten:
Binnenstad van de 21e eeuw;
Tilburg University Campus: kennisontwikkeling en -toepassing;
Modern Industrieel Cluster Vossenberg-Loven;
Modern Industrieel Cluster Midden-Brabant.
De drie stadsregionale parken zijn:
Stadsregionaal park Moerenburg - Koningshoeven;
Stadsregionaal park Stadsbos013;
Stadsregionaal park Noord.
De regiostrategie: de kracht van Tilburg als centrumstad
Bij de regiostrategie draait het om Tilburg in haar rol als centrumstad; Tilburg als belangrijke spil in de regio Hart van Brabant. Een goed bereikbare stad, waar bewoners uit de gehele omliggende regio graag komen voor werk, hoogwaardige medische zorg, uitstekend onderwijs, een compleet aanbod van winkels en spannende cultuur. Waar bedrijven hun ambities optimaal kunnen ontplooien. En waar het uitstekend (meerdaags) recreëren is. Een sterke stad kan niet zonder een sterke regio; omgekeerd geldt dat een sterke regio niet zonder een sterke stad kan. De regiostrategie richt zich op drie stedelijke knooppunten en twee regionale ecologische verbindingszones ten westen en oosten van de stad.
De drie stedelijke knooppunten zijn:
Bedrijvenpark Zuid
Zorgcluster Leijpark
Duurzaam energielandschap Noord
De twee ecologische verbindingszones:
Aan de oostzijde bestaat de verbinding uit ecologische stapstenen in het bestaande landschap en agrarisch productiegebied.
Aan de westzijde van de stad bestaat de verbinding uit een fijnmazig netwerk van ecologische verbindingszones langs wegen en waterlopen.
De stadsstrategie: leefbaarheid met oog voor de menselijke maat
De stadsstrategie richt zich op het realiseren van prettig leefbare wijken, dorpen en buitengebied. Hoofdpunten van de stadsstrategie zijn:
Ruimte voor zelf- en samenredzaamheid in wijken en buurten;
Basis op orde: wijken zijn schoon, heel en veilig;
Vitale wijkeconomie: dynamiek en ondernemerschap in de wijk;
Brandpunten in wijken zorgen voor dynamiek, ontmoeting en sociale binding;
Differentiatie in woonmilieus: aansluiten bij de leefstijlen van bewoners;
Cultureel erfgoed: het verhaal van Tilburg centraal;
Groen en water in de stad: toegankelijk en zichtbaar;
Goede bereikbaarheid van wijken en buurten borgen;
Betere verbinding stad en buitengebied: groene inprikkers;
Economische vitaliteit van het landschap behouden en versterken.
Functie van de Omgevingsvisie
De Omgevingsvisie Tilburg 2040 is een koers- en inspiratiedocument. Het is een kompas voor investeringen in het fysieke domein. Een uitnodiging aan de stad om samen te werken aan de ontwikkeling van een stad waar het fijn wonen, werken, leven en recreëren is. De visie biedt burgers en bedrijven ruimte om initiatief te ontplooien en reikt de gemeente handvatten aan om haar strategie af te stemmen op het geschetste toekomstperspectief. De Omgevingsvisie Tilburg 2040 geeft ook richting aan de inzet van de gemeente; in welke onderdelen de gemeente haar geld, tijd en bestuurskracht investeert. En welke prioriteiten daarbij gelden.
De beoogde ontwikkeling is beoordeeld op de eigenheid van de plek. Door te kiezen voor een vrijstaande woning wordt aangesloten op een bij Biezenmortel passende bebouwingstypologie met een lage dichtheid.
De beoogde ontwikkeling voorziet in de bouw van één vrijstaande woning. Ten aanzien van de harde woningcapaciteit ziet de gemeente een bedreiging als ze niet zou worden benut doordat nieuwe bouwprojecten niet van de grond zouden komen en de gemeente hierdoor haar basisverantwoordelijkheid niet verder zou kunnen nakomen. Deze bedreiging wordt met de beoogde ontwikkeling weggenomen.Het planvoornemen betreft een eigen keuze van een particuliere initiatiefnemer. Het stelt deze initiatiefnemer in staat een passende eigen woning te realiseren.
De bouw van één vrijstaande woning heeft een geringe bijdrage aan de bouwstroom. Echter dit bestemmingsplan biedt, binnen de regels een zekere flexibiliteit om een bouwplan te realiseren dat kan anticiperen op trends en ontwikkelingen. Er wordt met dit bestemmingsplan, hoe kleinschalig ook ingezet op flexibilisering van woningbouwplannen.
De beoogde ontwikkeling is niet in strijd met de beleidsuitgangspunten zoals verwoord in de Omgevingsvisie Tilburg 2040.
Hoofdstuk 3 Thematische beleidskaders
3.1 Inleiding
In dit hoofdstuk volgt een beschrijving van de bij het opstellen van dit bestemmingsplan van kracht zijnde beleidskaders ten aanzien van de in relatie tot het plan relevante thema´s. Daar waar nodig, wordt dieper ingegaan op de keuzes die in het plan zijn gemaakt op basis van deze kaders. Aan de onderwerpen Milieu en Water zijn aparte hoofdstukken gewijd.
3.2 Stedenbouwkundige aspecten en welstand
3.2.1 Stedenbouwkundige aspecten
Door de voormalige gemeente Haaren zijn kaders gesteld voor de positionering en beeldkwaliteit van de nieuwe woning. Voor de nieuwe woning is gesteld dat ze is gelegen in een omgeving met woningen die vergelijkbaar zijn met de woningen op een boerenerf. Echter de functionaliteit van een boerenerf is verdwenen.
![i_NL.IMRO.0855.BSP2021002-e001_402007.png [image]](i_NL.IMRO.0855.BSP2021002-e001_402007.png)
Impressie van de bestaande woningen in de straat
De volgende suggesties zijn door de voormalige gemeente Haaren meegegeven ten aanzien van de stedenbouwkundige inpassing en beeldkwaliteit. Geadviseerd wordt om:
de woning in lijn te leggen met de andere woningen aan de Winkelsestraat, iets versprongen t.o.v. de bestaande woning;
een duidelijk horizontale oriëntatie aan te houden, waarbij de langste zijde aan de Winkelsestraat komt te liggen.
bebouwing (inclusief bijgebouwen) minimaal 3 meter vanaf de zijdelingse perceelsgrenzen te positioneren;
diepte van de voorgestelde woning te verminderen t.b.v. de grootte van de achtertuin (circa 10m diep);
eventuele plaatsing van bijgebouwen te gebruiken om een compositie te creëren, gelijkend aan de boerenerven aan de Winkelsestraat;
in architectuur/uitstraling en bouwmassa de bestaande stijl van de woningen aan de Winkelsestraat aan te houden met een goothoogte tot max. 3 meter en in een landelijke stijl.
Dit bestemmingsplan maakt het mogelijk om een bouwplan te maken waarbij gebruik kan worden gemaakt van bovenstaande suggesties. Er is sprake van een ontwikkeling die past binnen de omgeving.
3.2.2 Welstand
Bouwplannen moeten worden getoetst aan ´redelijke eisen van welstand´, zo zegt de Woningwet. Naast het bestemmingsplan is het welstandsbeleid een middel om de ruimtelijke kwaliteit van de publieke omgeving te waarborgen bij de vele bouwplannen die in de stad worden gerealiseerd. Sinds 1 juli 2004 moet iedere gemeente de gehanteerde welstandscriteria vastleggen in een Welstandsnota, die door de raad moet worden vastgesteld. In Tilburg is dat in juni 2004 gebeurd. Nadien is de nota meerdere keren geactualiseerd (2010 en 2012). De afgelopen jaren heeft zich aantal ontwikkelingen voorgedaan waardoor actualisatie van het uitwerkingsdeel van de Welstandsnota noodzakelijk is. Zo zijn de Omgevingsvisie Tilburg 2040 en de structuurvisie Linten in de Oude Stad vastgesteld en zijn er verschillende nieuwe woonwijken gereed gekomen. De nota van 2012 is in navolging daarop aangevuld en bijgewerkt. Voor het overige zijn de kaarten samengevoegd, geactualiseerd en afgestemd op het kaartbeeld van de Omgevingsvisie. Op die manier beschikt de Omgevingscommissie over een actueel toetsingskader voor de beoordeling van (bouw)plannen.
Architectuur, stedenbouw, cultuurhistorie en landschap zijn onlosmakelijk met elkaar verbonden. Onder het motto van de welstandsnota 'aandacht waar dat moet, vrijheid waar dat kan' streeft het stadsbestuur ernaar om op de plekken die er toe doen in te zetten op een hoge ruimtelijke kwaliteit.
Op 15 november 2016 heeft het college van burgemeester en wethouders ingestemd met de actualisatie van de Welstandsnota 2012. De geactualiseerde nota is op 1 januari 2017 in werking getreden.
3.3 Archeologie, cultuurhistorie en monumentenzorg
De Erfgoedwet is per 1 juli 2016 ingegaan. Deze wet bundelt bestaande wet- en regelgeving voor behoud en beheer van het cultureel erfgoed en archeologie in Nederland. Gemeenten hebben een belangrijke rol in het archeologisch stelsel. In bestemmingsplannen houden ze rekening met (te verwachten) archeologische waarden. In een plantoelichting dient een beschrijving te worden opgenomen hoe met de in het gebied aanwezige cultuurhistorische waarden en in de grond aanwezige of te verwachten monumenten rekening is gehouden.
3.3.1 Archeologie
Het is verplicht om in het proces van ruimtelijke ordening tijdig rekening te houden met de mogelijke aanwezigheid van archeologische waarden. Op die manier komt er ruimte voor overweging van archeologievriendelijke alternatieven. Bij ingrepen waarbij de ondergrond ernstig wordt geroerd, moet worden aangetoond dat de eventueel aanwezige archeologische waarden niet worden aangetast.
Het gebied heeft een hoge verwachting voor de aanwezigheid van archeologische waarden en resten. Hoewel het plangebied reeds een bouwvlak kent, is het gezien de hoge verwachtingswaarde in de omgeving niet uitgesloten dat in de bodem van het perceel archeologische waarden kunnen voorkomen. Voor dit bestemmingsplan is de regeling voor 'Waarde Archeologie' conform de Tilburgse standaard opgenomen. De gronden krijgen daartoe de dubbelbestemming Waarde-Archeologie. In de Regels, art. 4 wordt dit uitgewerkt; onder meer in 4.2 Bouwregels, onder a:
Voor het bouwen overeenkomstig de regels voor de andere op deze gronden voorkomende bestemmingen dient de aanvrager van een reguliere bouwvergunning, voor bouwwerken met een oppervlakte groter dan 30 m2 èn waarbinnen de bodem tot ten hoogste 50 centimeter onder maaiveld wordt geroerd en/of ten behoeve van een gebouw of ander bouwwerk wordt gebouwd op een bestaande fundering en er buiten 1 m uit deze fundering geen bodemverstoring plaats vindt, een rapport te overleggen waarin de archeologische waarden van de gronden die blijkens de aanvraag zullen worden verstoord, naar oordeel van burgemeester en wethouders in voldoende mate zijn vastgesteld."
Daarnaast geldt dat het ten alle tijden mogelijk is dat tijdens (overige) werkzaamheden archeologische resten of sporen aangetroffen worden, moet hiervan terstond melding worden gemaakt bij de bevoegde overheid. Als blijkt dat de aangetroffen resten of sporen gedocumenteerd dienen te worden, zal overleg plaatsvinden tussen de initiatiefnemer en de bevoegde overheid waarin besproken wordt welke tijd en ruimte beschikbaar is om op een gedegen manier onderzoek te plegen.
Met het voorliggende plan wordt de dubbelbestemming conform de gemeente Tilburg overgenomen. Bij de aanvraag voor een omgevingsvergunning zal voldaan moeten worden aan de regels uit de dubbelbestemming.
3.3.2 Cultuurhistorie
Binnen of in de nabijheid van het plangebied zijn geen cultuurhistorisch waardevolle elementen of gebouwen aanwezig.
Het aspect "archeologie en cultuurhistorie" is geen belemmering voor de beoogde ontwikkeling als het uiteindelijk bouwplan een bouwvlak heeft van maximaal 100 m2 waarbinnen de bodem tot ten hoogste 50 centimeter onder maaiveld wordt geroerd en/of een gebouw of ander bouwwerk wordt gebouwd op een bestaande fundering en er buiten 1 m uit deze fundering geen bodemverstoring plaats vindt en archeologisch onderzoek heeft uitgewezen dat eventueel in de bodem aanwezige archeologische waarden niet worden verstoord.
3.3.3 Monumentenzorg
Dit aspect is niet aan de orde.
3.4 Volkshuisvesting
De voorgenomen ontwikkeling / bouw van één extra woning aan de Winkelsestraat 21 Biezenmortel verlangt vanwege het beperkte aantal geen toetsing of onderbouwing ingevolge de Ladder voor Duurzame stedelijke ontwikkeling.
Desalniettemin past het plan in de gemeentelijke woningbouwopgave en voldoet het aan de beleidsdoelen-Wonen in de WoonVisie, met name wat betreft het leveren van een bijdrage in de opgave van vrijstaande woningen, in een dorps woonmilieu.
Voor het verdere verloop van de planontwikkeling wordt aanbevolen de woning levensloopbestendig te ontwerpen en te laten voldoen aan het Politiekeurmerk Veilig Wonen.
3.5 Groen en speelruimte
3.5.1 Bomenbeleid Tilburg
Bomen staan steeds meer onder druk van de stad. De verwachting is dat in de loop van de tijd steeds meer bomen of zelfs complete bomenstructuren kunnen uitvallen als gevolg van deze stedelijke druk. Dit beeld is onwenselijk. Bomen dienen juist een toegevoegde waarde aan stedelijke ontwikkelingen te bieden. Om er niet te laat achter te komen dat er teveel bomen op cruciale plekken voor stedelijke ontwikkelingen zijn gesneuveld en om een kwalitatief hoogwaardig bomenbestand te behouden is het noodzakelijk om belangrijke zaken rondom bomen goed te regelen en vast te leggen. Daarom zijn onderstaande documenten vastgesteld:
Bomenverordening 2017
Beoordelingscriteria houtopstanden
Nota 'overige houtopstanden'
Boomwaarde zoneringskaart 2017
Gemeentelijke Lijst Monumentale Bomen
Deze documenten samen vormen het bomenbeleid van de gemeente Tilburg.
Bomenverordening
De Bomenverordening Tilburg 2017 biedt het particuliere en het gemeentelijke bomenbestand bescherming door middel van een velverbod met bijbehorende regels.
Boomwaarde zoneringskaart 2017 (BWZ-kaart)
Deze kaart doet uitspraken over de huidige openbare en particuliere houtopstanden binnen de gemeente Tilburg. Op de BWZ-kaart krijgen bomen een waarde toegekend; zones met houtopstanden met een eco-, hoofd-, neven of basiswaarde en daarnaast is er de Buiten-zone. Voor deze zones zijn criteria opgesteld o.a. met betrekking tot het verlenen van omgevingsvergunningen (bescherming tegen vellen), herplantplicht en straatbeeld.
