direct naar inhoud van 3.3 Gemeentelijk beleid
Plan: voormalig tuincentrum Ameide
Status: vastgesteld
Plantype: bestemmingsplan
IMRO-idn: NL.IMRO.0707.BPAMDTIENDWEG17-VA01

3.3 Gemeentelijk beleid

Woonvisie 'Impuls aan vitaliteit en kwaliteit' Vastgesteld 26 maart 2007

In de Woonvisie zijn doelstellingen geformuleerd met betrekking tot wonen. Deze hebben betrekking op het op gang brengen van de woningproductie, het voorzien in de woningbehoefte van verschillende groepen, het waarborgen van de kwaliteit van woon- en leefomgeving in de kernen, het werken aan een levensloopbestendige gemeente en levensloopbestendige kernen met een passen aanbod van welzijn- en zorgvoorzieningen. Om dit te bereiken zijn in de woonvisie twee centrale doelstellingen geformuleerd:

  • zorg dragen voor een kwalitatief hoogwaardige woon- en leefomgeving en leefbare kernen; dit wordt beschouwd als hoofddoelstelling en is richtinggevend voor ruimtelijke planvorming;
  • het duurzaam voorzien in de woningbehoefte van inwoners en economisch gebondenen op basis van migratiesaldo 0, daarbij rekening houdend met het inhalen van opgelopen achterstanden.

Planspecifiek

Het plan voorziet in verschillende woningtypologiën en daarmee verschillende doelgroepen, waarbij een hoogwaardige ruimtelijke kwaliteit wordt nagestreefd. Hiermee wordt invulling gegeven aan de twee centrale doelstellingen uit de Woonvisie.

Het bestemmingsplan kent flexibiliteit in de uitvoering. Immers, op moment dat het plan werkelijk gerealiseerd wordt kan de behoefte veranderd zijn.

Op 9 oktober 2012 hebben de wethouders uit de omgeving in het portefeuilleoverleg Wonen het plan besproken. Zij hebben akkoord gegeven, hiermee is het programma regionaal afgestemd.

Welstandsnota

De gemeente heeft haar welstandsbeleid vastgesteld in de Welstandsnota die in 2009 is herzien. In deze welstandnota zijn de beoordelingscriteria voor een betreffend gebied en of bouwwerk vastgesteld. Er bestaan criteria voor de verschillende kernen, woongebieden, bedrijventerreinen en het buitengebied.

Voor het plangebied zijn de criteria van deelgebied A3 ‘Linten Ameide’ van toepassing. Dit deelgebied is gewaardeerd als bijzonder welstandsgebied, waar extra zorg voor de ruimtelijke kwaliteit gewenst is. Het beleid voor dit deelgebied is terughoudend en gericht op behoud van variatie zonder verrommeling. De gebiedsbeschrijving en bijbehorende criteria vormen houvast voor eventuele ontwikkelingen ter plekke.

Planspecifiek

Het plan zoekt aansluiting bij de lintbebouwing in de omgeving. Dit wordt bereikt door verschillende bouwmassa´s, een verspringende rooilijn, de hoogte van de goot en nok en een ruim en groene inrichting.

Ruimtelijke visie entree Tiendweg-Ameide

Naar aanleiding van initiatieven voor ontwikkeling van het voormalig tuincentrum aan de Tiendweg te Ameide, heeft de gemeente in mei 2010 een ruimtelijke visie opgesteld voor de entreezone van Ameide. Dit document is een ruimtelijke visie en dient als gemeentelijk instrument om de ruimtelijke kwaliteit van deze locatie te behouden en waar mogelijk te versterken.

In de visie zijn drie modellen bedacht voor de locatie. Het voorkeursmodel betreft een combinatie van wonen en werken. Uitgangspunten bij dit model zijn:

  • Combinatie verschillende woningtypen (vrijstaand, 2 tot 3-onder-één-kap)
  • Relatief ruime kavels
  • Variërende kavelbreedtes.
  • Variabele vrije ruimte tussen woningen, minimaal één woning breed.
  • Kleine verspringingen in rooilijn.
  • Eenvoudige hoofdmassa's conform bestaande lintbebouwing.
  • Variërende nokrichting (haaks of evenwijdig aan Tiendweg).
  • Diversiteit in gevelbeeld. Accent op de 'kop' van het lint door diepe bouwmassa en oriëntatie op landelijk gebied.
  • Eigentijdse architectuur is goed mogelijk mits op subtiele wijze wordt verwezen naar de traditionele landelijke bouwstijl.
  • Bedrijfsunits in 'tweede lijn'.
  • Voorkeur voor ontsluiting via De Zodeslagen.
  • Aandacht voor vormgeving bedrijfsunits, met name op de kop grenzend aan het open landschap.