Het plangebied is gelegen in de voormalige gemeente Haaren en is derhalve niet in de BWZ-kaart opgenomen.
Gemeentelijke Lijst Monumentale Bomen (GLMB)
Het hebben van een GLMB zorgt ervoor dat deze bomen voldoende juridische bescherming hebben via de Bomenverordening Tilburg 2007. Daarnaast krijgen deze bomen de hoogste prioriteit bij beheer en onderhoud.
Wet Natuurbescherming (buiten grens bebouwde kom)
In de gemeente Tilburg heeft de gemeenteraad de bebouwde kom ex artikel 4.1 Wet natuurbescherming (Wnb) vastgesteld. Voor bepaalde groepen houtopstanden die buiten deze komgrens staan, geldt op grond van de Wnb een verplichting. Bij velling in groepen houtopstanden met een grootte van meer dan 10 are of bij velling in een rij van meer dan 20 bomen, geldt een meldplicht aan Gedeputeerde Staten (GS) van de Provincie Noord-Brabant. Daarnaast geldt een herplantplicht. Het college van Gedeputeerde Staten kan een velverbod opleggen. Als er geveld gaat worden, dan is er op grond van de Wnb de eis, dat er ook weer een gelijk aantal houtopstanden terug wordt geplant. Bos dat wordt gekapt, moet worden herplant. Als dat niet op dezelfde plaats kan, dan zal hiervoor ontheffing aan GS moeten worden gevraagd en elders (compensatie op grond van de Wnb) moeten worden herplant. De houtopstanden waarop de Wet natuurbescherming van kracht is, liggen in de zogenaamde Buiten-zone. Daar kan daarnaast ook een gemeentelijk velverbod op grond van de Bomenverordening gelden. Beide regelingen kunnen dus naast elkaar van toepassing zijn.
Maatregelen in bestemmingsplan
Odanks dat het plangebied geen onderdeel uitmaakt van de BWZ-kaart, dient de kaart als basis gebruikt te worden bij alle nieuwbouw-, herontwikkelings- of herstructureringsplannen waar bestaande houtopstanden mee gemoeid zijn. In het bestemmingsplan wordt de BWZ-kaart aangeduid als Boomwaardekaart (bijlage bij de regels). Bomen met een eco- en hoofdwaarde en monumentale bomen zijn op deze bijlagekaart opgenomen. In de regels wordt verwezen naar deze kaart.
De juridisch-planologische bescherming bestaat uit een bouwverbod en een omgevingsvergunningplicht voor het uitvoeren van werken, geen bouwwerken zijnde, en werkzaamheden binnen een straal van 15 meter uit het hart van de desbetreffende boom.
3.5.2 Nota Groen
De Nota Groen, vastgesteld door de gemeenteraad op 19 april 2010, vormt de herziening van de Groenstructuurplannen uit 1992 en 1998. Tilburg wil zich in de toekomst blijven profileren als een groene stad waar het goed wonen en werken is. Tilburg moet in 2020 een stad zijn waar zowel haar inwoners, bezoekers als bedrijven een aantrekkelijk groene woon- en werkomgeving hebben en waar de recreatieve omgeving wordt ervaren als een kwaliteit van de gemeente. Tilburg streeft er dan ook naar een kwalitatief hoogwaardige groenstructuur duurzaam te ontwikkelen en deze veilig te stellen binnen de stedelijke context. Om dit te bereiken wil het gemeentebestuur de Tilburgers letterlijk en figuurlijk dichter bij groen brengen. Op hoofdlijnen betekent dit:
Inzet op buitenstedelijke groengebieden en het groene netwerk;
het tot zijn recht laten komen van de verschillende karakters van het groen (klassiek-, recreatief- en natuurlijk groen);
het versterken en behouden van het natuurlijk groen.
In 2012 is het bijbehorende Uitvoeringsprogramma Groen en Biodiversiteit vastgesteld.
3.5.3 Nota biodiversiteit
Biodiversiteit omvat de totale verscheidenheid van alle levende planten en dieren op aarde. De biodiversiteit neemt wereldwijd af. Het doel van de nota is de biodiversiteit in de gemeente Tilburg te verhogen en beter te beschermen.
De visie is gericht op twee niveaus. Het eerste niveau is de flora & fauna, het tweede niveau is gericht op de mensen. Voor de flora en fauna wordt ingestoken op drie strategieën, namelijk vergroten, verbinden en versterken. Voor de realisatie van duurzame habitatnetwerken zal vaak gekozen worden voor een combinatie van deze strategieën. In de eerste plaats is dat het vergroten van leefgebieden. In de tweede plaats kan een duurzaam netwerk ontstaan door gelijksoortige leefgebieden met elkaar te verbinden. Tenslotte kan ingezet worden op het verbeteren van de kwaliteit van leefgebieden.
Voor de mensen is natuurbeleving vooral ook van belang in de stad. Door middel van de groene lijnen en de groene gebieden in de stad, kunnen we dicht bij huis ook genieten van de natuur. Als de groene lijnen en groene gebieden helemaal op orde zijn kunnen de planten en dieren tot in de tuin of op het balkon waargenomen worden.
In de nota worden vijf verschillende landschapstypen onderscheiden (agrarisch landschap, beekdallandschap, heide- en boslandschap, landgoederenzone en stedelijk gebied). Per landschapstype wordt een algemene beschrijving gegeven met bijbehorende doelstellingen, maatregelen en knelpunten.
Doelstellingen nota biodiversiteit
De achteruitgang van de biodiversiteit stoppen vanaf 2010, voor het buitengebied én het bebouwde gebied.
In het voorjaar van 2010 is met een nulmeting bepaald aan de hand van de flora en faunagegevens die voor handen zijn. Hierna kan jaarlijks de verandering in de biodiversiteit worden bijgehouden.
Biodiversiteit 'tot aan de voordeur'.
Biodiversiteit verhogen in het openbaar gebied waardoor het letterlijk tot aan de voordeur/ de voortuin van de bewoners van Tilburg komt.
In 2020 zijn 50% van alle aangeplante bomen en struiken binnen de bebouwde kom ten gunste van de biodiversiteit.
Zo veel mogelijk gebruik maken van autochtoon plantmateriaal met een aanvulling van soorten die een bijdrage leveren aan biodiversiteit door middel van bv. nestgelegenheid, voedsel en/of schuilgelegenheid.
In 2016 is aanvullend op bovenstaand groenbeleid de 'agenda groen in de stad' vastgesteld (college 19-07-2016). De 'agenda groen in de stad' gaat samen met het 'beheerbeleidsplan Groen op Niveau' en de nota's groen en biodiversiteit (en het hieruit voortvloeiende uitvoeringsprogramma groen en biodiversiteit) over de toekomst van groen in de stad in inhoudelijke- en financiële zin. Er wordt aangegeven welke kaders gehanteerd worden om de impuls voor groen in de stad, conform het collegeakkoord en de omgevingsvisie Tilburg 2040, goed in te zetten. Uitgangspunt is het 'kleine en het grotere groen, voldoende bereikbaar voor iedereen'. Belangrijk hierbij zijn beleving van groen, klimaatadaptatie en biodiversiteit.
Essentieel is de kaart Stadsnatuur 2040. Op deze kaart staan de ecologische structuren en zones, stapstenen en ecologische corridors in de stad. Deze zijn nodig om de biodiversiteit in de stad te versterken en op het juiste niveau te krijgen (voor biodiversiteit ligt de nadruk op het realiseren van ontbrekende schakels, het toepassen van biodiverser groen en ecologisch beheer).
3.5.4 Nota Ruimte voor Buitenspelen
Naar aanleiding van de ambities uit de Kadernota Jeugd en de behoefte aan algemene voorwaarden ten aanzien van richtlijnen voor de aanleg van speelplekken is de nota Ruimte voor Buitenspelen (2003) opgesteld. Doel van de nota is dat de jeugd als volwaardige medegebruikers van de openbare ruimte wordt geaccepteerd. Spelen is noodzakelijk voor de ontwikkeling van een kind. De nota geeft o.a. een analyse van de formele speelruimte in Tilburg weer. Algemene voorwaarden ten aanzien van speelruimte (veiligheid, bereikbaarheid, spreiding, ruimtegebruik, inrichting) en programmering van de spelenplannen en inrichtingseisen van speelruimte komen aan de orde. Een minimumnorm voor formele speelruimte wordt gesteld om voldoende speelruimte te kunnen garanderen. Hierbij wordt een onderscheid gemaakt tussen transformatiegebieden (> 50 woningen), nieuwbouw en bestaande bouw.
Transformatiegebieden
Er worden twee stappen doorlopen:
per hectare uitgegeven gebied wordt 300m2 van de ruimte gereserveerd voor formele speelruimte;
de huidige grondoppervlakte aan formele speelruimte per kind bedraagt voor Tilburg 7,2 m2. Naar aanleiding van het aantal kinderen woonachtig in het transformatiegebied wordt bepaald hoeveel formele speelruimte er in een wijk/buurt gerealiseerd dient te zijn.
Nieuwbouw
Bij nieuwbouwgebieden wordt uitgegaan van stap 1. De inrichting van de formele speelplekken wordt gedaan aan de hand van de actieradius voor speelplekken. In de toekomst zal dit wordt gedaan naar aanleiding van gegevens vanuit het woningbouwprogramma waarmee een schatting gemaakt zal kunnen worden van het aantal kinderen dat in de nieuwbouwwijk komt te wonen (dit wordt in het kader van de uitvoering van de nota Ruimte voor Buitenspelen uitgewerkt).
Bestaande stad
Voor de bestaande stad wordt uitgegaan van een standstill-situatie. Dit betekent dat het bestaande oppervlak voor buitenspelen niet (verder) mag afnemen.
Bij nieuwe stedenbouwkundige plannen dient reeds bij de nota van uitgangspunten (programma van eisen) de speelruimtenormering - zoals hierboven beschreven - te worden meegenomen. Dit geldt zowel voor gemeentelijke als particuliere plannen. Op deze manier worden formele speelplekken al vroegtijdig in het ontwerpproces meegenomen.
Het voorliggende bestemmingsplan maakt de realisatie van één extra wonig aan de Winkelsestraat 21 in Biezenmortel mogelijk waarvan het perceel in eigendom van de initiatiefnemer is. Het bestaande oppervlak voor buitenspelen neemt hierdoor niet af. De beoogde ontwikkeling is daarmee niet in strijd met de Nota Ruimte voor Buitenspelen.
3.6 Verkeer en parkeren
3.6.1 Mobiliteitsaanpak Tilburg
De 'Mobiliteitsaanpak Tilburg, Samen op weg naar 2040' schetst een toekomst waarin slim en duurzaam vervoer centraal staat. Dat betekent: nieuwe technologieën toepassen, maar ook de gebruiker centraal stellen. Niet als doel op zich, maar om bij te dragen aan een leefbare stad. Daarnaast zet Tilburg in op duurzaamheid: we houden nadrukkelijk rekening met toekomstige generaties.
De gemeentelijke mobiliteitsaanpak is het vervolg op het Tilburgs Verkeers- en Vervoersplan (TVVP). Dat ging vooral over verkeersstromen en vervoermiddelen. In de nieuwe werkwijze vormt de mens het uitgangspunt: wat hebben inwoners, bezoekers en bedrijven nodig om van A naar B te komen? Met deze aanpak wil de gemeente niet alleen verkeersstromen in goede banen leiden, maar ook de kwaliteit van leven in de stad behouden en verbeteren.
Mobiliteitsagenda 013
De hoofdlijnen uit de mobiliteitsaanpak zijn nu uitgewerkt in een agenda met concrete maatregelen en opgaven voor de korte, middellange en lange termijn. In een aantal Tilburgse proeftuinen wordt samen met onderwijs, bedrijfsleven en uiteraard de gebruikers gewerkt aan innovaties op het gebied van slimme mobiliteit. Deze MobiliteitsAgenda013 wordt jaarlijks geactualiseerd in september.
3.6.2 Hoofdlijnennotitie Parkeren 2016
Het gemeentelijk parkeerbeleid is vastgelegd in de Hoofdlijnennotitie Parkeren. Deze is april 2016 door de gemeenteraad vastgesteld. Wij richten ons als stad op gastvrijheid voor de bezoeker, een betere leefkwaliteit voor bewoners en economische vitaliteit van de binnenstad. Wij willen de beschikbare parkeercapaciteit optimaal benutten. Daar hoort bij dat wij parkeerders op de juiste plek faciliteren, ook voor specifieke voorzieningen zoals deelauto’s, elektrische auto’s en andere doelgroepen. Het beter benutten van bestaande parkeercapaciteit van garages en terreinen leidt tot minder zoekverkeer en blik in de woonstraten en biedt kansen voor versterking van ruimtelijke kwaliteit en nieuw groen. De vastgestelde kaders voor het parkeervraagstuk bij bouwontwikkelingen zijn:
Voor het inschatten van de parkeerbehoefte bij nieuwe ontwikkelingen de CROW-richtlijn te hanteren;
In de toepassing van parkeernormen meer vrijstellingen te hanteren, zonder daarbij de (directe) omgeving van de ontwikkeling te belasten met (toekomstige) parkeeroverlast;
Het PPS-gebied in de Spoorzone aan te wijzen als een gebiedsontwikkeling die in zijn eigen parkeerbehoefte moet voorzien, waarbij alleen op (tijdelijke) piekmomenten de parkeercapaciteit in de directe omgeving een uitwijkmogelijkheid is, met name voor bezoekers;
Het basisprincipe te blijven hanteren dat een nieuwe ontwikkeling de parkeerbehoefte op eigen terrein oplost, maar wel de mogelijkheid te bieden af te wijken van deze verplichting zolang daar met voldoende zekerheid geen parkeeroverlast voor de omgeving uit volgt;
Indien wordt afgeweken van het basisprincipe daarvoor het instrument van een afkoopregeling in te zetten, waarmee de afkoopsom de gemeente de gelegenheid geeft om zo nodig maatregelen te treffen om (toekomstige) parkeeroverlast in de omgeving te voorkomen.
3.6.3 nota 'Parkeernormen Tilburg 2017'
In de nota 'Parkeernormen Tilburg 2017' zijn de parkeernormen en berekeningsmethode vastgelegd.
Bij het hanteren van de parkeernormen wordt uitgegaan van een minimaal te realiseren aantal parkeerplaatsen. Deze parkeereis dient bij een bouwplan waarvoor een omgevingsvergunning vereist is, minimaal te worden gerealiseerd. De hoofdfunctie is bepalend voor de toe te passen parkeernorm. Het CROW kent voor een range aan functies een parkeernorm. Om de parkeernormen overzichtelijk te houden, is ervoor gekozen om de belangrijkste functies die in gemeente voor komen, op te nemen.
Bij de berekening van de parkeerbehoefte wordt rekening gehouden met zaken als dubbelgebruik, regeling 'oud voor nieuw', rekenregels parkeervoorzieningen bij woningen en het beïnvloeden van de parkeerbehoefte door maatregelen als regulering en mobiliteitsplannen bij bedrijven.
Voor kleine bouwontwikkelingen wordt geen parkeereis gesteld. Kleine ontwikkelingen (ontwikkelingen met een (toename van de) parkeerbehoefte van maximaal 3 parkeerplaatsen) hebben in de regel een marginaal effect op een toename van de parkeerdruk in de omgeving. Dit geldt ongeacht de locatie van de ontwikkeling. De gemeente Tilburg hanteert de normen uit de publicatie CROW, kencijfers parkeren en verkeersgeneratie. Deze publicatie is uitgangspunt voor het parkeerbeleid binnen de gemeente en is gehanteerd bij het samenstellen van de parkeerbalans.
Parkeerbehoefte
Voor de beoogde ontwikkeling speelt ook de vraag wat de nieuwe functies aan parkeerbehoefte met zich meebrengen en op welke wijze deze parkeervraag kan worden ingepast. Uitgangspunt daarbij is dat deze ruimtebehoefte in principe op het eigen terrein, dus niet in de openbare ruimte wordt opgevangen.
Met behulp van de rekentool van het CROW is bepaald dat de locatie is gelegen in de zone "rest bebouwde kom" en dat de stedelijkheidsgraad voor Haaren is bepaald op "niet stedelijk".
Berekening benodigd aantal parkeerplaatsen
De rekentool berekent een benodigd aantal parkeerplaatsen voor één woning van minimaal 2 en maximaal 3 parkeerplaatsen. Op het perceel is voldoende ruimte beschikbaar om in de aanleg van deze parkeerplaatsen te voorzien. Hiermee wordt voldaan aan de gestelde parkeernorm. Bij de aanvraag voor een omgevingsvergunning zal getoetst worden of voldoende parkeergelegenheid op eigen terrein wordt ingepast. Het voldoen aan de actuele parkeernormen is voorwaarde voor het verlenen van een omgevingsvergunning.
Ontsluiting
De woning wordt direct ontsloten op de Winkelsestraat. Het perceel kent reeds een bestaande toerit gelegen tussen de bestaande houtwal. Deze zal worden gebruikt voor de ontsluiting van het terrein. Met behulp van de rekentool, parkeren en verkeersgeneratie van het CROW is de verkeersgeneratie berekend. De verkeersgeneratie van de beoogde ontwikkeling bedraagt 8 motorvoertuigbewegingen per weekdagetmaal. Dit aantal is gering in verhouding tot de bestaande motorvoertuigbewegingen op de bestaande omliggende wegen. Geconcludeerd worden dat de capaciteit van de omliggende wegen voldoende is om de verkeersgeneratie van 1 vrijstaande woning op te kunnen vangen.
Het aspect "parkeren" en "ontsluiting" is geen belemmering voor de voorgenomen ontwikkeling.
Hoofdstuk 4 Milieuaspecten
4.1 Inleiding
Er bestaat een duidelijke relatie tussen milieubeleid, landschap en ruimtelijke ordening. Bij iedere ruimtelijke ontwikkeling dient inzichtelijk gemaakt te worden of er vanuit milieuhygiënisch oogpunt belemmeringen en/of beperkingen aanwezig zijn voor de beoogde ontwikkeling. De milieukwaliteit vormt dan ook een belangrijke afweging bij de ontwikkeling van ruimtelijke functies. In dit hoofdstuk wordt nader ingegaan op de milieuhygiënische en overige planologische aspecten. Indien noodzakelijk is aanvullend onderzoek uitgevoerd.
De eventuele onderzoeksrapportages zijn separate bijlagen bij de toelichting. In deze toelichting zijn de samenvattingen en conclusies opgenomen.
4.2 Milieueffectrapportage
4.2.1 Algemeen
Nagegaan is of voor dit bestemmingsplan een Milieueffectenrapport of een m.e.r. beoordeling opgesteld moet worden. voor ruimtelijke plannen dient een m.e.r.(beoordeling) te worden opgesteld indien:
er sprake is van een m.e.r.-(beoordelings)plichtige activiteit op grond van de bijlagen bij het Besluit m.e.r.;
voor het plan een passende beoordeling op grond van de Natuurbeschermingswet (Nbw) is vereist.
ad. a.
In de bijlage bij het Besluit mer is opgenomen welke activiteiten mer-plichtig zijn (de C-lijst) en welke activiteiten mer-beoordelingsplichtig zijn (de D-lijst). De activiteiten die dit bestemmingsplan mogelijk maakt zijn op grond van de bijlagen bij het Besluit niet m.e.r. (beoordelings)plichtig.
Bij de vraag of er sprake is van een stedelijk ontwikkelingsproject in de zin van het Besluit mer, worden de concrete omstandigheden afgewogen, waarbij onder meer aspecten als de aard en omvang van de voorziene wijziging van de stedelijke ontwikkeling een rol spelen (zie o.a. uitspraak RvS ECLI:NL:RVS:2019:1879). Gelet hierop wordt de bouw van 1 woning niet aangemerkt als een stedelijk ontwikkelingsproject. Het gebruik van het perceel door de toevoeging van 1 woning verandert niet. Ook het ruimtebeslag van de voorziene bebouwing is te beperkt om aangemerkt te worden als een stedelijk ontwikkelingsproject als bedoeld in kolom 1 van categorie 11.2 van onderdeel D van de bijlage bij het Besluit milieueffectrapportage.
ad b.
Binnen het plangebied zijn geen Natura2000 of NNN-gebieden aanwezig. De voorgenomen ontwikkeling heeft derhalve geen directe effect op de Natura2000- of NNN-gebieden. Het dichtstbijzijnde Natura 2000-gebied betreft Loonse- en Drunense Duinen & Leemkuilen op minder dan 800 meter afstand van het plangebied. Gezien deze afstand en de zeer beperkte externe invloed van de geplande ontwikkeling kunnen negatieve effecten op dit Natura 2000-gebied op voorhand redelijkerwijs worden uitgesloten.
Geconcludeerd wordt dat er geen verplichting is tot het opstellen van een MER of een m.e.r.-beoordeling voor deze ontwikkeling.
4.3 Milieuhinder bedrijven
UEsDBBQAAAAIAAAAAADpgbKCngEAABQHAAATAAAAW0NvbnRlbnRfVHlwZXNdLnhtbK2VzVKDMBSF1zrjOzDZOhB04ThO0YU/S3VRHyCEC03N3ySptm/vDa0dpwOU1u6Ak++cQ8gdJg9LJZMvcF4YXZCrLCcJaG4qoZuCfExf0luS+MB0xaTRUJAVePJwf3E+ma4s+ARp7QsyC8HeUer5DBTzmbGgUamNUyzgrWuoZfyTNUCv8/yGcqMD6JCG6EHQ7WzyBDVbyJA8L1FZl3EgPUke12tjXEGYtVJwFlCnX7raCUo3IRmS7Ro/E9Zf4gJC+0Ki2J8xiM4tNDusUPEdW2EAO4Yqle2klmlUerFG1J1YfN4LWd3dMD7vhYKou6NaYQg7gvpW3dQyjUovBr0YDGGl0IedQ1PXgkNl+EIhkhkJb+UceNhEvOG8OVFB8s5ceGUKDem3cRXdEsOncn9idLPOcPAeB1nJbKsoJvSfieiqgmvfnbEex9TB4VV+hzDSKZaw4IIAPzYU3f/9+hC/XQXV+Ph2+31YSfCn3/y175gGtTEBXJ7nV6dvsfYe00IvVAkOqdOX2FqP2w1MZaU84hDu34yN9bbHhLZ/NLz6AVBLAwQUAAAACAAAAAAAS/Tfke0AAABnAgAACwAAAF9yZWxzLy5yZWxzrZLNSgMxEIDPCr5DmHs32woisrEXEXoTqQ8wJLO7oZsfklHbt3cQKVa07MHcMj/ffBnSrfdhUm9Uqk/RwLJpQVG0yfk4GHjZPi5uQVXG6HBKkQwcqML6/uqye6YJWZrq6HNVQonVwMic77SudqSAtUmZomT6VAKyXMugM9odDqRXbXujy3cGCPXiBKs2zkDZuFbOEtT2kGnOiNT33tJDsq+BIv8y6UeFkLEMxAbeU3HafYUbwYI+K7WaL/X3u3UgRoeM2qZCi1yku7CXPR+9ROlJwvWzYobX9X8ui/ZM0ZE7b4Y5H8U6ffI5JPIBUEsDBBQAAAAIAAAAAACMLGv4vgAAACkBAAAQAAAAZG9jUHJvcHMvYXBwLnhtbJ2PwYoCMRBEzwr+Q8jdZCIoIjPKguxVD6N4k5D0aGCmE5JW9O9tEXb3vMeiike9evMYenGHXELERhpVSQHoog94aeSh/Z4upShk0ds+IjTyCUVu1pNxvc8xQaYARTACSyOvRGmldXFXGGxRXCM3XcyDJY75omPXBQfb6G4DIOlZVS00PAjQg5+mH6D8EFd3+i/UR/f+V47tMzGP/47qr5T64Cyx6Lo9nbe7kzBzZZQxRs2rWa3/DlhQ/xpyfAFQSwMEFAAAAAgAAAAAAHLHdaPjAAAAiQEAABEAAABkb2NQcm9wcy9jb3JlLnhtbG2QTUvEMBCGzwr+h5J7O62CSGl3b54UBBW8hslsN9h8kBnt7r83WzQK7i2T95mH5B22BzdXn5TYBj+qrmlVRR6DsX4a1evLfX2nKhbtjZ6Dp1EdidV2c3U5YOwxJHpKIVISS1xlk+ce46j2IrEHYNyT09xkwudwF5LTksc0QdT4rieC67a9BUeijRYNJ2Edi1F9Kw0WZfxI8yowCDSTIy8MXdPBLyuUHJ9dWJM/pLNyjHQW/QkLfWBbwGVZmuVmRfP7O3h7fHhev1pbf+oKSeWGLgaDvViZaTNAOebm4F91+fYLUEsDBBQAAAAIAAAAAAD1WDeK6wAAAMkCAAAcAAAAd29yZC9fcmVscy9kb2N1bWVudC54bWwucmVsc62SzUoEMRCEzwq+Q+i7k1nRVWTiXkTYq4wPkM30/OCkE5Jecd7ehpX9AZE5TG5VIVVfOqk2335UX5jyEMjAqihBIbnQDNQZ+Kjfbp9AZbbU2DEQGpgww+bl5rp6x9GyHMr9ELOSFMoGeub4rHV2PXqbixCRZKcNyVsWmTodrfu0Heq7slzrdJ4Bknp1Eau2jYG0bUpZ96DqKeKcitC2g8PX4PYeif9o0pmnUe6haps6ZAMHXUgO6H8pHpakaENgTCeKg5aW1QyS9ZIktPc7TPLkJ5ijNYPlcdmpENd2N+L5YH6tI0ulL76fOD9QSwMEFAAAAAgAAAAAAAX26zhIAwAAdgcAABEAAAB3b3JkL2RvY3VtZW50LnhtbNVVzW7jNhA+t0DfgWAvuwf/ru04RrSLJE6AHrpbNO2p6GEkjSTaJEcgaanxG+1z7It1KP8pKVCkx/piDjnzzfcNZ6ibT38ZLRp0XpFN5GQ4lgJtRrmyZSJ//+1xsJTCB7A5aLKYyGf08tPHH76/aVc5ZTuDNgiGsH7VJrIKoV6NRj6r0IAfUo2WzwpyBgKbrhy15PLaUYbecwajR9PxeDEyoKw8wri3wFBRqAzXRwIHEIcaAqvwlar9Ca2t3wKXO2h7dF6SXB8OT4hNInfOro5oA6MyR56KMMjIrBqjT370b34H/se/M9fJ+A0xkZzkC/iObyCl/Dku47ruFt3qF3dYd8ZTeNYo2lUDOpF/fI6q9Z9ydPFoVU7tPdngSJ/8yPY93Bmwsx7Z17Mn+EypRN6DVqlTkneqW+tf7iD4cOsVXDZHPaiMNLlTzh/H3e+Fg9+fTqeXg5tRj1I0zoIju/8H7ejVDc7K15DxXNUOPboG5cc7tRGot8LtlAmo1WYrUvR6p4LYgxbohK8dbFEYwoBW7NXGigasQDZKwhx7oSi4XdBy/w7FmhFSDtnGmc0hiBIbYq8SRbGzWVDoxbs9geYq8azb9+zAkMSvg+Z6cL6SzQrTFA8JlRWcjAzjcAIBYFvcRzg+D4QlxocDOWfu1KZBOxS30IXwc4IOxRZs6FQIoi0nMxRUg+jyg6ZIMYrBrArHjGmEjNEX0NcsrMKojGcIIBdtJ1/kxBcWxZwqGbGjzd679lwIQekGs4PSrvAGYBuG4ouJ/pW61F75jg8nZqEcXMbUcefb129fbaxf3Hj3Cvh9fGlzFetfMUvwdcwmjdJMY881d91DExUCix6K2DPh0uiH5ula/r+N/dMurcFB6QCKOPyvpyblCzDgtk8BXOAolSdyHAfBguHmXH64Xi4ms8fBeracD2aT6XRwN7u/HSwe5nePD/P11cNieurzHtqDzc9Yo39S9yy+x6EgCuh+xYJbw2aRe3iuOXmOBex0kMJ1UO6nPM7bvJevLp/iwPEHaDK5Hl93I83rxfLD7IXXzxCnNhB/EyazWafPqbIKFzOlEMhcbI1F77RC4L5N5NW0Mw+EEzlfXPXkXVRF6/hCx+Xpc8nm31BLAwQUAAAACAAAAAAApggXceoAAACYAgAAEgAAAHdvcmQvZm9udFRhYmxlLnhtbL2RQUvEMBCFzwr+h5C7m+weREqziwh79KDrD5i2020gmZRMaOy/N7tr8aIHEb294eO9N8zUuzfvxISRbSAj1ystBVIbOktHI18P+9t7KTgBdeACoZEzstxtb67rXPWBEoviJ66ykUNKY6UUtwN64FUYkQrrQ/SQyhiPKofYjTG0yFzivVMbre+UB0uyJF59RIpcEfhS9RAtuDM5oXaAyHiiEzgjtZZqQT146+aFcLbMn3C0qR0WNkHJbBxecK0ujV+VH6xHFk+YxXPwQD9fI55tv13jZfZN+P4Im79tfwRnm2j/6QeL5KLfAVBLAwQUAAAACAAAAAAAsMnl3IACAABVDAAAEwAAAHdvcmQvZm9vdGVyMDAwMS54bWzlV11v0zAUfQaJ/2CZF0BscZJ+Rsumsm57QINpFPEAPLjJTWPh2JHttdt+PXba9GOoYN5ATR5yHZ97cs/Jja2cnN1XHM1BaSZFisNjghGITOZMzFL8eXJ5NMBIGypyyqWAFD+AxmenL56fLJLCKGSzhU4WKS6NqZMg0FkJFdXHsgZh5wqpKmrsUM2ChVR5rWQGWlvyigcRIb2gokzgFY3yoZFFwTIYy+yuAmGWJAo4NVaALlmtW7ZF7UOXK7rYKme3yPFysmWcp/hOiWTFdlSxTEktC3OUySqZV7zFyd/hlvWvLutaQ+KR44rD1vtn1vzaXZvgRjVhE38yDxzQIplTnuKvH5xO/h0Ha4ChU70crEYtlkNhsB3UUqeYtBlPQJk1HNQa1umS/h6kYrNywzck0XAfJQe6YQzDuOMFjKLewAsYd0jkBex0454XsNvr7/VnB9gbED8x/WHsJ2ZI+n5iQhIRPzXOcT85YdTp++kJ4x7xExRaSk9F3UF/regk2O5km6bab6AZXEphtE2kOmMsxeeUs6lijqocCb17B6g2I83o5uZWNZnkUrX1vCTNsT2vH9vJcMdtXea/qCgYdyTj2J3bQtraXdx+y07Fvyhuu97mdbnlK9E1zezOUCvQoOaAT9/LCr1j8AiiksoARxEJB29RCKgE9chA2DUVvfrCxA/gGrRRlBoUha+b97o2409WbAqMyF8WuGoh70f9py3lEguen5fUPXIVTR5q68UUZnbfDQ7BASZsh03gfk8voJvR1QX69gaNFJ2yzEXXF7dXF5cfb69HE+TY1gyHYNeehtFQU0UNHEbP7OmVeHDo6waI/GkHNBuX+yMIml8CG/0EUEsDBBQAAAAIAAAAAADllKbCEgMAAG8fAAASAAAAd29yZC9udW1iZXJpbmcueG1s7VntatswFP3dwd4heOzn/J2PhXqlDAKBso21ewDFlhsxWTKSkjT7uZfaY+0VJjmx45g2UW3jtWATiHTv1ZF8fK9yFF9ePSR4sIaMI0oCwzFtYwBJSCNE7gPjx93sw8QYcAFIBDAlMDC2kBtXn96+udxMySpZQCYDBxKD8OkmMJZCpFPL4uESJoCbNIVE+mLKEiBkl91bG8qilNEQci5HJthybXtkJQARQ6JeSFiw4IKBUHxZJYOj3jwKDDuLUmHJCgt0A9cQ321TKCPXAAdGZsXKalh5JF5j6UbyqxivzPKumMjHOfvwi919zZLCE8EQJQCX/HwVx7lXgEXJI6e4gw/F0PeOWXKm39iurTqIRDIKw1gEhjeSpG+mS0DuM9ZV3zqEyin4vrfv5vhyoWpgSnllkFUepXr53KotF/kYM04LzKS3YouLZ/E15TRJVH44pmt6Zi0KXS0KR5MKhX4NChXIeQoVACuvg80oEVzNjohQrMRAJqFCBTxEKDA+A4wWDGULvCb82AIBF9ccgYOxtO5imTSOy3b0hF2WCvoJn3CGFFOW+97Z2VX2Sw6QkLtAHnLk5L9ys3tkXxVEyt3haMAyyl0hhoCpe40RVlPPsqt4rNaBzxPp6XZauJ5W1jl2Ne3qVG6G0qh0vU658fW48f02uPH9htz4nXIz1ONmYrfBzcRuyM2wU25GWty4Thu/hhlKI25GnXIz1uNm6LbBzdBtyM24U24metxM2tiLM5RG3Ew65eajnsB029iLM5RncaOaJf2uo++dXt+/YH3ftmwft7GfjZtuZ8+Xlqs0hew7TQDROPzMzbn6zOudf3SVaJXJOgegDKU/Ab3QE1Cv8nuV36v8XuX3Kr9X+a9c5btnVL56NYDhTZsyH9MNZDdQCMg0NBswF2ZYT7Bpngmqz6qOXvO0HlUv1zqRazXKwOu+DBYrjKHQqAAViESdCvj7+8+rr4DbbbKguFQAB8Mh//e2F57+jvsf059kaU+q/+0c1UFl/QqIPA7gngZwzgJ4pwHcswD+aQCvCrBv7V6Ty/4/UEsDBBQAAAAIAAAAAACc5j8fGwQAAAYqAAAPAAAAd29yZC9zdHlsZXMueG1s7Vpdb9owFH3epP0HlD2PhECBobKpW1UNaVqntXua9mASh3g4dmY7sO7Xz07zBcTFTRm0KqgP9r3Xh/iec28Th9P3fyLcWkDGESVjq9N2rBYkHvURmY2t79cXb4ZWiwtAfIApgWPrBnLr/btXL0+XIy5uMOQtCUD4aDm2QiHikW1zL4QR4G0aQyJ9AWUREHLKZvaSMj9m1IOcS/wI267j9O0IIGJJyBcS06feOQxAggVXFmViX1lmSi2Z6XacTi4oEby1HAHuITS2zhgC2LLLAP5XOhcAjy23l9tP7RIlG1e+RFnWrkTiYCAgEVfpru3MluZAwoubWCYnBgzMGIhDq5W5Jv7Y+vFFpQD/VEb/FlJm2sr3R0AE8wssQu3CC/8Ivff3RZrdYh7niZFjAaa8TIKc5TAYBkJdS0y5vI5Ot1dNli7OdftDk7huz3FN4non3b5J3El/4JjE9YeO0T4Gb7tG+3jrDIz20XFcx2gjKtFGO+m4vYHRVjrdvmO0l44ENNvMyXDQr5ZIqSGl9Rh4smxl8BTKqpZ6d9RKEAjIsjFGqke4vWLyLcHSABJBC9jlCBFfueU3Z8sYmoX5OECMi88pjlNZ88tbuWK7qNxc8tW2oO0Kch6eEV6dQ8DFGUdgrXFIiCJHNAiqV19v5oKhOaz3eRRTlrvWklHbnaQ59HO7hyFgt6nBq+srXUwN045zn8Z0Tr0kkj3tZ30zKt1Fg5kCDv1LYtivagAadawiA1tUeg89fAQYTRmqKKJiKTWRG+tUQXQMv3bSTy3JZde7k+TXF+lnRzxfU4iRFwpZvRqqVyIasl2PcSjCH8iTOzwAT+cQYl0tpq6mdbi6+NnXoHsAbj9RGvhcJHMNwRV/Q5brEO6ieg5h/EUClLmIwQx+YBDMP6T/4O1npYqDVPzXWzMINKqo+Buqog7hvzaA+ltFeft7/5u2PUthT5xfJdN4C+2rIQ2Z14Acyd/SBw6kCW4kC74jZWhwDiCOk8FRGwbaMJbHDhVyCJHsQwWPm+/LBWRI96CWOxvyurH8+HhmTMxlzGkUqebVabvtbruWoI2gZkTpYe4ijCRR9WQc4QXOATvV8z8ZN/E3PConFYRddfzqaV9/mJ7xhYDM0hcM5ZHosy/7kvFJe6L+JtsEVsY9VGM1SA1l5mpl5u5RZupQ/qizbToD7Wnb2yayLOihCluHaSgvRyuv7h7l1e0d1bVVXdMEYyS2qCsLeqi61mF2rq7eUV2PQV1X6Q8RAPNbAs55vbjWY5ppS4tyfPbZI8EtL2EcwcCE6CJ2J4Rvoj154sv31k/n6CP7BY72nVjmbfgwvLn++DRszs2EhDTx+WU8AwuoYWgtpiFPOpQnX5KPu/hW0n6NhPbddF3gLqheh3ryfD+iMi/Gavf/AFBLAQIUABQAAAAIAAAAAADpgbKCngEAABQHAAATAAAAAAAAAAAAIAAAAAAAAABbQ29udGVudF9UeXBlc10ueG1sUEsBAhQAFAAAAAgAAAAAAEv035HtAAAAZwIAAAsAAAAAAAAAAAAgAAAAzwEAAF9yZWxzLy5yZWxzUEsBAhQAFAAAAAgAAAAAAIwsa/i+AAAAKQEAABAAAAAAAAAAAAAgAAAA5QIAAGRvY1Byb3BzL2FwcC54bWxQSwECFAAUAAAACAAAAAAAcsd1o+MAAACJAQAAEQAAAAAAAAAAACAAAADRAwAAZG9jUHJvcHMvY29yZS54bWxQSwECFAAUAAAACAAAAAAA9Vg3iusAAADJAgAAHAAAAAAAAAAAACAAAADjBAAAd29yZC9fcmVscy9kb2N1bWVudC54bWwucmVsc1BLAQIUABQAAAAIAAAAAAAF9us4SAMAAHYHAAARAAAAAAAAAAAAIAAAAAgGAAB3b3JkL2RvY3VtZW50LnhtbFBLAQIUABQAAAAIAAAAAACmCBdx6gAAAJgCAAASAAAAAAAAAAAAIAAAAH8JAAB3b3JkL2ZvbnRUYWJsZS54bWxQSwECFAAUAAAACAAAAAAAsMnl3IACAABVDAAAEwAAAAAAAAAAACAAAACZCgAAd29yZC9mb290ZXIwMDAxLnhtbFBLAQIUABQAAAAIAAAAAADllKbCEgMAAG8fAAASAAAAAAAAAAAAIAAAAEoNAAB3b3JkL251bWJlcmluZy54bWxQSwECFAAUAAAACAAAAAAAnOY/HxsEAAAGKgAADwAAAAAAAAAAACAAAACMEAAAd29yZC9zdHlsZXMueG1sUEsFBgAAAAAKAAoAfgIAANQUAAAAAA==
4.3.1 Bedrijvigheid en richtafstanden
Op basis van milieuzonering wordt bepaald welke categorieën bedrijfsvestigingen en/of inrichtingen mogelijk kunnen worden gemaakt. Dit houdt in dat er een voldoende ruimtelijke scheiding aanwezig dient te zijn tussen milieubelastende bedrijven en/of inrichtingen en woongebieden of woningen. Hoe zwaarder de toegestane milieucategorie, hoe groter de afstand.
Zonering of functiemenging
Bij het bepalen van deze afstand wordt gebruik gemaakt van de VNG - brochure 'Bedrijven en milieuzonering', editie 2009 (VNG-brochure). In deze brochure worden onder meer richtafstanden aangegeven tot de omgevingstypen rustige woonwijk en gemengd gebied. Bij een gemengd gebied geldt dat de in de brochure genoemde richtafstand met één stap kan worden verlaagd. Ook beschrijft de brochure gebieden waarbinnen functiemenging juist gewenst is bijvoorbeeld in stadscentra. Voor dit soort gebieden kent de brochure de systematiek van functiemenging. De projectlocatie is niet gelegen in een rustige woonwijk. Een beoordeling op basis van inpasbaarheid ten aanzien van bedrijven in de omgeving is nodig.
Zonering
In de nabijheid van het de projectlocatie zijn geen bedrijven of bedrijfsactiviteiten aanwezig. Het plangebied is gelegen in een woongebied. In zuidoostelijke richting, in het buitengebied, liggen enkele agrarische bedrijven. Deze zijn gelegen aan de Winkelsestraat 17 en 19. Voor het perceel op nummer 17 is de specifieke functieaanduiding 'intensieve veehouderij' opgenomen. Voor beide percelen is tevens de gebiedsaanduiding 'boomteeltontwikkelingsgebied' opgenomen. Voor deze locaties (SBI 0146) heeft de VNG brochure een algemene toelaatbaarheid van bedrijfsactiviteiten bepaald. De maatgevende afstandseis voor deze bedrijven is geur. Dit aspect wordt hieronder nader beschouwd. De veehouderij aan de Winkelsestraat 17 heeft onlangs haar activiteiten beëindigd. Overige bedrijven en bijbehorende milieuaspecten vormen geen belemmeringen voor het plan.
4.3.2 Geurhinder agrarische bedrijvigheid
De wetgeving rondom geur heeft tot doel het beschermen van mens en milieu tegen de negatieve effecten van geurbelasting door het opnemen van geurnormen en vaste afstanden. Hierbij is het mogelijk dat de gemeenteraad afwijkende normen vaststelt in een gemeentelijke geurverordening. Met deze opgenomen normen moet rekeningen gehouden worden bij beslissingen in het kader van de Wet algemene bepalingen omgevingsrecht (Wabo). Indirect heeft de Wet geurhinder en veehouderij (Wgv) ook consequenties voor de totstandkoming van geurgevoelige objecten en dus voor de ruimtelijke ordening, dit wordt de omgekeerde werking genoemd. Voor wat betreft geurhinder van veehouderijen betekent dit dat de volgende aspecten in ogenschouw moeten worden genomen:
Wordt er een onevenredige inbreuk gedaan op de mogelijkheden voor bedrijfsontwikkeling van de nabijgelegen veehouderijen;
Is ter plaatse een aanvaardbaar woon- en leefklimaat gegarandeerd.
Het plangebied is gelegen in een bestaande woonwijk van de kern Biezenmortel. In de omgeving van het plangebied liggen enkele veehouderijen. Voor veehouderijen geldt volgens SBI 0146 een minimale afstandsvereiste van 200 meter. Aan deze afstand kan niet worden voldaan (de feitelijke afstand bedraagt ca. 150 meter). De volgende afbeelding is een uitsnede van de geurkaart van de gemeente Haaren. Uit de uitsnede van de geurkaart blijkt dat sprake is van een aanvaardbaar woon- en verblijfsklimaat ten aanzien van de achtergrondbelasting. Uit de kaart is ook op te maken dat ook sprake is van een aanvaardbaar woon- en verblijfsklimaat ten aanzien van de voorgrondbelasting en dat de veehouderij niet haar belang wordt geschaad. Geur vormt geen belemmering voor het plan.
Afbeelding uitsnede geurkaart gemeente Haaren, bron: Geurvisie gemeente Haaren (2018)
4.3.3 Spuitzones open teelten
In het kader van een goede ruimtelijke ordening moet een afweging worden gemaakt tussen het gebruik van gewasbeschermingsmiddelen en de volksgezondheid. Op grond van deze afweging kan het noodzakelijk zijn en om een spuitvrije zone aan te houden. Welke afstand (minimaal) aangehouden moet worden, is niet in een wettelijke regeling voorgeschreven. Uit jurisprudentie blijkt dat de Raad van State een afstand van 50 meter, tussen gevoelige functies en agrarische bedrijvigheid waarbij gewasbeschermingsmiddelen worden gebruikt, in het algemeen niet onredelijk vindt. Volgens vaste rechtspraak kan een kortere afstand ook aanvaardbaar zijn, mits hieraan een goede locatiespecifieke onderbouwing ten grondslag ligt. Daarnaast kan het zijn dat gepaste maatregelen genomen moeten worden om de drift te voorkomen (bronmaatregelen zoals driftarme spuitdoppen) of overdrachtsmaatregelen zoals bijvoorbeeld een dichte haag.
Zuidelijk van het plangebied in westelijke richting (achter de woningen aan de Spankerstraat) bevinden zich akkergronden van een bomenkweker (Winkelsestraat 19). Op het deel van deze akkergronden dat dat het dichtst op het plangebied is gelegen vindt echter geen teelt van gewassen plaats maar is een weide en een zandpad gelegen. De teelt van bomen vindt plaats op een afstand van meer dan 50 meter van het plangebied. Er wordt dus voldaan aan de afstandsmaat van 50 meter waardoor geconcludeerd kan worden dat sprake is van een goed woon- en leefklimaat. Bovendien zijn reeds bestaande woningen (oostelijk van de akker) op een kleinere afstand tot de akker gelegen.