Planspecifiek

Het plan is een uitwerking van de ruimtelijke visie voor de entreezone en is in overeenstemming met de gemeente ontwikkeld. Het plan wijkt niet af van de belangrijkste hoofdgedachte en uitgangspunten van wat er in de visie is beschreven en is hiermee in lijn met de opgestelde visie.

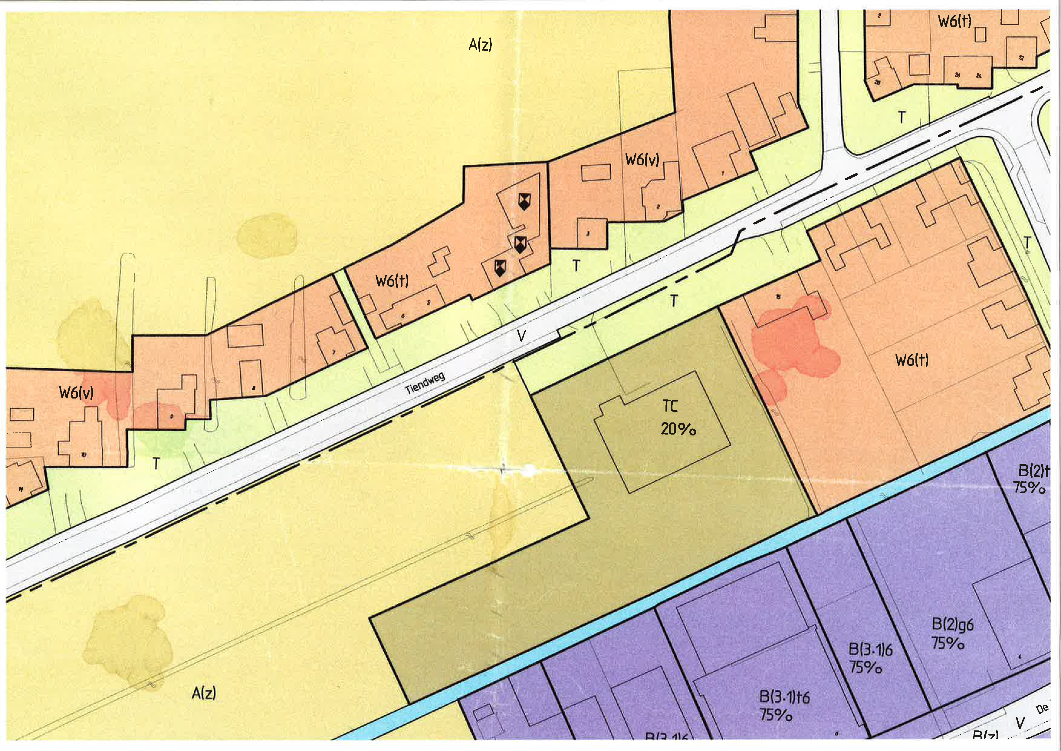
Geldend bestemmingsplan

De vigerende bestemmingsplannen zijn 'Kernen' (21-11-2003 inwerking getreden) en de '1e herziening Kernen' (4-5-2010 inwerking getreden) . In het eerste bestemmingsplan komen in het studiegebied diverse bestemmingen voor. De percelen van het voormalig tuincentrum zijn bestemd als ‘Tuincentrum’, 'Tuin' en 'Agrarisch - zonder gebouwen'. Verder is er een dubbelbestemming voor een 'Leiding' opgenomen. De regeling hiervan is deels herzien in het tweede bestemmingsplan.

afbeelding "i_NL.IMRO.0707.BPAMDTIENDWEG17-VA01_0012.jpg"

Voor ontwikkeling van deze locatie voor gebruik anders dan de beschreven bestemmingen is een nieuw bestemmingsplan nodig. Het voorliggend bestemmingsplan vervangt hiermee de vigerende plannen.