Foto van de bestaande akker aan de Winkelsestraat 19 met zandpad en weide gezien vanuit de Winkelsestraat
Omdat de bomenkweker reeds rekening moet houden met het bestaande woonperceel aan Winkelsestraat 21 wordt met de bestemming van de nieuwe woning de belangen van de kweker niet geschaad.
Direct zuidelijk van het plangebied aan de overzijde van de weg gelegen zijn in het vigerend bestemmingsplan aangeduid als gewasbeschermingsgebied. Echter, boomteelt vindt pas plaats op een afstand van meer dan 50 meter van het plangebied. Er is sprake van een goed woon- en leefklimaat.
Foto van de bestaande akker aan de overzijde van de weg
Ook in dit geval geldt dat voor het deel van de gronden dan dichter dan 50 meter op het plangebied is gelegen, en waar op dit moment dus geen teelt plaatsvindt, reeds rekening moet worden gehouden met de bestaande woonpercelen ten oosten en westen van het plangebied. Hierdoor worden met de bestemming van de nieuwe woning de belangen van de kweker niet geschaad. De volgende afbeelding geeft de ligging van de teeltgronden weer.
![i_NL.IMRO.0855.BSP2021002-e001_402011.png [image]](i_NL.IMRO.0855.BSP2021002-e001_402011.png)
Afstand van de bestaande teelt tot het plangebied. Bron: ruimtelijkeplannen.nl
Het aspect "milieuzonering, geur en spuitzones" is geen belemmering voor de beoogde ontwikkeling.
4.4 Externe veiligheid
4.4.1 Inleiding
Externe veiligheid heeft betrekking op de risico's die mensen lopen als gevolg van mogelijke ongelukken met gevaarlijke stoffen bij bedrijven, transportroutes (wegen, spoorwegen en waterwegen) en buisleidingen. Omdat de gevolgen van een ongeluk met gevaarlijke stoffen groot kunnen zijn, zijn de aanvaardbare risico's vastgelegd in diverse besluiten. De belangrijkste zijn:
Besluit externe veiligheid inrichtingen (Bevi);
Besluit externe veiligheid transportroutes (Bevt);
Besluit externe veiligheid buisleidingen (Bevb).
Binnen de beleidskaders voor deze drie typen risicobronnen staan altijd twee kernbegrippen centraal: het plaatsgebonden risico en het groepsrisico. Hoewel beide begrippen onderlinge samenhang vertonen zijn er belangrijke verschillen. Hieronder worden beide begrippen verder uitgewerkt.
Risiconormering
In het beoordelingskader voor externe veiligheid staan twee kernbegrippen centraal: het plaatsgebonden risico en het groepsrisico:
Plaatsgebonden risico (PR)
Het plaatsgebonden risico geeft de kans, op een bepaalde plaats, om te overlijden ten gevolge van een ongeval bij een risicovolle activiteit. Het PR kan op de kaart van het gebied worden weergeven met zogeheten risicocontouren: lijnen die punten verbinden met eenzelfde PR. Binnen de 10-6 contour (welke als wettelijk harde norm fungeert) mogen geen kwetsbare objecten geprojecteerd worden. Voor beperkt kwetsbare objecten geldt de 10-6 contour niet als grenswaarde, maar als een richtwaarde.
Groepsrisico (GR)
Het groepsrisico is een maat voor de kans dat bij een ongeval een groep slachtoffers valt met een bepaalde omvang (10 personen of meer). Het GR wordt bepaald binnen het invloedsgebied van een risicovolle activiteit en kent geen vaste norm, maar een oriëntatiewaarde (= '1'). Voor het groepsrisico geldt een verantwoordingsplicht. Dit houdt in dat iedere wijziging met betrekking tot planologische keuzes moet worden onderbouwd én verantwoord door het bevoegd gezag.
4.4.2 Verantwoordingsplicht
Met het invullen van de verantwoordingsplicht wordt antwoord gegeven op de vraag in hoeverre externe veiligheidsrisico's in het plangebied worden geaccepteerd en welke maatregelen getroffen zijn om het risico zoveel mogelijk te beperken. Het invullen van de verantwoordingsplicht is een taak van het bevoegd gezag (veelal de gemeente). Door de verantwoordingsplicht worden gemeenten gedwongen het externe veiligheidsaspect mee te laten wegen bij het maken van ruimtelijke keuzes. Deze verantwoording is kwalitatief en bevat verschillende onderdelen die aan bod kunnen of moeten komen. Ook bestaat er een adviesplicht voor de regionale brandweer. In de Handreiking verantwoordingsplicht groepsrisico zijn de onderdelen van de verantwoording nader uitgewerkt en toegelicht.
Wanneer verantwoorden?
![i_NL.IMRO.0855.BSP2021002-e001_402012.png [image]](i_NL.IMRO.0855.BSP2021002-e001_402012.png)
Door het uitwerken van de verantwoordingsplicht neemt het bevoegd gezag de verantwoordelijkheid voor het 'restrisico' dat overblijft nadat benodigde de veiligheidsverhogende maatregelen genomen zijn.
Overige wet- en regelgeving
Tot slot wordt in het kader van een "goede ruimtelijke ordening" (artikel 3.1 Wro) getoetst aan eventueel van toepassing zijnde veiligheidsafstanden uit het activiteitenbesluit en effectafstanden uit de "Circulaire effectafstanden LPG-tankstations".
4.4.3 Beleidsvisie externe veiligheid
In de gemeentelijke beleidsvisie externe veiligheid heeft de gemeente Tilburg planologische kaders beschreven, onder andere voor de zones rondom het spoor. Voor deze zogenaamde ‘transportasgebieden’ zijn de meest relevante gebiedskenmerken in relatie tot het spoor:
Kwetsbare objecten zijn onder voorwaarden mogelijk;
Combinatie met gemengd of intensief gebied is mogelijk;
Niet geschikt voor bijzonder kwetsbare functies/objecten;
Beheersbaarheid spoor op orde.
In de beleidsvisie, daterende uit 2010, is de visie op externe veiligheid voor de gemeente Tilburg in kaart gebracht. Het plangebied is gelegen in de voormalige gemeente Haaren, dat sinds 1 januari 2021 onderdeel uitmaakt van de gemeente Tilburg. Hierdoor is de beoogde ontwikkeling beschouwd aan de hand van het Werkdocument Verantwoording Groepsrisico Haaren.
Werkdocument Verantwoording Groepsrisico Haaren
De gemeente Haaren heeft met het Werkdocument Verantwoording Groepsrisico Haaren beschreven hoe de gemeente omgaat met externe veiligheidsvraagstukken binnen haar gemeente. Dit werkdocument dient aanvullend op de landelijke wetgeving betrokken te worden bij de beoordeling van de externe veiligheidsrisico's.
4.4.4 Inventarisatie
Met behulp van de risicokaart is beschouwd of risicobronnen in de omgeving van het plangebied een risico vormen voor de voorgenomen ontwikkeling. In navolgend figuur is een uitsnede weergegeven van de risicokaart.
![i_NL.IMRO.0855.BSP2021002-e001_402013.png [image]](i_NL.IMRO.0855.BSP2021002-e001_402013.png)
Uitsnede risicokaart met in groen de locatie van de nieuwe woning. Bron: Risicokaart
Uit de risicokaart blijkt, dat er één inrichting met externe veiligheidsrisico's in de omgeving van het plangebied is gelegen. Deze heeft echter geen risicocontour over het plangebied liggen. Er zijn geen buisleidingen, wegen en vaarwegen aanwezig, waarover of waardoor gevaarlijke stoffen worden vervoerd, in de omgeving met een risicocontour (veiligheidscontour, PR-10-6 contour en/of invloedsgebied) over het plangebied. Wel is het plangebied gelegen in de nabijheid, op circa 650 meter van de spoorlijn 's-Hertogenbosch - Tilburg.
Over het spoordeel vindt momenteel 'incidenteel' transport van gevaarlijke stoffen plaats. Echter met de realisatie van het programma hoogfrequent spoor (PHS) zal het transport van gevaarlijke stoffen over dit spoordeel aanzienlijk toenemen. In een externe veiligheidsonderzoek voor het PHS (Meterenboog)1 is aangegeven, welke categorie gevaarlijke stoffen over dit spoordeel zullen worden vervoerd. Hieruit blijkt dat de bepalende stof voor het invloedsgebied groepsrisico toxisch gas is (stofcategorie B3, invloedsgebied 995 meter). Het plangebied is hier geheel binnen gelegen.
Over de spoorlijn worden onder andere stoffen vervoerd van stofcategorie GT4. Deze stofcategorie heeft conform de HART een invloedsgebied van >4000 meter. Het plangebied ligt dan ook volledig binnen het invloedsgebied van de spoorlijn. De overige stofcategorieën, welke vervoerd worden over de spoorlijn zijn niet relevant, omdat het invloedsgebied hiervan niet over het plangebied ligt.
Conform het Bevt dient voor een plan binnen het invloedsgebied van een transportroute een verantwoording van het groepsrisico uitgevoerd te worden. Aangezien het plan niet binnen 200 meter van de transportroute ligt, kan volstaan worden met beperkte verantwoording (artikel 8, lid 1 en artikel 7, Bevt).
Werkdocument Verantwoording Groepsrisico Haaren
Het plangebied valt binnen de zone 3 (200 - 1500 meter) van de zonering voor spoorlijnen, welke benoemd zijn in het 'Werkdocument verantwoording groepsrisico Haaren'. Deze zone heeft de volgende kenmerken:
Vanaf 200 meter zijn mensen binnenshuis in principe voldoende veilig voor een BLEVE.
Vanaf 200 meter wordt daarom alleen nog rekening gehouden met de effecten van een toxische gaswolk. In dit gebied kan bescherming wordt geboden door ramen en deuren te sluiten.
Voor de zone dient een type verantwoording niveau 3a afgelegd te worden. Verantwoordingsniveau 3a is het lichtste verantwoordingsniveau en bestaat uit een standaard verantwoordingstekst.
![i_NL.IMRO.0855.BSP2021002-e001_402014.png [image]](i_NL.IMRO.0855.BSP2021002-e001_402014.png)
Standaard verantwoording groepsrisico niveau 3a uit werkdocument
Verantwoording groepsrisico
Conform artikel 8, lid 1 en artikel 7 van het Bevt is, vanwege de ligging van het plangebied binnen het (toxisch) invloedsgebied groepsrisico van de spoorlijn 's-Hertogenbosch - Tilburg een beperkte verantwoording van het groepsrisico benodigd. Hierbij is de Veiligheidsregio conform artikel 9 van het Bevt om advies gevraagd. Het advies is verwerkt in de verantwoording.
Mogelijkheden bestrijdbaarheid van een calamiteit
In geval van een calamiteit zal de brandweer ingezet worden aan de bron ter beperking van de effecten van de calamiteit. Het bestrijdbaarheidsvraagstuk in relatie tot de ontwikkeling op deze grote afstand van de risicobron wordt daarom niet verder beschouwd.
Zelfredzaamheid
Zelfredzaamheid is het zichzelf kunnen onttrekken aan een dreigend gevaar, zonder daadwerkelijke hulp van hulpverleningsdiensten. Het zelfredzame vermogen van personen is een belangrijke voorwaarde om grote calamiteiten bij een incident te voorkomen. De mogelijkheden voor zelfredzaamheid bestaan globaal uit schuilen en ontvluchting en zijn afhankelijk van het maatgevende scenario.
Mogelijkheden zelfredzaamheid
De mogelijkheden t.a.v. zelfredzaamheid zijn goed. Er zijn geen aanwijzingen dat een grotere groep niet -of verminderd zelfredzame mensen in het plangebied woonachtig (zullen) zijn. De aanwezigen zijn naar verwachting voldoende mobiel om zelfstandig te kunnen vluchten. Het aantal mensen in het plangebied is beperkt.
Is het gebied voldoende ingericht om de zelfredzaamheid te kunnen faciliteren?
Behalve de vraag of zelfredding mogelijk is, zijn de fysieke eigenschappen van gebouwen en omgeving van invloed op de vraag of die zelfredding optimaal kan plaatsvinden. Vanuit de hierboven geschetste mogelijkheden is het dus van belang dat het plangebied:
goed te alarmeren is;
In geval van een calamiteit kan NL-alert worden ingezet. NL-Alert is een alarmmiddel van de overheid voor de mobiele telefoon. Met NL-Alert kan de overheid mensen in de directe omgeving van een noodsituatie met een tekstbericht informeren. In het bericht staat specifiek wat er aan de hand is en wat je op dat moment het beste kunt doen.
goed te ontvluchten is.
Bij een toxisch rampscenario is ontvluchten van het plangebied niet aan te raden. Schuilen binnen de bebouwing is bij dit scenario de beste optie.
goed te schuilen is.
Blootstelling aan een toxisch gas is voor het plangebied het bepalende scenario. In geval van een calamiteit dienen personen te schuilen binnen de bebouwing. De mate waarin deze bebouwing afsluitbaar is tegen de indringing van toxisch gas en de tijdsduur, dat deze bebouwing wordt blootgesteld aan het toxische gas, zijn hierbij maatgevende parameters voor het beschermingsniveau.
Nieuwe bouwwerken zijn, mede vanwege de eisen uit het bouwbesluit, goed geïsoleerd, waardoor ze een goede bescherming bieden tegen het binnendringen van het toxisch gas. Belangrijk is wel dat installatie voor de luchtbehandeling van het gebouw, waarbinnen geschuild wordt, met één druk op de knop uit te schakelen zijn.
4.4.5 Conclusie
De beoogde ontwikkeling voldoet aan de grenswaarde voor het plaatsgebonden risico. Het plangebied ligt binnen het (toxisch) invloedsgebied groepsrisico voor het transport van gevaarlijke stoffen over de spoorlijn 's Hertogenbosch- Tiilburg. Het groepsrisico is beperkt verantwoord en wordt aanvaardbaar geacht. De volgende overwegingen spelen daarbij een rol:
de zeer beperkte gevolgen van een ramp -met een toxische vloeistof op het spoor- binnen het plangebied, vanwege de grote afstand van het plangebied tot de risicobron;
de goede mogelijkheden binnen het plangebied voor de zelfredzaamheid van personen.
Het plan voldoet aan de voorwaarden uit het 'werkdocument verantwoording groepsrisico Haaren'.
4.5 Geluid
Bij een nieuwe ruimtelijke ontwikkeling waarbij sprake is van de realisatie van een geluidgevoelig object, maar ook van een wijziging van bouwmogelijkheden nabij geluidbronnen, moet worden getoetst aan de Wet geluidhinder. In de Wet geluidhinder is bepaald hoe voor een gebied waar een ruimtelijke ontwikkeling plaatsvindt dient te worden omgegaan met geluidhinder als gevolg van wegverkeer, vliegtuigverkeer, industrie en spoorwegen.
In de Wgh is geregeld dat bepaalde wegen, spoorwegen en bedrijven(terreinen) een zone hebben. Bij een ruimtelijke ontwikkeling waarbij sprake is van de ontwikkeling van geluidgevoelige objecten binnen een geluidszone, dient een onderzoek te worden uitgevoerd naar de geluidsbelasting op deze gebouwen of terreinen.
De Wet geluidhinder beschermt de volgende objecten:
Woningen;
Andere geluidsgevoelige gebouwen;
Geluidsgevoelige terreinen.
Omdat door met de beoogde ontwikkeling een nieuw geluidsgevoelig object wordt toegevoegd is aandacht nodig voor het aspect geluid;
Normen met betrekking tot verkeerslawaai worden thans in Nederland gebaseerd op de "regels op het gebied van het voorkomen of beperken van geluidhinder" (Wet geluidhinder). Krachtens deze wet worden zones aangegeven aan weerszijden van (spoor)wegen. Binnen de zones wordt geëist, dat de geluidsbelasting ten gevolge van het verkeer op de betreffende weg ter plaatse van de gevels van woningen of andere geluidsgevoelige bestemmingen een zekere maximale waarde niet overschrijdt. Buiten de zones worden geen geluidseisen gesteld met betrekking tot wegverkeerslawaai.
De beoogde woning ligt niet binnen de richtafstand voor geluid van bedrijven in de omgeving. Ook ligt de woning niet binnen de geluidzone van een weg. Er is geen geluidonderzoek nodig om aan te tonen dat in de woning en in de tuin sprake is van een aanvaardbaar woon- en leefklimaat. Een minimale geluidwering van 20 dB is voldoende om in de woning een aanvaardbaar woon- en leefklimaat te behalen van 33 dB. Het gecumuleerde geluidniveau ter hoogte van de planlocatie is niet hoger dan 53 dB. Dit vanwege de geringe verkeersintensiteiten op de Winkelsestraat en de grote afstand tussen de planlocatie en Capucijnenstraat. Omdat de tuin aan de achtergevel is gelegen en het geluid in de tuin wordt afgeschermd door de eigen woning is in de tuin ook sprake van een aanvaardbaar woon- en leefklimaat.
4.5.1 Railverkeerlawaai
Dit aspect is niet aan de orde.
4.5.2 Industrielawaai
Dit aspect is niet aan de orde.
4.5.3 Luchtvaartlawaai
Dit aspect is niet aan de orde.
Het aspect "Geluid" is na ontheffing van de belasting als gevolg van spoorweglawaai geen belemmering voor de beoogde ontwikkeling.
4.6 Lucht
Op 15 november 2007 is de Wet Luchtkwaliteit in werking getreden. De luchtkwaliteitseisen zijn opgenomen in hoofdstuk 5 titel 2 van de Wet milieubeheer (Wm). In artikel 5.16 Wm staat een limitatieve opsomming van de bevoegdheden waarbij luchtkwaliteitseisen een directe rol spelen. Het gaat om ruimtelijke besluiten en milieuvergunningen die direct gevolgen voor de luchtkwaliteit hebben en daardoor kunnen bijdragen aan overschrijding van een grenswaarde.
Een vaststelling van een bestemmingsplan betreft de uitvoering van een bevoegdheid als bedoeld in artikel 5.16 van de Wm. Vaststelling van een bestemminsplan is mogelijk als:
De concentratie stoffen in de lucht door de voorgenomen ontwikkeling verbetert of gelijk blijft;
Bij beperkte toename van de concentratie, door een met de activiteit samenhangende maatregel of optredend effect, de luchtkwaliteit per saldo verbeterd;
De toename, niet in betekenende mate (NIBM) bijdraagt. Dit is het geval als een project of activiteit maximaal 3% van de jaargemiddelde grenswaarde bijdraagt aan de concentraties PM10 of NO2 (max1,2 µg/m3).
Toetsing initiatief aan "niet in betekenende mate" begrip
Projecten die "niet in betekenende mate" bijdragen aan een verslechtering van de luchtkwaliteit hoeven volgens de Wet luchtkwaliteit niet afzonderlijk te worden getoetst op de grenswaarde, tenzij een dreigende overschrijding van één of meerdere grenswaarden te verwachten is. De grens van "niet in betekenende mate" ligt volgens de gelijknamige AMvB bij 3% van de grenswaarde van een stof. Hiervan is volgens de ministeriële regeling van "niet in betekenende mate" sprake bij de realisatie van minder dan 1500 woningen op één ontsluitingsweg of minder dan 3000 woningen op twee ontsluitingswegen.
Dit bestemmingsplan betreft het bestemmen van één extra woning. Deze ontwikkeling is daarmee een ontwikkeling die kleiner is dan 1500 woningen met één ontsluitingsweg. De ontwikkeling zal dan ook 'niet in betekenende mate' bijdragen aan een verslechtering van de luchtkwaliteit. Nader onderzoek is daarom niet noodzakelijk.
Toetsing initiatief aan "goede ruimtelijke ordening"
Naast de toetsing of het bouwplan een bijdrage levert aan de luchtkwaliteit dient beoordeeld te worden of sprake is van een goed woon-, en leefklimaat en daarmee of sprake is van een goede ruimtelijke ordening. De GGD geeft op lokaal niveau advies over luchtkwaliteit in relatie tot gezondheid en ruimtelijke ordening. Juist bij gevoelige bestemmingen nabij drukke wegen is het wenselijk dat de gemeente om advies vraagt aan de GGD. Het plangebied is niet gelegen in de nabijheid van en drukke weg.
Toch is inzicht gezocht in de luchtkwaliteit. Dit is onderzocht door middel van de actuele kaartgegevens met betrekking tot de aspecten stikstofdioxide, fijnstof, zeer fijnstof en roet (nsl-monitoring.nl). Hieruit blijkt dat nabij de Biezenmortelsestraat ruimschoots wordt voldaan aan de grenswaarden (stikstofdioxide: 40 µg/m3 en fijn stof: 40 µg/m3). Voor stikstofdioxide en PM10 is de achtergrondwaarde gelegen tussen 0 en 35 µg/m3 en voor zeer fijn stof (PM2,5) is de waarde gelegen lager 20 µg/m3. Ter plaatse van een het plangebied sprake is van een goede luchtkwaliteit.
Uitsnede kaart actuele fijnstof in Nederland (PM10) met in rood het plangebied; bron: nsl-viewer
Het aspect "Luchtkwaliteit" is geen belemmering voor de beoogde ontwikkeling.
4.7 Geur
Ten aanzien van eventuele gezondheidsrisico's in relatie tot veehouderijen in de nabijheid van het plangebied is een aantal aspecten van belang. In het bijzonder gaat het om eventuele risico's als gevolg van industriële geurhinder en agrarische geurhinder (varkens-, en pluimveehouderijen en geitenhouderijen).
4.7.1 Industriële geurhinder
Dit aspect is niet aan de orde.
4.7.2 Agrarische geurhinder
Varkens-, en pluimveehouderijen (endotoxinen)
Een veehouderij in de omgeving van een woning kan effecten hebben op de gezondheid. Omwonenden van veehouderijbedrijven worden blootgesteld aan bepaalde micro-organismen en endotoxinen. Zowel micro-organismen en endotoxinen kunnen effecten op de gezondheid hebben. Het gaat dan vooral om effecten op de luchtwegen.
Op basis van de "Notitie endotoxine toetsingskader 1.0" kan worden beoordeeld of sprake is van een verhoogd volksgezondheidsrisico ten aanzien van varkenshouderijen en pluimveehouderijen. In de nabijheid van het plangebied zijn geen varkens-, en/of pluimveehouderijen aanwezig. Daarnaast is het plangebied buiten de richtafstanden gelegen die aangehouden moet worden rondom de varkens- en pluimveehouderijen. Er is geen sprake van een verhoogd volksgezondheidsrisico.
Geitenhouderijen
Mogelijk is er een verband tussen het langdurig verblijven in de nabijheid van een geitenhouderij en het krijgen van longontsteking. In de periode 2009-2013 is het onderzoek Veehouderij en Gezondheid Omwonenden (VGO) uitgevoerd. De resultaten van het onderzoek zijn op 7 juli 2016 gepubliceerd (hoofdrapport VGO). Gegevens van 110.278 patiënten, die ingeschreven stonden bij 27 huisartspraktijken in het VGO-onderzoeksgebied, zijn hiervoor geanalyseerd. Op 16 juni 2017 is een aanvullend VGO-rapport gepubliceerd. In het aanvullend VGO-onderzoek (VGO-2) zijn de onderzoeksgegevens statistisch uitvoeriger geanalyseerd. Onder andere is onderzocht of er in de jaren 2009-2013 een verband bestond tussen de woonafstand tot geitenhouderijen en het risico op longontsteking. Gemiddeld over deze onderzoeksjaren laten de aanvullende analyses een 29% verhoogde kans op longontsteking zien voor mensen die rondom een individuele geitenhouderij wonen, tot een afstand van 1,5 - 2 km (dit is vergeleken met bewoners zonder een geitenhouderij binnen deze afstand van de woning). Uit het onderzoek volgt dat het risico op longontsteking rond een geitenhouderij bijna drie keer groter is dan het risico op longontsteking tot een afstand van ca. 1 km rond een pluimveehouderij. De oorzaak van deze verhoogde kans op longontstekingen rondom geitenhouderijen kan door de onderzoekers niet worden aangegeven. Het gevolg is dat het nemen van effectieve bedrijfsgerichte maatregelen nu nog niet mogelijk is.
Binnen 2 km van het plangebied ligt op een afstand van ongeveer 1.540 meter een geitenhouderij aan de Biezenmortelsestraat 34 (2.100 geiten). Daarnaast ligt op een afstand van ongeveer 1.560 meter een geitenhouderij aan Mortel 4 (69 geiten). De gemeente Haaren moet een zorgvuldige afweging maken of er sprake is van een aanvaardbaar volksgezondheidsrisico. Op basis van de "Handreiking veehouderij en volksgezondheid" kan een dergelijke afweging worden gedaan. De Handreiking bevat een praktisch stappenplan waarin de afweging wordt gemaakt of de gemeente zelf de beoordeling uitvoert, of dat een GGD-advies noodzakelijk wordt geacht. Uit toetsing aan het stappenplan volgt dat geen advies van de GGD nodig is voor dit plan. Er wordt voldaan aan de normen voor geur, fijn stof. Daarnaast worden geen bijzondere gevoelige personen gehuisvest.
Handreiking veehouderij en volksgezondheid
De Handreiking veehouderij en volksgezondheid 2.0 (versie 30 april 2018) bevat een praktisch stappenplan om te beoordelen of er sprake is van een verhoogd gezondheidsrisico en of nadere advisering vanuit de GGD wenselijk is. De stappen kunnen stuk voor stuk worden doorlopen om na te gaan of er knelpunten worden gevonden.
Stap 1 Endotoxine
Op basis van het 'Endotoxine toetsingskader 1.0' kan worden beoordeeld of sprake is van een verhoogd volksgezondheidsrisico ten aanzien van varkenshouderijen en pluimveehouderijen. De concentratie endotoxine in het plangebied voldoet aan de adviesnorm van 30 EU/m3. Er is geen sprake van een verhoogd volksgezondheidsrisico.
Stap 2 Emissies
De ontwikkeling betreft één nieuwe woning en leidt niet tot een toename van emissies van geur en/of fijnstof en/of ammoniak.
Stap 3a Geur, toetsen aan aanvaardbaar woon-/leefklimaat a.d.h.v. wettelijk kader
De ontwikkeling vindt niet plaats in een gebied met een overbelaste geursituatie zoals beschreven in paragraaf 5.6 van de toelichting.
Stap 3b Geur, toetsen aan aanvaardbaar woon-/ leefklimaat
Er is sprake van een aanvaardbaar woon- en leefklimaat als gevolg van de geursituatie in het gebied zoals beschreven in paragraaf 5.6 van de toelichting.
Stap 4a Meerdere diersoorten in één veehouderij
Er zijn geen bedrijven met meer dan één diersoort als bedoelt in de opsomming van stap 4a.
Stap 4b De afstand tussen een varkensbedrijf en pluimveebedrijf
De afstand tussen het plangebied en de dichtstbijzijnde varkensbedrijf en pluimveebedrijf is groter dan 100 meter.
Stap 5a, b en c De afstanden tot geitenhouderijen, pluimveehouderijen en overige veehouderijen
Binnen een straal van 2 kilometer bevindt zich een geitenhouderij. Binnen een straal van 1 kilometer bevindt zich een pluimveehouderijen. Het plangebied is gelegen in de bebouwde kom. Er dient een afweging te worden gemaakt of sprake is van een goed woon- en leefklimaat.
Stap 6 Mestbewerking
Er is in de nabijheid geen mestbewerking of verwerking.
Stap 7 Ongerustheid over de volksgezondheid
Er is in de omgeving geen ongerustheid over de volksgezondheid bij omwonenden.
Uit het stappenplan blijkt dat bij stap 5a, b en c niet voldaan kan worden. Er dient te worden afgewogen of sprake is van een goed woon- en leefklimaat. Omdat het plangebied gelegen is buiten de richtafstanden van het Endotoxine toetsingskader 1.0 die aangehouden moeten worden voor pluimveebedrijven kan worden geconcludeerd dat sprake is van een goed woon- en leefklimaat. Er zijn geen risico's voor de volksgezondheid.
Er zijn geen risico's voor de volksgezondheid.
4.8 Bodem
In het belang van de bescherming van het milieu zijn, ten einde de bodem te beschermen, regels gesteld in de Wet bodembescherming (Wbb). De wet is van toepassing op bestemmingsplannen die nieuwe ruimtelijke ontwikkelingen mogelijk maken zoals bijvoorbeeld stedelijke uitleggebieden, stedelijke herstructurering of herontwikkelingsopgaven, waarbij het gebruikelijk is om in de toelichting nader in te gaan op eventuele verontreinigingsituaties op basis van een uitvoerig bodemonderzoek.
Ten behoeve van een goede ruimtelijke ordening dient inzicht te bestaan in de bodemkwaliteit teneinde de geschiktheid van de bodemkwaliteit voor een beoogde (nieuwe) bestemming te kunnen aantonen. Bij een bestemmingswijziging is het van belang dat de bodemkwaliteit geschikt is voor de beoogde bestemming en de daarin toegestane gebruiksvormen.
Voor inzicht in de actuele bodemkwaliteit op het perceel is onderzoek gedaan (verkennend bodemonderzoek, Bakker, dd november 2019). Het onderzoek is in zijn geheel aan deze toelichting toegevoegd (zie Bijlage 1). De conclusie luidt als volgt;
"Op grond van de resultaten van het uitgevoerde bodemonderzoek vormt de bodemkwaliteit geen belemmering voor de bouw van een woning. Ten aanzien van de puinhoudende tussenlaag (ca 50-100 cm) dient zelf of in overleg met deskundigen beoordeeld te worden of deze laag hinderlijk is voor de bouwwerkzaamheden en al dan niet verwijderd moet worden. Afvoer van deze laag is overigens niet verplicht omdat de laag maximaal licht verontreinigd is."
Het aspect "Bodemkwaliteit" is geen belemmering voor de beoogde ontwikkeling.
4.9 Natuur en ecologie
4.9 Natuur en ecologie
Ruimtelijke plannen dienen te worden beoordeeld op de uitvoerbaarheid in relatie tot actuele natuurwetgeving. Vanaf 1 januari 2017 is er de Wet natuurbescherming in. Deze wet heeft 3 wetten vervangen: de Natuurbeschermingswet 1998, de Boswet en de Flora- en faunawet. Er mogen geen ontwikkelingen plaatsvinden die op onoverkomelijke bezwaren stuiten door effecten op beschermde natuurgebieden en/of flora en fauna. De uitvoering van de Wet natuurbescherming ligt bij de Provincie.
4.9.1 Wettelijke kaders
De bescherming van de natuur is in Nederland wettelijk vastgelegd in de Wet Natuurbescherming. De Wet Natuurbescherming bestaat uit een hoofdstuk "Natura 2000-gebieden" (ter vervanging van de Natuurbeschermingswet), een hoofdstuk "soorten" (ter vervanging van de Flora- en faunawet) en een hoofdstuk "houtopstanden" (ter vervanging van de Boswet). De Wet natuurbescherming voorziet ten opzichte van de oude wetten in een meer directe doorvertaling en interpretatie van de Europese Vogel- en Habitatrichtlijn en andere internationale verdragen en overeenkomsten. Daarnaast is onder de nieuwe wet het bevoegd gezag van het rijk naar de provincies verschoven.
Het hoofdstuk Natura 2000-gebieden heeft betrekking op de Natura-2000-gebieden, die Nederland heeft aangewezen ter bescherming van natuurwaarden uit de Vogelrichtlijn en Habitatrichtlijn. Als er door projecten, plannen en activiteiten mogelijkerwijs significante effecten optreden op de natuurwaarden in deze gebieden, dienen deze vooraf in kaart gebracht en beoordeeld te worden. Projecten, plannen en activiteiten die mogelijk een negatief effect hebben op de aangewezen natuurwaarden van een Natura 2000-gebied zijn vergunningsplichtig. Als significante effecten aan de orde zijn, wordt slechts onder zeer strikte voorwaarden een vergunning verleend.
Het hoofdstuk Soorten heeft betrekking op alle in Nederland in het wild voorkomende zoogdieren, vogels, reptielen en amfibieën en op een aantal vissen, ongewervelde diersoorten en vaatplanten. Voor alle plant- en diersoorten geldt een zorgplicht. Deze zorgplicht houdt in dat de initiatiefnemer dat wat redelijkerwijs mogelijk is doet of nalaat om schade aan soorten te voorkomen of zoveel mogelijk te beperken. Voor de wettelijk beschermde soorten gelden bovenop de zorgplicht verbodsbepalingen voor schadelijke ingrepen. Voor het beoordelen van ruimtelijke ingrepen zijn de soorten in te delen in de volgende categorieën:
Vogels met een jaarrond beschermde nestplaats (deze soorten zijn benoemd in het document "Aangepaste lijst jaarrond beschermde vogelnesten ontheffing Flora- en faunawet ruimtelijke ingreep", Dienst Regelingen, 2009. Hierin worden 4 categorieën vogels genoemd waarvan de nesten jaarrond beschermd zijn, en een categorie 5 waarvan de nesten onder bepaalde voorwaarden jaarrond beschermd zijn)
Overige inheemse broedvogels
Soorten vermeld in bijlage IV van de Habitatrichtlijn
Nationaal beschermde soorten zonder algemene vrijstelling (de algemene vrijstellingen zijn door iedere provincie in verordeningen vastgelegd. In Noord-Brabant zijn de vrijgestelde soorten benoemd in de Verordening natuurbescherming Noord-Brabant)
Nationaal beschermde soorten met algemene vrijstelling.
Voor vogelsoorten met jaarrond beschermde nestplaats en soorten van bijlage IV van de Habitatrichtlijn geldt het strengste beschermingsregime. Het is verboden dieren van deze soorten te doden, te vangen, opzettelijk te verstoren en tevens om rust- en voortplantingsplaatsen te beschadigen of vernielen. Voor planten geldt een verbod op plukken, ontwortelen en vernielen. Ontheffing van deze verboden is slechts mogelijk voor een beperkt aantal in de wet genoemde belangen, en mits er geen andere bevredigende oplossing bestaat en de gunstige staat van instandhouding gewaarborgd blijft. Om de gunstige staat van instandhouding te waarborgen is het bovendien in de meeste gevallen nodig om mitigerende en/of compenserende maatregelen te nemen. Voor vogels zonder jaarrond beschermde nestplaatsen gelden deze voorwaarden ook. Voor deze soorten kan overtreding van de verbodsbepalingen echter worden voorkomen door werkzaamheden uit te voeren buiten de broed- en nestperiode.
Voor nationaal beschermde diersoorten is het verboden om deze opzettelijk te doden of te vangen en om rust- en voortplantingsplaatsen te beschadigen of vernielen. Voor nationaal beschermde plantensoorten is het verboden om deze opzettelijk te plukken, ontwortelen of vernielen. De provincie kan ontheffing van de verboden verlenen voor ruimtelijke ontwikkelingen, mits er geen andere bevredigende oplossing bestaat en de gunstige staat van instandhouding gewaarborgd blijft. Er geldt een vrijstelling van de verbodsbepalingen indien wordt gewerkt conform een goedgekeurde gedragscode.
Naast dit wettelijk kader vindt beleidsmatige bescherming van natuurwaarden plaats in het Nationaal Natuurnetwerk (voorheen bekend als ecologische hoofdstructuur - EHS), die is geïntroduceerd in het ‘Natuurbeleidsplan’ (1990) van het Rijk en op provinciaal niveau is vastgelegd. De provinciale groenstructuur bestaande uit het Natuurnetwerk Brabant (NNB) en Groenblauwe Mantel is ruimtelijk vastgelegd in de Interim Omgevingsverordening provincie Noord-Brabant. Het Natuurnetwerk Brabant is een robuust netwerk van natuurgebieden en tussenliggende verbindingszones. Dit netwerk bestaat uit bestaande natuurgebieden, nieuw aan te leggen natuur en verbindingszones tussen de gebieden. Het beleid binnen het Natuurnetwerk Brabant is gericht op behoud en ontwikkeling van natuur- en landschapswaarden via een "nee-tenzijbenadering". De feitelijke beleidsmatige gebiedsbescherming vindt plaats via de uitwerking van het provinciaal beleid in de gemeentelijke bestemmingsplannen. De groenblauwe mantel vormt het gebied tussen het kerngebied groenblauw en het agrarisch gebied, alsook het stedelijk gebied. De groenblauwe mantel bestaat overwegend uit multifunctioneel landelijk gebied met grondgebonden landbouw. Het beleid binnen de groenblauwe mantel is gericht op het behoud en vooral de ontwikkeling van natuur, watersysteem en landschap. De groenblauwe mantel geeft ook ruimte voor de ontwikkeling van gebruiksfuncties, zoals landbouw en recreatie, mits deze bijdragen aan de kwaliteiten van natuur, water en landschap: de “ja-mitsbenadering”. De groenblauwe mantel biedt echter geen ruimte voor stedelijke ontwikkeling of de ontwikkeling van nieuwe (kapitaal)intensieve vormen van recreatie en landbouw.
4.9.2 Analyse plangebied
Natura 2000-gebieden
Het plangebied ligt niet binnen een beschermd gebied, zoals opgenomen in Natura 2000 en de ecologische hoofdstructuur. Gezien de kleinschaligheid van de ontwikkeling en de afstand (> 800 meter) tot het dichtstbijzijnde Natura 2000-gebied (Loonse- en Drunense Duinen & Leemkuilen) is het niet aannemelijk dat het plan negatieve effecten heeft op natuurgebieden.
Stikstofdepositie
Te veel stikstofneerslag is slecht voor de natuur. Daarom is een natuurvergunning of een ander toestemmingsbesluit nodig voor activiteiten (bijvoorbeeld in de landbouw, woningbouw, wegenbouw of de industrie) waar stikstof bij vrij komt. Ook voor de bouw van de nieuwe woning is het nodig inzicht te krijgen in de stikstofdepositie op in de omgeving van het plangebied gelegen Natura-2000 gebieden. Om een zorgvuldige afweging te maken bij nieuwe activiteiten wordt AERIUS Calculator ingezet. Hiermee kan berekend worden welke depositie een project veroorzaakt en op welke natuurgebieden die depositie neerslaat. Met het gebruik van AERIUS Calculator kunnen projecten doorgang vinden waar kan worden aangetoond dat een activiteit niet tot een toename van depositie leidt. Er is dan namelijk geen toestemming vereist voor het aspect stikstofdepositie. Daarnaast is het met AERIUS Calculator mogelijk om vergunningen aan te vragen op grond van intern salderen.
Voor het project is een AERIUS berekening opgesteld. De uitgangspunten, resultaten en conclusie van deze berekening is als bijlage aan deze toelichting gevoegd (zie Bijlage 2). De conclusie luidt als volgt:
Uit de stikstofberekening blijkt dat de aanlegfase niet leidt tot een toename hoger dan 0,00 mol/ha/jr. De verklaring hiervoor is gelegen in het feit dat de afstand tussen het plangebied en het dichtstbijgelegen Natura 2000-gebied Loonse en Drunense Duinen & Leemkuilen circa 0,8 km bedraagt. Gelet hierop en gelet op het eenmalige karakter van de aanlegfase, heeft de depositie van de aanlegfase geen meetbaar of merkbaar effect op de kwaliteit van de stikstofgevoelige habitattypen binnen het Natura 2000-gebied.
Uit de AERIUS berekening blijkt dat de gebruiksfase geen toename van stikstofdepositie kent boven de 0,00mol/ha/jr. Gelet op de afstand van ca. 0,8 km tot aan het dichtstbijzijnde Natura 2000-gebied Loonse en Drunense Duinen & Leemkuilen heeft de gebruiksfase geen significant negatief effect op dit Natura 2000-gebied.
De stikstofdepositie ter plaatse van het Natura-2000 gebied Loonse en Drunense Duinen & Leemkuilen kent geen toename boven de 0,00 mol/ha/jr in zowel de aanlegfase als de gebruiksfase.
Soortenbescherming
In de Wet natuurbescherming staan verbodsbepalingen: activiteiten die schadelijk zijn voor beschermde dier- en plantsoorten zijn verboden.
Hiervoor verdeelt de Wet natuurbescherming beschermde soorten in twee groepen: Strikt beschermde soorten waaronder soorten uit de voormalige Vogel- en Habitatrichtlijn. In de tweede categorie staan andere soorten, bijvoorbeeld uit de Rode Lijst. Onder de Wet natuurbescherming worden 75 soorten vaatplanten beschermd.
Bij een ontheffingsaanvraag onder de nieuwe wet wordt nog steeds getoetst aan drie criteria:
Is er sprake van bepaalde, in de wet genoemde belangen?
Is er een 'andere bevredigende oplossing' mogelijk?
Doet de ontheffing afbreuk aan de gunstige staat van instandhouding van de soort?
Voor de bouw van de nieuwe woning hoeven geen leegstaande gebouwen of natuurlijke elementen te worden verwijderd. Het terrein bestaat uit grasland. Daarnaast is een aantal bomen langs de Winkelsestraat aanwezig. Deze hoeven niet te worden gekapt. Voor de ontsluiting van het terrein zal een bestaande onbegroeide toerit worden gebruikt. Het is niet te verwachten dat er beschermde soorten geschaad worden.
![i_NL.IMRO.0855.BSP2021002-e001_402016.png [image]](i_NL.IMRO.0855.BSP2021002-e001_402016.png)
Afbeelding van de beschikbare onbegroeide toerit tot het perceel
Conclusie
Met de beoogde ontwikkeling worden geen natuurwaarden geschaad.
4.10 Hoogspanningslijnen
Bij het opstellen van ruimtelijke plannen moet rekening worden gehouden met de magneetvelden van bovengrondse hoogspanningslijnen. De afgelopen jaren is hier meer aandacht voor. Dit komt omdat er statistische aanwijzingen zijn dat de magneetvelden van bovengrondse hoogspanningslijnen mogelijk van invloed zijn op de gezondheid van kinderen. Voorkomen moet worden dat nieuwe gevoelige functies binnen de magneetveldzone van 0,4 microTesla liggen. Dit blijkt uit het advies van het rijk uit 2005 en de toelichtende brief van 2008 over bovengrondse hoogspanningslijnen. In de brieven van 2005 en 2008 is toegelicht dat bestemmingen waar kinderen (tot 15 jaar) langdurig kunnen verblijven worden aangemerkt als gevoelig. Het gaat hierbij om woningen, scholen, crèches en kinderopvangplaatsen. 'Zoveel als redelijkerwijs mogelijk' houdt in dat er een zorgvuldige afweging moet plaatsvinden. Op de Netkaart van het RIVM zijn indicatieve zones voor magneetvelden van alle bovengrondse hoogspanningslijnen opgenomen. De indicatieve zones zijn de meest ruime afstanden waar rekening mee moet worden gehouden.
In de nabijheid van het plan zijn geen hoogspanningslijnen aanwezig.
4.11 Duurzaamheid
De beoogde ontwikkeling maakt het mogelijk het bestaand stedelijk gebied beter te benutten voor de huisvesting van personen. Hiermee wordt voorkomen dat een uitbreiding van het stedelijk gebied ten koste van het open landelijk gebied nodig is. De nieuwe woning wordt duurzaam gebouwd waarmee uitvoering wordt gegeven aan duurzaamheidsambities.
Hoofdstuk 5 Wateraspecten
5.1 Beleidskader
In het kader van het Nationaal Bestuursakkoord Water moet bij ruimtelijke ontwikkelingen worden aangetoond, middels een hydrologisch onderzoek, dat de waterhuishouding niet negatief wordt beïnvloed door de beoogde ruimtelijke ontwikkeling.
Sinds juli 2003 is de watertoets wettelijk verankerd in het Besluit op de Ruimtelijke Ordening. Het besluit verplicht tot het opnemen van een beschrijving van de wijze waarop rekening is gehouden met de gevolgen van het plan voor de waterhuishouding in de toelichting van alle ruimtelijke plannen. Ten aanzien van het beleid rond- en om water is het met name van belang of de wijzigingen een effect kunnen hebben op de hydrologische situatie.
Met betrekking tot hydrologisch neutraal ontwikkelen hebben de drie Brabantse waterschappen, Aa en Maas, De Dommel en Brabantse Delta hun keuren geharmoniseerd, Keur 2015. Daarnaast zijn de algemene regels vastgelegd binnen de "Algemene regels waterschap De Dommel". De beleidsregels aanvullend op de Keur zijn verder vastgelegd binnen de "Beleidsregels voor waterkering, waterkwantiteit en grondwater". De waterschappen maken bij het beoordelen van plannen met een toegenomen verhard oppervlak onderscheid tussen grote en kleine plannen. De grenswaarden waaraan getoetst wordt zijn; minder dan 2.000 m², tussen de 2.000 m² en 10.000 m² en meer dan 10.000 m². Aanvullend op de beleidsregels is het stuk "Hydrologische uitgangspunten bij de keurregel voor afvoeren van hemelwater, Brabantse waterschappen". Het bovenstaande resulteert in een voorkeursvolgorde voor het verwerken van hemelwater waarbij optie 1 het meest wenselijk en optie 5 het minst wenselijk is:
Hergebruik
Vasthouden
Bergen en afvoeren
Afvoeren naar oppervlaktewater (direct of indirect)
Afvoeren naar de riolering
Vanuit de Algemene Regel is er geen verplichting tot aanleg van een retentievoorziening of infiltratievoorziening bij een verhardingstoename kleiner dan 2000m2. Met de gewenste nieuwbouw van één woning is er sprake van een toename van de verharding. Wat de beoogde ontwikkeling betekent voor de waterhuishouding is beschreven in deze waterparagraaf.
5.2 Watertoets
Op basis van de Watertoetskaart is bepaald dat de projectlocatie is gelegen in het grondwater deelgebied "Centrale Slenk". Ontwikkelingen in dit gebied mogen de grondwaterkwaliteit niet in gevaar brengen. In de Verordening ruimte is hiervoor de aanduiding "Boringsvrije zone" opgenomen. Op basis van het beleid van het waterschap is bepaald dat de maximale boordiepte is bepaald op circa 72 meter. De beoogde bouw zal niet leiden tot een boordiepte van meer dan 72 meter. Hiermee wordt voldaan aan deze maximale boordiepte.
5.3 Hemelwater
Op 18 december 2018 is door de raad van de gemeente Haaren de hemelwater- en grondwaterverordening vastgesteld. Hierin is bepaald dat bij nieuwbouw het hemelwater niet mag worden aangeboden aam het (bestaande) rioolstelsel en volledig verwerkt moet worden op het eigen terrein. Om te bepalen wat de te bergen hoeveelheid hemelwater is, is inzicht gezocht in de verhardingstoename als gevolg van het planvoornemen. Door de wijziging neemt het verhard oppervlak ten opzichte van de huidige situatie toe. Een groot deel van het plangebied is nu onverhard. Voor de nieuwe woning en een bijgebouw is een oppervlakte van 120 m2 (woning)+ 100 m2 (bijgebouw) aangehouden. Een op het perceel aanwezig schuurtje heeft een oppervlakte van 10 m2. Voor het perceel is een terreinverharding van circa 180 m2 aangehouden. De oppervlakte van het perceel is ongeveer 875 m2. Onderstaande tabel geeft de totale verharding in de huidige en toekomstige situatie weer.
|
Oppervlaktes |
Huidig m2 |
Toekomstig m2 |
|
Daken |
10 |
120 + 100 |
|
terreinverharding |
0 |
180 |
|
onverhard terrein |
865 |
475 |
|
Totaal |
875 |
875 |
Omdat sprake is van een verhardingstoename (390 m2) die kleiner is dan vanuit de Algemene Regel wordt gesteld (een verhardingstoename kleiner dan 2.000 m2) is geen verplichting tot aanleg van een retentievoorziening of infiltratievoorziening. Vanuit de gemeentelijke hemelwater- en grondwaterverordening bestaat de plicht dus wel om het hemelwater afkomstig van dakvlak en terreinverharding op eigen terrein op te vangen en te infiltreren. Uitgaande van een maatgevende bui van 60 mm, kan bepaald worden dat (0,06 m x 390 m2) 23,4 m3 berging moet worden gerealiseerd. Er is op het perceel voldoende ruimte beschikbaar om hierin te voorzien. Bij de verdere uitwerking van de bouwplannen zal hier rekening mee worden gehouden. De bouwplannen zullen worden getoetst aan de bepalingen uit de hemelwater- en grondwaterverordening. Hierdoor is de aanleg van een infiltratievoorziening verzekerd.
5.4 Materiaalgebruik
Afkoppeling van de neerslag afkomstig van de verharde oppervlakken is goed mogelijk bij nieuwbouw. Bij het voldoen aan de milieuhygiënische randvoorwaarden (dubo-materialen etc.) kan de afgekoppelde afstromende neerslag vanuit het plangebied rechtstreeks via (mol)goten, lijnafwatering of ander traditioneel afvoermateriaal gescheiden van het afvalwater worden aangeboden. Wel moeten in de afvoersystemen voorzieningen worden gerealiseerd die blad, zand e.d., die verstoppingen kunnen veroorzaken, achterhouden.
Toe te passen duurzame materialen:
Hellende daken: dakpannen van beton of keramisch materiaal;
Platte daken: beton of bekleed met EPDM-rubber; APP en/of SBS gemodificeerd bitumen;
Dakgoten en afvoerpijpen; PVC/PP/PE/ staal, aluminium of zink alle gecoat;
Ontsluitingspaden/ wegen/ terrassen; voorzien van niet-uitloogbare materialen of betonproducten.
5.5 Afvalwater
Het afvalwater zal gescheiden van het hemelwater worden aangeboden.
Hoofdstuk 6 Opzet planregels
6.1 Inleiding
De indeling en inhoud van de regels bij dit bestemmingsplan zijn gebaseerd op de Tilburgse bestemmingsplansystematiek, die primair ten behoeve van het opstellen van bestemmingsplannen door de afdeling Ruimte van de gemeente Tilburg is opgesteld. De plansystematiek is vastgesteld door het gemeentebestuur en wordt doorlopend aan veranderende regelgeving en beleidsinzichten aangepast. De plansystematiek is gebaseerd op en sluit aan bij SVBP2012 (Standaard Vergelijkbare Bestemmingsplannen) en IMRO2012 (Informatie Model Ruimtelijke Ordening). De systematiek is te vinden op www.tilburg.nl/ruimtelijkeplannen.
6.2 Standaard plansystematiek
6.2.1 Bouwvlak en erf
De Tilburgse plansystematiek (en dus ook dit plan) maakt onderscheid tussen het bouwvlak en het erf.
Het bouwvlak komt in principe bij alle bestemmingen voor. Uitzondering zijn de bestemmingen binnen het openbaar gebied. Indien geen bouwvlak is aangegeven, bepalen de planregels soms dat het gehele bestemmingsvlak geacht wordt bouwvlak te zijn. Hoofdgebouwen moeten binnen het bouwvlak worden opgericht. Bijgebouwen, aan- en uitbouwen en bouwwerken, geen gebouwen zijnde, mogen er eveneens worden gebouwd, uiteraard slechts voor zover deze passen binnen de bestemming en de bouwregels. Soms mag het bouwvlak volledig worden volgebouwd, soms niet. Het eerste blijkt normaliter uit de planregels, het tweede wordt in de regel op de verbeelding weergegeven met een maatvoeringsaanduiding.
In het erf mogen geen hoofdgebouwen worden opgericht. Bijgebouwen, aan- en uitbouwen en bouwwerken, geen gebouwen zijnde, zijn wel toegestaan, voor zover deze passen binnen de bestemming en de bouwregels. Het erf komt met name voor bij woningen en bebouwing langs de linten.
Binnen het onbebouwd erf (perceel minus bouwvlak en minus erf) beperken de bouwmogelijkheden zich over het algemeen tot hetgeen vergunningvrij mag worden gebouwd en enkele bouwwerken, geen gebouwen zijnde (denk vooral aan erfafscheidingen).
6.2.2 Bouwdiepte
De bouwdiepte is gerelateerd aan de dieptemaat van het betreffende bouwblok c.q. de bouwstrook. De Tilburgse standaardbouwdiepte bedraagt voor woningen 12 meter. In specifieke - bijvoorbeeld historisch zo gegroeide situaties - kan hiervan worden afgeweken.
6.2.3 Bouwhoogte
De maximaal toegestane bouwhoogte is gebaseerd op de regels van het vigerende bestemmingsplan, tenzij anders weergegeven op de verbeelding.
6.2.4 Goothoogte
De toegelaten hoogte is in het algemeen gerelateerd aan de afstand tot de meest nabije gevels. In de meeste gevallen komt dit neer op een goothoogte die gelijk is aan de bouwhoogte. In de regels wordt de goothoogte dan ook meestal gelijk gesteld aan de bouwhoogte, tenzij op de verbeelding met een maatvoeringsaanduiding een andere goothoogte wordt weergegeven. Bij afwijkende woningtypes en in bijzondere situaties wordt van deze hoogteregels afgeweken en ´op maat´ bestemd.
6.2.5 Aan- en uitbouwen en bijgebouwen
Tenzij anders weergegeven is de volgende regeling van kracht voor woningen in stedelijk gebied:
oppervlakte:
20m2 indien erf kleiner is dan 50m2;
40% van erf met maximum van 60m2 bij erf tussen de 50m2 en 500m2;
80m2 bij erf tussen de 500m2 en 1000m2;
100m2 bij erf vanaf 1000m2;
bouwhoogte:
maximaal 3m bij plat dak;
bij schuin dak goothoogte maximaal 3m;
bouwhoogte maximaal 4,5m.
6.3 Bestemmingen en aanduidingen
In het bestemmingsplan is bestemming 'Wonen' aanwezig. Daarnaast is de volgende dubbelbestemmingen aanwezig: Waarde - Archeologie.
6.4 Bouw- en gebruiksregels
Bouwregels
De bouwregels bevatten een uitgebreide regeling ten aanzien van het oprichten van gebouwen en overige bouwwerken in het plangebied (bouwvlak, erf, bouwhoogte, regeling bijgebouwen etc.). Er wordt hierbij een onderscheid gemaakt in bouwregels voor (hoofd)gebouwen, aan- en uitbouwen en bijgebouwen, bouwwerken, geen gebouwen zijnde en bouwwerken van algemeen nut.
Gebruiksregels
Bij de meeste bestemmingen worden regels omtrent het gebruik van gronden en bouwwerken gegeven, al dan niet aangevuld met een aantal afwijkingsmogelijkheden, wisselend per bestemming.
Wijzigingsbevoegdheid
Een aantal bestemmingsartikelen is aangevuld met een wijzigingsbevoegdheid t.a.v. bepaalde functies.
Hoofdstuk 7 Uitvoerbaarheid
Artikel 3.1.6. van het Bro bepaalt dat in een vast te stellen bestemmingsplan een toelichting moet worden opgenomen, waarin (o.a.) de inzichten staan over de uitvoerbaarheid van het plan. Het onderhavige plan bevat een bouwplan als bedoeld in artikel 6.2.1 Bro. De grondexploitatiewet (afdeling 6.4 van de Wro) is om die reden van toepassing en in beginsel is dus een exploitatieplan vereist. Gelet op het bepaalde in artikel 6.12 lid 2 van de Wro hoeft in casu echter geen exploitatieplan te worden opgesteld.
Doordat met initiatiefnemer een exploitatieovereenkomst is gesloten, is het verhaal van kosten die de gemeente moet maken 'anderszins verzekerd' door die overeenkomst. Met betrekking tot de gemeentelijke plan- en apparaatskosten ten behoeve van het opstellen van dit plan zijn door de initiatiefnemer leges betaald. Daarnaast is met de initiatiefnemer een overeenkomst inzake het verhaal van tegemoetkomingen in planschade gesloten. In deze overeenkomst is bepaald dat schade als gevolg van dit bestemmingsplan, die op grond van afdeling 6.1. Wro voor vergoeding in aanmerking komt, zal worden vergoed door de initiatiefnemer. Gelet op het voorgaande is het plan economisch uitvoerbaar.
Hoofdstuk 8 Omgevingsdialoog en vooroverleg
8.1 Kennisgeving ex artikel 1.3.1 Bro
Artikel 1.3.1 van het Bro verplicht bestuursorganen, die een structuurvisie of een bestemmingsplan voorbereiden, waarbij sprake is van een ruimtelijke ontwikkeling en waarbij geen milieu-effectrapport wordt opgesteld, kennis te geven van het voornemen te komen tot vaststelling van die structuurvisie of dat bestemmingsplan. In casu is het voornemen te komen tot vaststelling van het voorliggende bestemmingsplan invullen naam op invullen datum gepubliceerd in invullen media.
8.2 Overleg ex artikel 3.1.1 Bro
Het concept-ontwerpbestemmingsplan is onder vermelding van een reactietermijn van vier weken verzonden naar de in artikel 3.1.1 Bro genoemde overleginstanties, aangevuld met enkele organisaties, die de gemeente op vrijwillige basis de mogelijkheid wenste te geven op het concept te reageren. Het concept is verzonden aan de volgende organisaties:
|
Instantie |
Datum verzending |
Datum ontvangst reactie |
Opmerkingen? |
|
Provincie Noord-Brabant Directie ROH |
|
|
|
|
Ministerie van I &M, Rijkswaterstaat Noord-Brabant, Afdeling IPA |
|
|
|
|
Ministerie van Defensie, Dienst Vastgoed Defensie, Directie Zuid |
|
|
|
|
Ministerie van ELI, Dienst Landelijk Gebied, Regio Zuid |
|
|
|
|
Rijksdienst voor het Cultureel Erfgoed |
|
|
|
|
Waterschap De Dommel |
|
|
|
|
Waterschap Brabantse Delta |
|
|
|
|
Brabant Water |
|
|
|
|
Nederlandse Gasunie, District West |
|
|
|
|
Enexis BV |
|
|
|
|
TenneT BV |
|
|
|
|
KPN Telecom, Afd. UTN Leidingbeheer |
|
|
|
|
NV Rotterdam-Rijn Pijpleidingmaatschappij |
|
|
|
|
Petrochemical Pipeline Services BV |
|
|
|
|
Prorail |
|
|
|
|
Sociaal Economisch Overlegorgaan Brabant |
|
|
|
|
BORT BZW |
|
|
|
|
Kamer van Koophandel Brabant |
|
|
|
|
Brandweer Midden-West Brabant |
|
|
|
|
Brabantse Milieufederatie |
|
|
|
|
Vereniging Natuurmonumenten |
|
|
|
|
ZLTO Hart van Brabant |
|
|
|
|
Dorpsraad Udenhout |
|
|
|
|
Dorpsraad Berkel-Enschot |
|
|
|
|
Diverse wijkraden, buurtverenigingen |
|
|
|
|
College van Burgemeester en Wethouders van ....... |
|
|
|
|
College van Burgemeester en Wethouders van ...... |
|
|
|
Hieronder worden de overlegreacties met opmerkingen (samengevat) weergegeven, waarbij tevens het standpunt van het college van Burgemeester en wethouders wordt vermeld.
8.3 Omgevingsdialoog
De voorgenomen plannen zijn door de initiatiefnemer informeel besproken met de omwonenden. Veruit de meeste omwonenden kunnen zich vinden in het plan en gaven aan de ontwikkeling als een vanzelfsprekendheid te beoordelen gezien het feit dat nu sprake is van een onbenutte ruimte in het straatbeeld. Een verslag van de omgevingsdialoog is als bijlage aan de toelichting gevoegd (zie Bijlage 3).
8.4 Zienswijzen
PM